Portland International Airport
| Portland International Airport | ||||
|---|---|---|---|---|
![]() | ||||
![]() | ||||
| Der Flughafen aus der Luft, im Hintergrund der Columbia River | ||||
| ||||
| Kenndaten | ||||
| ICAO-Code | KPDX | |||
| IATA-Code | PDX | |||
| Koordinaten | 45° 35′ 19″ N, 122° 35′ 51″ W | |||
| Höhe über MSL | 9 m (30 ft) | |||
| Verkehrsanbindung | ||||
| Entfernung vom Stadtzentrum | 11 km nordöstlich von Portland | |||
| Straße | ||||
| Nahverkehr | ||||
| Basisdaten | ||||
| Eröffnung | 1940 | |||
| Betreiber | Port of Portland | |||
| Fläche | 1214[1] ha | |||
| Terminals | 1 | |||
| Passagiere | 17.518.262[2] (2024) | |||
| Luftfracht | 247.350 t[2] (2024) | |||
| Flug- bewegungen |
200.552[2] (2024) | |||
| Beschäftigte | 17.700[3] (2017) | |||
| Start- und Landebahnen | ||||
| 03/21 | 1829 m × 46 m Asphalt | |||
| 10R/28L | 3353 m × 46 m Beton | |||
| 10L/28R | 2995 m × 46 m Asphalt | |||
Der Portland International Airport (IATA-Code: PDX, ICAO-Code: KPDX) ist ein internationaler Verkehrsflughafen im Nordosten der Stadt Portland und der größte Flughafen des Bundesstaates Oregon. Der Flughafen besteht seit 1940 und verfügt über drei Start- und Landebahnen.[4]
Lage und Verkehrsanbindung
Der Portland International Airport liegt elf Kilometer nordöstlich des Stadtzentrums von Portland am Columbia River. Das zentral gelegene Passagierterminal verfügt über eine eigene Anschlussstelle an der östlich des Flughafens verlaufenden Interstate 205.[5] In der Nähe des Frachtbereichs und der Basis der Oregon Air National Guard am Südende des Flughafengeländes verläuft außerdem der U.S. Highway 30 Bypass.
Der Portland International Airport ist durch eine Stadtbahn in den Öffentlichen Personennahverkehr eingebunden. Die Trimet MAX Red Line verbindet den Flughafen mit dem Zentrum von Portland.[6]
Geschichte
Der Portland International Airport wurde 1958 eröffnet[7]. Pan Am und Northwest Airlines flogen damals beide Seattle-Portland-Honolulu[8] und zurück, Pan Am mit fünf DC-7C-Rundflügen pro Woche und Northwest mit vier DC-6B. Portlands erste Jets waren, ungefähr im Oktober 1959, Pan Am's 707-321. 1966 hatte PDX Nonstop-Flüge nach Salt Lake City, Denver, Chicago. 1977 erreichten Nonstops Las Vegas-Phoenix-Denver-Dallas/Fort Worth-Chicago. Im Jahre 1967 startete United von Portland den ersten Nonstop-Transcontinental-Flug nach New York (JFK), Die Verbindung wurde 1973 beendet. Bis 1974 wurde der Flughafen von Braniff, Cascade Airways, Continental Airlines, Eastern Air Lines, Hughes Airwest, Northwest Orient, Pan Am, United Airlines und Western Airlines angeflogen, und die Seattle-Route wurde von sieben Fluggesellschaften mit Flugzeugen so groß wie Boeing 747 bedient.[9]
Der erste internationale Nonstop war 1967 die Boeing 720B von Western Airlines nach Vancouver.[10] United Airlines, damals die dominierende Fluggesellschaft bei PDX, nutzte Portland von 1983 bis 1983 als einmal wöchentlichen Zwischenstopp für ihren Dienst Chicago–O'Hare-Tokio–Narita 1987. Der Flug hielt in Seattle/Tacoma sechs Tage die Woche und in Portland einmal die Woche an.[11] Nachdem United Airlines 1986 die asiatischen Strecken von Pan American World Airways erworben hatte, konnten sie die Boeing 747SP-Flugzeuge von Pan American World Airways einsetzen, um den Stopp an der Westküste zu eliminieren.[12]
