Flughafen Memphis
| Memphis International Airport | ||||
|---|---|---|---|---|
![]() | ||||
![]() | ||||
| ||||
| Kenndaten | ||||
| ICAO-Code | KMEM | |||
| IATA-Code | MEM | |||
| Koordinaten | 35° 2′ 33″ N, 89° 58′ 36″ W | |||
| Höhe über MSL | 104 m (341 ft) | |||
| Verkehrsanbindung | ||||
| Entfernung vom Stadtzentrum | 13 km südöstlich von Memphis | |||
| Straße | ||||
| Nahverkehr | Bus: MATA Route 64 | |||
| Basisdaten | ||||
| Eröffnung | 15. Juni 1929 | |||
| Betreiber | Memphis-Shelby County Airport Authority | |||
| Fläche | 1578[1] ha | |||
| Terminals | 1 mit 3 Concourses | |||
| Passagiere | 4.355.206[2] (2022) | |||
| Luftfracht | 4.040.952 t[2] (2022) | |||
| Flug- bewegungen |
213.418[2] (2022) | |||
| Beschäftigte | 83.199[3] (2015) | |||
| Start- und Landebahnen | ||||
| 09/27 | 2727 m × 46 m Beton | |||
| 18R/36L | 2841 m × 46 m Beton | |||
| 18C/36C | 3389 m × 46 m Beton | |||
| 18L/36R | 2743 m × 46 m Beton | |||
Der Flughafen Memphis (IATA-Code: MEM, ICAO-Code: KMEM) ist der internationale Verkehrsflughafen der amerikanischen Großstadt Memphis im US-Bundesstaat Tennessee.
Er ist der Heimatflughafen und das wichtigste Drehkreuz von FedEx. Diese Tatsache macht den Flughafen Memphis zum größten Frachtflughafen der Vereinigten Staaten und zum zweitgrößten Frachtflughafen der Welt.[4][5]
Lage und Verkehrsanbindung
Der Flughafen Memphis liegt 13 Kilometer südöstlich des Stadtzentrums von Memphis.
Westlich des Flughafens Memphis verläuft die Interstate 55 und nördlich die Interstate 240. Außerdem verläuft östlich des Flughafens der U.S. Highway 78. Der Flughafen wird von der Buslinie 64 der Memphis Area Transit Authority (MATA) bedient.[6]
Geschichte
Der Flughafen Memphis wurde nach zweijähriger Planungs- und Bauphase am 15. Juni 1929 als Memphis Municipal Airport eröffnet. Zu Beginn bestand der Flughafen nur aus drei Hangars und einer unbefestigten Start- und Landebahn. Die ersten Fluggesellschaften waren American Airlines und Chicago & Southern Airlines. Ein Jahr später erhielt der Flughafen die erste beleuchtete Start- und Landebahn. 1938 wurde das erste Passagierterminal errichtet. Während des Zweiten Weltkriegs übernahm die U.S. Army die Kontrolle über die Einrichtungen. 1947 verließ diese den Flughafen wieder. Im Jahr 1956 wurde eine neue Flughafenkommission mit dem Ziel gegründet, diese begann zuerst mit den Planungen für ein modernes Passagierterminal. Das Terminal (heute Concourse B) kostete rund 5,5 Millionen US-Dollar und wurde 1963 eröffnet. Zu Beginn verfügte es über 22 Flugsteige.
1973 verlegte FedEx seinen Sitz von Little Rock nach Memphis und machte den Flughafen Memphis zu seinem Heimatflughafen. 1985 eröffnete die Passagierfluggesellschaft Republic Airlines ein Drehkreuz in Memphis, bereits im Folgejahr wurde die Fluggesellschaft von Northwest Airlines übernommen. 1992 stieg der Flughafen Memphis beim Frachtaufkommen zum größten Flughafen der Welt auf. Im Juni 1995 wurde ein internationales Passagierterminal eröffnet, als erste Fluggesellschaft bediente KLM internationale Flugziele. Im nächsten Jahr wurde eine dritte Start- und Landebahn in Nord-Süd-Ausrichtung fertiggestellt. Im Jahr 2000 wurde die Erweiterung der zentralen Start- und Landebahn 18C/36C abgeschlossen, seitdem ist diese mit 3389 Metern Länge und 46 Metern Breite die größte Start- und Landebahn des Flughafens Memphis.