Air Oregon begann nach der Deregulierung im Jahr 1978 mit dem Kurzstreckendienst von Portland und hatte bis 1979 Strecken zu sieben anderen Städten in Oregon.[13] In den 1980er Jahren hatte Air California Nonstop-Flüge nach Seattle, Reno und in die Bay Area; PSA (Pacific Southwest Airlines) hatte Nonstops nach San Francisco und ein oder zwei nach Reno und Sacramento.[14]
Als United Airlines plante, den Tokio-Dienst von Portland aus einzustellen, beantragte Delta Air Lines die Aufnahme des Atlanta-Tokio-Dienstes über Portland mit Lockheed L-1011-Flugzeugen.[12] Wie United Airlines fehlten Delta Air Lines Flugzeuge, die Japan nonstop aus dem Osten der Vereinigten Staaten anfliegen konnten. Delta Air Lines fehlte zu dieser Zeit auch ein Drehkreuz an der Westküste und betrachtete Portland als günstiges internationales und inländisches Drehkreuz über Seattle, das von Northwest Airlines dominiert wurde. Nach Aufnahme des Tokio-Dienstes im Jahr 1986 fügte Delta Air Lines 1988 einen Flug nach Seoul hinzu, der mit den Olympischen Sommerspielen 1988 zusammenfiel. Der Seoul-Flug wurde später auf Hongkong, Peking, Shanghai und Taipeh ausgedehnt.[15] Bis 1994 hatte Delta Air Lines McDonnell Douglas MD-11-Flugzeuge eingeführt und einen weiteren Transpazifikflug nach Nagoya sowie Inlandsflüge nach New York City, Anchorage, Fairbanks und anderen Zielen hinzugefügt.[16] Das Drehkreuz von Delta Air Lines hatte 1998 mit zusätzlichen Verbindungen nach Osaka und Fukuoka seinen Höhepunkt erreicht.[17] Die asiatische Finanzkrise von 1997 beeinträchtigte den Betrieb von Delta Air Lines, und internationale Reisen gingen aufgrund von Beschwerden über die Behandlung in der Einwanderungseinrichtung in Portland noch weiter zurück, was dazu führte, dass sie den Spitznamen „DePortland“ erhielt. Die Kombination dieser Faktoren veranlasste Delta Air Lines, den damals letzten Direktflug von Portland nach Tokio und von Portland nach Nagoya im März 2001 einzustellen.[18]
Lufthansa startete 2003 Direktflüge nach Frankfurt[19] stellte die Strecke jedoch 2009 wegen mangelnder Rentabilität ein.[20] Northwest Airlines führte am 10. Juni 2004 Nonstop-Flüge nach Tokio-Narita ein und belebte damit eine von Delta beendete Route[21] Mexicana de Aviación führte auch Flüge nach Guadalajara und Mexiko-Stadt ein; nach 5 Dienstjahren zog sich Mexicana 2008 aufgrund hoher Treibstoffpreise und veränderter Nachfrage zurück.[22]
Northwest Airlines fügte 2008 einen Nonstop-Service nach Amsterdam hinzu. Der Service wurde in diesem Jahr auf eine von Northwest betriebene, von Delta geflogene 767-300 und gelegentlich eine von Northwest betriebene, von Delta geflogene 767-400 reduziert.[23] Air Canada führte von 2010 bis 2012 saisonale Flüge nach Toronto–Pearson durch, wurde dann aber im Mai 2016 wieder aufgenommen.[24] Seit 2014 haben drei weitere ausländische Fluggesellschaften ihren Dienst bei PDX aufgenommen: Volaris mit Verbindungen nach Guadalajara, Condor mit saisonalen Verbindungen nach Frankfurt und Icelandair mit saisonalen Verbindungen nach Reykjavík–Keflavík. British Airways kündigte außerdem Flüge von London nach Heathrow ab Juni 2022 an. Nach der Übernahme von Northwest behielt Delta Air Lines die Nonstop-Flüge von Northwest nach Amsterdam und Tokio bei. Letzteres erforderte 2009 eine einmalige Subvention in Höhe von 3,5 Mio. US-Dollar vom Hafen von Portland an Delta, um die Route aufrechtzuerhalten.
Am 31. Mai 2016 kündigte Delta Air Lines einen saisonalen Nonstop-Service nach London–Heathrow an, der am 26. Mai 2017 begann.[25] Dieser Service endete im folgenden Jahr. Im Mai 2017 kündigten Delta Air Lines und Aeroméxico einen neuen Nonstop-Service von Portland nach Mexiko-Stadt mit von Aeroméxico geflogenen Boeing 737-800-Flugzeugen an, der aufgenommen wurde am 1. Dezember 2017, endete aber am 7. Januar 2019.[26][27]
Flughafenanlagen

Der Portland International Airport hat eine Gesamtfläche von 1214 Hektar.[1]
Start- und Landebahnen
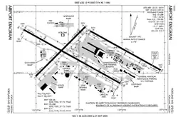
Der Portland International Airport verfügt über drei Start- und Landebahnen. Die längste Start- und Landebahn trägt die Kennung 10R/28L, ist 3353 Meter lang und 46 Meter breit. Die parallele Start- und Landebahn 10L/28R ist 2995 Meter lang und ebenfalls 46 Meter breit. Die Querwindbahn 03/21 ist 1829 Meter lang, 46 Meter breit und kreuzt die Start- und Landebahn 10R/28L. Die Start- und Landebahn 10R/28L verfügt über einen Belag aus Beton, während die anderen beiden Start- und Landebahnen mit einem Belag aus Asphalt ausgestattet sind.[1][28]
Passagierterminal
Der Portland International Airport verfügt über ein Passagierterminal, welches in ein Hauptterminal und vier Concourses mit den Bezeichnungen A bis E unterteilt ist. Insgesamt hat das Passagierterminal 45 Flugsteige. Die Concourses B und C bilden den südlichen Teil des Terminals, während die Concourses D und E den nördlichen Teil bilden.[29] Das Hauptterminal wird derzeit umgebaut. Zudem existierte ein für Regionalflugzeuge ausgelegter Concourse A, welcher 2019 zugunsten einer Erweiterung des Concourse B abgerissen wurde.[30][31]
Concourse B
Zurzeit wird ein neuer Concourse B errichtet, dieser soll im Herbst 2021 eröffnet werden.[30][32]
Concourse C
Concourse C besteht aus 22 Flugsteigen mit den Bezeichnungen C5 bis C23B.[29]
Concourse D
Concourse D besteht aus elf Flugsteigen mit den Bezeichnungen D5 bis D13, auch hier verfügen alle Flugsteige über Fluggastbrücken.[29]
Concourse E
Concourse E besteht aus zwölf Flugsteigen mit den Bezeichnungen E2 bis E13.[29] Der Concourse wurde bis zum Juli 2020 erweitert.[30][33]
Fluggesellschaften und Ziele
Der Portland International Airport wird von insgesamt 17 Fluggesellschaften genutzt.[3] Er dient Alaska Airlines und Horizon Air als Drehkreuz. Daneben verfügen auch die Fluggesellschaften American Airlines, Delta Air Lines, SkyWest Airlines, Southwest Airlines und United Airlines über größere Marktanteile.[2] Die Frachtfluggesellschaft Ameriflight betreibt ebenfalls ein Drehkreuz in Portland.