2004 vereinbarten die Tennessee Air National Guard und FedEx einen Landtausch. Das Drehkreuz von FedEx befand sich zu diesem Zeitpunkt am südöstlichen Ende des Flughafengeländes. Die Vereinbarung beinhaltete den Umzug von FedEx an das bisher militärisch genutzte Gebiet am nördlichen Ende des Flughafengeländes. Im Gegenzug erhielt die Tennessee Air National Guard das ehemalige FedEx-Gelände, dort errichtete man bis 2008 eine neue Basis.[7] Zwischenzeitlich war Memphis International, nach Minneapolis-St. Paul und Detroit, auch das drittwichtigste Drehkreuz von Northwest Airlines. Nach der Übernahme von Northwest Airlines durch Delta Air Lines im Jahr 2008 wurde das Angebot schrittweise reduziert. 2010 wurde Memphis nach 18 Jahren als größter Frachtflughafen der Welt von Hong Kong International Airport abgelöst, seitdem belegt man weltweit Platz 2. Im Juni 2013 kündigte Delta Air Lines die Schließung des Drehkreuzes an.[8][9] Das Fluggastaufkommen beider Fluggesellschaften lag 2009 noch bei 4.005.031 Passagieren, 2016 verzeichnete Delta in Memphis nur noch 1.062.016 Passagiere.[2]
Aufgrund des stark gesunkenen Fluggastaufkommens soll künftig nur noch Concourse B betrieben werden, die Concourses A und C sollen geschlossen werden. Zur Vorbereitung sollten die südlichen Enden von Concourse A und C abgerissen werden, letztlich ist dies jedoch nur bei Concourse A erfolgt.[10][11] Am 4. April 2018 wurde Concourse B für eine Modernisierung geschlossen, welche 2021 abgeschlossen sein soll.[12][13]
Flughafenanlagen

Der Flughafen Memphis hat eine Gesamtfläche von 1578 Hektar.[1]
Start- und Landebahnen
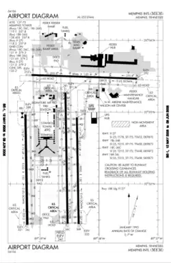
Der Flughafen verfügt über vier Start- und Landebahnen. Dabei verlaufen drei Start- und Landebahnen parallel. Die längste Start- und Landebahn trägt die Kennung 18C/36C und ist 3389 Meter lang. Die westliche Start- und Landebahn 18R/36L ist 2841 Meter lang, während die östliche Start- und Landebahn 18L/36R 2743 Meter lang ist. Die nördliche Querwindbahn 09/27 ist 2727 Meter lang. Alle Start- und Landebahnen sind 46 Meter breit und mit einem Belag aus Beton ausgestattet.[1]
Passagierterminal
Der Flughafen verfügt über ein Passagierterminal. Dieses besteht aus einer Haupthalle und drei Concourses mit insgesamt 29 Flugsteigen.[11] Nach Abschluss der Modernisierung von Concourse B, welche für das Jahr 2021 geplant ist, sollen die Concourses A und C geschlossen werden.[10][13]
Concourse A
Im Concourse A gibt es neun Flugsteige.[11] Er wird von Delta Air Lines und Southwest Airlines genutzt. Die Flüge von Delta Air Lines werden an den Flugsteigen A17, A19, A21, A23, A25 und A27. Southwest Airlines nutzt den Flugsteig A31.[14]
Concourse B
Der ursprünglich 1963 eröffnete Concourse B ist aufgrund von Bauarbeiten seit dem 4. April 2018 größtenteils geschlossen. Er wird bis 2021 modernisiert.[12][13] Daher gibt es in ihm nur drei Flugsteige.[11] Es werden nur internationale Charterflüge des Reiseveranstalters Vacation Express abgefertigt.[14]
Concourse C