Vom Portland International Airport aus werden insgesamt 58 nationale und 7 internationale Ziele nonstop angeflogen. Die wichtigsten nationalen Flugziele liegen größtenteils im Westen der Vereinigten Staaten.[34] Daneben gibt es internationale Verbindungen zu Zielen in Kanada und Mexiko sowie in Europa. Bis 2009 wurde der Flughafen auch von der Lufthansa angeflogen. Seit Juni 2015 bedient Condor Flugdienst Portland wieder mit direkten Flügen von und nach Frankfurt, allerdings nur während des Sommerflugplans.[35][36] Des Weiteren fliegt Icelandair während des Sommerflugplans nach Keflavik.[37][38]
Verkehrszahlen
Im Jahr 2020 betrug der Passagierdurchsatz 7,08 Mio.; damit nahm er Platz 31 in den Vereinigten Staaten ein, weltweit lag er auf Platz 141. Im gleichen Jahr wurden 135.329 Flugbewegungen verzeichnet; in den Vereinigten Staaten lag er auf Platz 45 und weltweit auf Platz 89.[39]

| Jahr | Fluggastaufkommen | Luftfracht (Tonnen) | Luftpost (Tonnen) | Flugbewegungen (mit Militär) | ||
|---|---|---|---|---|---|---|
| National | International | Gesamt | ||||
| 2020 | 6.898.086 | 186.457 | 7.084.543 | 301.118 | 11.595 | 135.329 |
| 2019 | 19.059.318 | 832.047 | 19.891.365 | 276.913 | 11.025 | 238.384 |
| 2018 | 19.020.622 | 862.166 | 19.882.788 | 234.270 | 12.595 | 233.993 |
| 2017 | 18.333.277 | 747.217 | 19.080.494 | 223.999 | 12.326 | 228.949 |
| 2016 | 17.679.874 | 672.893 | 18.352.767 | 209.830 | 8.428 | 227.709 |
| 2015 | 16.248.366 | 602.586 | 16.850.952 | 207.226 | 8.507 | 218.021 |
| 2014 | 15.419.782 | 496.727 | 15.916.509 | 199.813 | 7.537 | 216.253 |
| 2013 | 14.579.152 | 450.417 | 15.029.569 | 192.699 | 6.284 | 209.909 |
| 2012 | 13.946.511 | 444.239 | 14.390.750 | 192.208 | 6.503 | 216.195 |
| 2011 | 13.236.651 | 439.273 | 13.675.924 | 186.831 | 7.365 | 219.197 |
| 2010 | 12.752.338 | 440.519 | 13.192.857 | 182.077 | 7.641 | 223.068 |
| 2009 | 12.482.846 | 446.829 | 12.929.675 | 172.470 | 5.875 | 226.548 |
| 2008 | 13.671.965 | 627.269 | 14.299.234 | 212.887 | 7.734 | 252.572 |
| 2007 | 14.078.873 | 575.349 | 14.654.222 | 248.739 | 5.566 | 264.518 |
| 2006 | 13.521.492 | 521.997 | 14.043.489 | 250.810 | 8.028 | 260.510 |
| 2005 | 13.403.433 | 476.268 | 13.879.701 | 250.200 | 10.726 | 263.523 |
| 2004 | 12.645.600 | 392.457 | 13.038.057 | 240.979 | 10.578 | 263.046 |
| 2003 | 12.115.461 | 284.549 | 12.400.010 | 226.690 | 12.074 | 267.052 |
Verkehrsreichste Strecken
| Rang | Stadt | Passagiere | Fluggesellschaften |
|---|---|---|---|
| 1 | Seattle-Tacoma, Washington | 298.780 | Alaska, Delta |
| 2 | Denver, Colorado | 263.370 | Alaska, Frontier, Southwest, United |
| 3 | Las Vegas, Nevada | 238.070 | Alaska, Frontier, Southwest, Spirit |
| 4 | Phoenix, Arizona | 211.770 | Alaska, American, Southwest |
| 5 | Los Angeles, Kalifornien | 201.500 | Alaska, America, Delta |
| 6 | San Francisco, Kalifornien | 187.500 | Alaska, United |
| 7 | Dallas/Fort Worth, Texas | 168.350 | Alaska, American |
| 8 | Salt Lake City, Utah | 142.070 | Alaska, Delta |
| 9 | Sacramento, Kalifornien | 111.640 | Alaska, Southwest |
| 10 | San José, Kalifornien | 111.010 | Alaska, Southwest |
Zwischenfälle
- Am 1. Oktober 1966 flog eine Douglas DC-9-14 der West Coast Airlines (Luftfahrzeugkennzeichen N9101) beim Anflug auf den Flughafen Portland (Oregon) in einen Bergrücken. Bei diesem CFIT (Controlled flight into terrain) wurden alle 18 Insassen getötet. Dies war der erste Totalverlust einer DC-9.[40]
- Am 28. Dezember 1978 stürzte eine Douglas DC-8-61 der United Airlines (Kennzeichen N8082U) auf dem United-Airlines-Flug 173 etwa 11 km (sechs nautische Meilen) vom Flughafen entfernt in einem von Wald durchsetzten Außenbezirk im Nordosten Portlands ab. Der Maschine war der Treibstoff ausgegangen, weil sie rund eine Stunde Warteschleifen flog, während der sich die Cockpit-Besatzung mit vor der Landung aufgetretenen, vermeintlichen Fahrwerksproblemen befasste. Von den insgesamt 189 Insassen (179 Passagiere, zehn Crewmitglieder) kamen zehn ums Leben (acht Passagiere, der Flugingenieur und eine Stewardess).[41]
Weblinks
- Offizielle Website des Flughafens (Engl.)
- Offizielle Website des Betreibers (Engl.)
- PDX Master Plan 2000 (Engl.)
- Airport data (Engl.)
- Airport history by Portland State University Students (Engl.)
Einzelnachweise
- ↑ a b c AirportIQ 5010: Portland International. GCR1.com, archiviert vom (nicht mehr online verfügbar) am 15. Dezember 2017; abgerufen am 4. Juli 2019 (englisch).
- ↑ a b c d e f Port of Portland Finance & Statistics. PortofPortland.com, abgerufen am 26. Januar 2025 (englisch).
- ↑ a b Newsroom - For Reporters. PortofPortland.com, abgerufen am 16. Juli 2018 (englisch).
- ↑ PDX Turns 80; Shares Early Look at New Airport Design. PortofPortland.com, 13. Oktober 2020, abgerufen am 31. Oktober 2021 (englisch).
- ↑ Portland International Airport Directions. FlyPDX.com, archiviert vom (nicht mehr online verfügbar) am 17. Januar 2018; abgerufen am 16. Januar 2018 (englisch).
- ↑ Ground Transportation. FlyPDX.com, abgerufen am 16. Januar 2018 (englisch).
- ↑ Holiday travel flashback: How Portland International Airport has changed over the years. In: oregonlive.com. 20. November 2018, abgerufen am 14. April 2023 (englisch).
- ↑ Northwest Airlines timetable, May 22, 1960 timetableimages.com, englisch; abgerufen am 14. April 2023
- ↑ Airlines and Aircraft Serving Portland, Oregon Effective April 1, 1974 departedflights.com, englisch; abgerufen am 14. April 2023
- ↑ Western Airlines timetalbe, August 1, 1968 timetables.com, englisch; abgerufen am 14. April 2023
- ↑ Airlines and Aircraft Serving Tokyo Narita Effective July 1, 1983 departedflights.com, englisch; abgerufen am 14. April 2023
- ↑ a b Airlines and Aircraft Serving Tokyo Narita Effective January 15, 1989 departedflights.com, englisch; abgerufen am 14. April 2023
- ↑ Airlines and Aircraft Serving Portland, Oregon Effective November 15, 1979 departedflights.com, englisch; abgerufen am 14. April 2023
- ↑ Airlines and Aircraft Serving Portland, Oregon Effective April 1, 1981, departedflights.com
- ↑ Airlines and Aircraft Serving Seoul Effective January 15, 1989 departedflights.com, englisch; abgerufen am 14. April 2023
- ↑ Airlines and Aircraft Serving Tokyo Narita Effective October 1, 1996 departedflights.com, englisch; abgerufen am 14. April 2023
- ↑ Delta inaugurates service to Tokyo (englisch) ( vom 24. Februar 2006 im Internet Archive) abgerufen am 14. April 2023
- ↑ Delta cuts Portland service. In: bizjournals.com. 1. September 2000, abgerufen am 14. April 2023 (englisch).