Im Concourse C gibt es 17 Flugsteige.[11] Er wird von Air Canada, Allegiant Air, American Airlines, Frontier Airlines und United Airlines genutzt. Die Flüge von Air Canada werden am Flugsteig C11 abgefertigt. Allegiant Air nutzt den Flugsteig C2. American Airlines nutzt die Flugsteige C8, C10 und C12. Die Flüge von Frontier Airlines werden am Flugsteig C1 abgefertigt, während United Airlines die Flugsteige C14 und C16 nutzt.[14]
Frachtterminals

Der Flughafen Memphis ist das mit Abstand größte Drehkreuz der Frachtfluggesellschaft FedEx. Das Drehkreuz wird auch als FedEx Express World Hub oder SuperHub bezeichnet.[15][16] Es erstreckt sich im Norden des Flughafengeländes über 316 Hektar. Der FedEx Express World Hub hat mehr als 11.000 Mitarbeiter, welche im Jahr 2018 über 4,4 Millionen Tonnen Luftfracht und Luftpost abfertigten. FedEx selbst war im Jahr 2018 für 138.230 Flugbewegungen verantwortlich.[2]
Auch der Konkurrent UPS Airlines betreibt ein Frachtterminal am Flughafen Memphis, allerdings ist dieses wesentlich kleiner. Insgesamt erstreckt sich das Gelände von UPS über 54 Hektar, nach Abschluss einer Erweiterung sollen rund 950 Mitarbeiter beschäftigt werden.[17] Es kam im Jahr 2018 auf 27.268 Luftfracht und Luftpost und 648 Flugbewegungen.[2]
Militär
Im Südosten des Flughafens ist das 164th Airlift Wing (ehemals 164th Tactical Airlift Wing) der Tennessee Air National Guard stationiert. Heute betreibt die Einheit acht Transportflugzeuge des Typs Boeing C-17 Globemaster III. Zuvor wurden acht Lockheed C-5 Galaxy betrieben, die von 2013 bis 2015 schrittweise durch Flugzeuge des Typs Boeing C-17 ersetzt wurden.[3][3][18]
Fluggesellschaften und Ziele
Der Flughafen Memphis wird insgesamt von sieben Passagierfluggesellschaften regelmäßig angeflogen.[14] Nach Passagierzahlen war American Airlines einschließlich American Eagle mit einem Marktanteil von 32,21 Prozent im Dezember 2022 die größte Fluggesellschaft, gefolgt von Delta Air Lines einschließlich Delta Connection mit 26,16 Prozent, United Airlines einschließlich United Express mit 14,77 Prozent, Southwest Airlines mit 13,63 Prozent, Allegiant Air mit 5,49 Prozent, Spirit Airlines mit 4,52 Prozent und Frontier Airlines mit 3,23 Prozent. Der Flughafen Memphis wird unter anderem noch von den Frachtfluggesellschaften UPS Airlines und FedEx genutzt, wobei Letztere am Flughafen ihr größtes Drehkreuz betreibt.[2][15]
Der Flughafen wird von den Fluggesellschaften vor allem an die jeweiligen Drehkreuze angebunden. Zusätzlich bestehen internationale Direktverbindungen nach Cancún.[19]
Verkehrszahlen

| Jahr | Fluggastaufkommen (mit General Aviation) |
Luftfracht (Tonnen) (mit Luftpost) |
Flugbewegungen (mit Militär) |
|---|---|---|---|
| 2022 | 4.355.206 | 4.040.952 | 213.418 |
| 2021 | 3.590.638 | 4.483.094 | 215.786 |
| 2020 | 2.029.836 | 4.614.221 | 202.722 |
| 2019 | 4.644.490 | 4.323.479 | 231.055 |
| 2018 | 4.419.541 | 4.470.961 | 226.599 |
| 2017 | 4.196.259 | 4.337.494 | 222.427 |
| 2016 | 4.001.017 | 4.322.810 | 224.705 |
| 2015 | 3.758.450 | 4.291.372 | 218.781 |
| 2014 | 3.597.601 | 4.259.260 | 219.014 |
| 2013 | 4.598.186 | 4.138.644 | 233.404 |
| 2012 | 6.753.186 | 4.016.814 | 271.127 |
| 2011 | 8.737.641 | 3.917.207 | 311.791 |