- ↑ Lufthansa to add Portland service. In: bizjournals.com. 23. Oktober 2002, abgerufen am 14. April 2023 (englisch).
- ↑ Lufthansa will end Portland-Frankfurt flight. In: oregonlive.com. 6. Juni 2009, abgerufen am 10. April 2023 (englisch).
- ↑ Northwest To Fly Portland -- Tokyo Nonstop (englisch) ( vom 24. September 2020 im Internet Archive) abgerufen am 14. April 2023
- ↑ Mexicana adds service from PDX to Mexico. In: bizjournals.com. 17. März 2003, abgerufen am 14. April 2023 (englisch).
- ↑ Northwest trims PDX-Amsterdam service. In: oregonlive.com. 29. Dezember 2008, abgerufen am 14. April 2023.
- ↑ Air Canada to launch direct service from PDX to Toronto. In: oregonlive.com. 27. Januar 2010, abgerufen am 14. April 2023 (englisch).
- ↑ Delta adds London nonstop from Portland, Ore. In: usatoday.com. 1. Juni 2016, abgerufen am 1. April 2023 (englisch).
- ↑ Aeromexico launches Portland to Mexico City service. In: oregonlive.com. 25. Mai 2017, abgerufen am 14. April 2023 (englisch).
- ↑ Aeromexico legt Rückwärtsgang ein. In: aerotelegraph.com. 23. Oktober 2018, abgerufen am 14. April 2023 (englisch).
- ↑ Airport Diagram Portland Intl. (PDX). In: faa.gov. Federal Aviation Administration, abgerufen am 13. Oktober 2023 (englisch).
- ↑ a b c d Map. FlyPDX.com, abgerufen am 31. Oktober 2021 (englisch).
- ↑ a b c See for yourself. PDXNext.com, abgerufen am 31. Oktober 2021 (englisch).
- ↑ Goodbye to A: Memories from the concourse we’ll (kinda) miss. PDXNext.com, 11. September 2019, abgerufen am 31. Oktober 2021 (englisch).
- ↑ PDX construction 101: What’s happening at your local airport, explained. PDXNext.com, 10. März 2021, abgerufen am 31. Oktober 2021 (englisch).
- ↑ PDX Opens Concourse E Extension, First New Gates at Airport in Nearly 20 Years. PortofPortland.com, 15. Juli 2020, abgerufen am 31. Oktober 2021 (englisch).
- ↑ a b Portland International. Transtats.BTS.gov, abgerufen am 31. Oktober 2021 (englisch).
- ↑ Condor nimmt Portland, Oregon, im Sommer 2015 neu in den Flugplan auf. Condor.com, 2. September 2014, abgerufen am 10. Februar 2018.
- ↑ Flugplan. Condor.com, abgerufen am 31. Oktober 2021.
- ↑ Icelandair Returns to Portland with Sale Fares to Europe; Iceland Open to All Vaccinated Travelers. FlyPDX.com, 17. März 2021, abgerufen am 31. Oktober 2021 (englisch).
- ↑ a b Nonstop Destinations. FlyPDX.com, abgerufen am 31. Oktober 2021 (englisch).
- ↑ North American Airport Traffic Reports. AirportsCouncil.org, abgerufen am 31. Oktober 2021 (englisch).
- ↑ Unfallbericht DC-9-14 N9101, Aviation Safety Network (englisch), abgerufen am 27. Juli 2020.
- ↑ Unfallbericht DC-8-61 N8082U, Aviation Safety Network (englisch), abgerufen am 27. Juli 2020.



_location_map.svg.png)