| 2010 | 10.003.186 | 3.917.609 | 336.016 |
| 2009 | 10.229.627 | 3.697.806 | 338.973 |
| 2008 | 10.925.622 | 3.696.191 | 363.139 |
| 2007 | 11.258.682 | 3.841.274 | 374.989 |
| 2006 | 11.149.775 | 3.692.834 | 384.823 |
Verkehrsreichste Strecken
| Rang | Stadt | Passagiere | Fluggesellschaften |
|---|---|---|---|
| 1 | Atlanta, Georgia | 411.850 | Delta, Southwest |
| 2 | Dallas/Fort Worth, Texas | 268.790 | American |
| 3 | Charlotte, North Carolina | 202.260 | American |
| 4 | Denver, Colorado | 111.420 | Frontier, Southwest, United |
| 5 | Chicago–O’Hare, Illinois | 107.790 | American, United |
| 6 | Las Vegas, Nevada | 94.720 | Allegiant, Frontier, Spirit |
| 7 | Chicago–Midway, Illinois | 91.560 | Southwest |
| 8 | Houston, Texas | 80.520 | United |
| 9 | Orlando, Florida | 78.310 | Frontier, Southwest, Spirit |
| 10 | New York–LaGuardia, New York | 69.040 | American, Delta |
Zwischenfälle
- Am 10. Februar 1944 schlug eine Douglas DC-3-277A der American Airlines (Luftfahrzeugkennzeichen NC21767) in einem Längsneigungswinkel von etwa 20 Grad und leichtem Rollwinkel nach rechts mit der Tragfläche zuerst auf dem Fluss Mississippi auf. Der Unfall geschah im Anflug auf den Flughafen Memphis-Municipal, 29 Kilometer südwestlich davon entfernt. Alle 24 Insassen, drei Besatzungsmitglieder und 21 Passagiere, kamen ums Leben.[21]
- Am 11. Dezember 1947 geriet eine Douglas DC-3/C-47B-28-DK der United States Air Force (USAF) (44-76366) in der Nähe ihres Ziels, des Flughafens Memphis-Municipal in einen unkontrollierten Spiralsturz und stürzte ab. Alle 20 Insassen, vier Besatzungsmitglieder und 16 Passagiere, kamen ums Leben.[22]
- Am 22. Juni 1949 fiel bei einer Convair CV-240-0 der American Airlines (N94266) beim Start vom Flughafen Memphis-Municipal das Triebwerk Nummer 2 (rechts) aus. Um Stromleitungen auszuweichen, zogen die Piloten die Nase des Flugzeugs zu hoch, worauf es gut 5 Kilometer ostnordöstlich des Flughafens zu einer Bauchlandung im Gelände kam. Alle 44 Insassen überlebten. Dies war der erste Totalschaden einer Convair CV-240.[23]
- Am 13. Januar 1963 rollte eine Douglas DC-7 der US-amerikanischen Delta Air Lines (N4875C) nachts auf einem ungewohnten Weg zur Startbahn am Flughafen Memphis-Municipal, als sie mit einer geparkten Fairchild C-123 Provider der United States Air Force (54-0589) kollidierte. Der Kapitän der DC-7 wurde getötet; die anderen vier Besatzungsmitglieder des Überführungsfluges überlebten. Die Provider wurde durch Feuer beschädigt, konnte aber ebenso wie die DC-7 repariert werden.[24]
Weblinks
- Offizielle Website (englisch)
- Flughafendaten (englisch) ( vom 10. November 2013 im Webarchiv archive.today)
- Flughafendaten im Aviation Safety Network (englisch)
- Jeffrey F. Rayport: Das Wunder von Memphis. In: Technology Review., 24. Dezember 2010
Einzelnachweise
- ↑ a b c AirportIQ 5010: Memphis International. GCR1.com, archiviert vom (nicht mehr online verfügbar) am 4. März 2016; abgerufen am 13. Juli 2019 (englisch). Info: Der Archivlink wurde automatisch eingesetzt und noch nicht geprüft. Bitte prüfe Original- und Archivlink gemäß Anleitung und entferne dann diesen Hinweis.
- ↑ a b c d e f g h i Statistics. FlyMemphis.com, abgerufen am 30. März 2023 (englisch).
- ↑ a b c Reports. FlyMemphis.com, abgerufen am 13. Juli 2019 (englisch).
- ↑ 2021 Airport Traffic Report. (PDF) PANYNJ.gov, abgerufen am 30. März 2023 (englisch).
- ↑ North America Airport Traffic Report. AirportsCouncil.org, abgerufen am 30. März 2023 (englisch).
- ↑ Ground Transportation. FlyMemphis.com, abgerufen am 23. Februar 2018 (englisch).
- ↑ Airport moves to clear space for growth. CommercialAppeal.com, 20. Mai 2016, abgerufen am 31. März 2017 (englisch).
- ↑ Airport History. FlyMemphis.com, abgerufen am 30. März 2017 (englisch).
- ↑ Delta to Cut Flights, De-Hub Memphis. MemphisDailyNews.com, 5. Juni 2013, abgerufen am 30. März 2017 (englisch).
- ↑ a b Memphis International Airport: Concourse Modernization. FlyMemphis.com, archiviert vom am 17. Mai 2014; abgerufen am 2. Juni 2023 (englisch).
- ↑ a b c d e Terminal Map. FlyMemphis.com, abgerufen am 13. Juli 2019 (englisch).
- ↑ a b Memphis International Airport B Concourse to close for construction April 4 Operations will be focused on A & C Concourses until 2021. FlyMemphis.com, 2. April 2018, abgerufen am 13. Juli 2019 (englisch).
- ↑ a b c Memphis airport readies for $214 million, three-year overhaul of B Concourse. CommercialAppeal.com, 5. Januar 2018, abgerufen am 13. Juli 2019 (englisch).
- ↑ a b c d Airlines at MEM. FlyMemphis.com, abgerufen am 13. Juli 2019 (englisch).
- ↑ a b Memphis International Airport maintains status as world’s 2nd busiest cargo airport; MEM is busiest cargo airport in North America. FlyMemphis.com, 19. April 2018, abgerufen am 13. Juli 2019 (englisch).
- ↑ Why Does My Package Go Through Memphis? Answers Revealed! FedEx.com, 19. April 2018, archiviert vom (nicht mehr online verfügbar) am 26. Juli 2019; abgerufen am 13. Juli 2019 (englisch). Info: Der Archivlink wurde automatisch eingesetzt und noch nicht geprüft. Bitte prüfe Original- und Archivlink gemäß Anleitung und entferne dann diesen Hinweis.
- ↑ Properties and Cargo. FlyMemphis.com, abgerufen am 13. Juli 2019 (englisch).
- ↑ First of military's latest cargo carriers join Air National Guard in Memphis. CommercialAppeal.com, 2. Februar 2013, archiviert vom am 1. Februar 2014; abgerufen am 2. Juni 2023 (englisch).
- ↑ a b MEM's Nonstop Destinations. FlyMemphis.com, abgerufen am 30. März 2023 (englisch).
- ↑ Memphis, TN: Memphis International (MEM). Transtats.BTS.gov, abgerufen am 30. März 2023 (englisch).
- ↑ Flugunfalldaten und -bericht DC-3 NC21767 im Aviation Safety Network (englisch), abgerufen am 2. Februar 2023.
- ↑ Flugunfalldaten und -bericht DC-3 44-76366 im Aviation Safety Network (englisch), abgerufen am 25. März 2023.
- ↑ Unfallbericht CV-240 N94266, Aviation Safety Network (englisch), abgerufen am 29. August 2020.
- ↑ Flugunfalldaten und -bericht DC-7 N4875C im Aviation Safety Network (englisch), abgerufen am 27. Oktober 2022.



_location_map.svg.png)