Judengasse (Köln)
Koordinaten: 50° 56′ 15,2″ N, 6° 57′ 31,7″ O


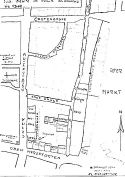
Die Judengasse ist eine 70,90 Meter lange Gasse in der Kölner Altstadt-Nord.
Allgemeines

Die Kölner Judengasse ist fast so alt wie die Geschichte der Stadt Köln und war das Zentrum des sich um das Rathaus befindlichen Kölner Judenviertels („Judengetto“) innerhalb der Straßen Kleine Budengasse/Unter Goldschmied/Obenmarspforten.[1] Zwischen Obenmarspforten (früher: „marsportzen“) und Kleiner Budengasse („Botengaß“) verlief die Enggasse (heute: Portalsgasse). Die Judengasse begann an der Kleinen Budengasse, nördliche Verlängerung der Judengasse war die Bürgerstraße („Burgerstraiß“). Über die Judengasse gelangte man von Obenmarspforten zur Synagoge, zur Judenschule, zum Backhaus und zur Mikwe.[2] Ursprünglich reichte sie vor der Herausbildung des vor dem Historischen Rathaus gelegenen Rathausplatzes und der Umbenennung ihres nördlichen Abschnittes in „Bürgerstraße“ bis zur Kleinen Budengasse und umfasste eine Gesamtlänge von etwa 180 Metern. Die Judengasse bildet die östliche Seite des ehemaligen jüdischen Viertels und der Archäologischen Zone Köln und verlief zugleich entlang der römischen Stadtmauer.
Geschichte
Die jüdische Geschichte in Köln ist eng mit dem Kölner Judenviertel verknüpft. Die Gegend wurde ab 321 überwiegend von Bürgern jüdischen Glaubens bewohnt. Es wohnten hier jedoch auch Christen, denn 1096 wird von einem Maler berichtet, der in seiner „Wohnung in der Judengasse auf einer Wand ein sogenanntes ‚Golgatha‘… gemalt hatte“.[3]
Die Juden besiedelten Köln von Gallien aus, ein Edikt von Kaiser Konstantin belegt während der Römerzeit den Schutz der Kölner Juden ab 321.[4] Im Mittelalter hieß die Judengasse lateinisch finis platea iudeorum oder „iuedengassen“ (Kölsch: „Jüddejass“). Die Judengasse bildete die östliche Grenze des ca. 14.000 umfassenden Areals des mittelalterlichen Judenviertels. In den Schreinsbüchern wird sie ab 1135 erwähnt. Mit Hilfe von Katasterplänen aus dem Jahr 1863 konnte für die Gasse eine Breite von 3 bis 3,50 Metern rekonstruiert werden.
Mittelalter
Im 11. Jahrhundert hielten die Kölner Juden fast den alleinigen Besitz am Rheinhandel und im Geldhandel des Kölner Bankwesens.[5] Im Jahre 1010 (oder 1012 oder 1040) entstand unter Erzbischof Heribert von Köln in der Pfarrei St. Laurentius eine Synagoge an der Stelle der heutigen Rathauskapelle.[6] Zur Anlage gehörte auch das 16 Meter tief bis ins Grundwasser hinab reichende rituelle Tauchbad Mikwe, das aus dem 8. Jahrhundert stammt. In der Judengasse lagen das Gemeindehaus (genannt „Spielhaus“ oder „Spillhaus“, erstmals 1288 erwähnt), der Judenbrunnen, die Judenschule und das Kapitelhaus der Juden. Die 1183 erstmals erwähnte Judenpforte (lateinisch porta Judaeorum) trennte die Altstadt auf der Nordseite der Judengasse.[7]
Judenpogrome
Ein erstes Judenpogrom fand vom 30. Mai bis zum 1. Juni 1096 statt, als Bürger und Teilnehmer am ersten Kreuzzug aus Frankreich und vom Oberrhein (Speyer, Worms, Mainz) kommend Häuser zerstörten (unter anderem die Synagoge), plünderten und Juden angriffen.[8] Zum Schutz der Juden ließ sie Erzbischof Hermann III. von Hochstaden am 3. Juni 1096 in sieben nordwestlich gelegene Städte evakuieren. Noch größere Gewalt gegen Juden brachte der zweite Kreuzzug nach dem 24. September 1146.[9] Einige Häuser der Judengasse wurden Erzbischof Arnold I. zur Verwahrung übergeben.[10]
Bebauung
-
Judengasse – Kölner Stadtansicht von 1570 mit Markierung des Judenviertels -
Kölner Judenviertel
Eines der ersten jüdischen Häuser in der Judengasse erbauten 1197 die Eheleute Gerardus und Engelrad von der Ho(e)sen („Haus zu der Hoese“), das bis 1353 in jüdischem Besitz blieb.[11] Das romanische Herrenhaus „Morant von St. Laurenz“ lag an der nordwestlichen Ecke der Judengasse, das nach 1349 umgebaut wurde,[12] danach als jüdisches Kapitelhaus diente und als Sitz des Judenbischofs fungierte.[13]
Der Grundbesitz und die Häuser Kölns wurden durch Schreinsbücher detailliert erfasst. Die Pfarrei St. Laurentius führte zwischen 1235 und 1347 ein spezielles „Judenschreinsbuch“ (lateinisch carta judeorum),[14] dessen Eintragungen das Immobilienwesen in der Gegend belegen. Im Jahre 1235 lag der Grundbesitz von etwa 50 Häusern und Hofstätten in jüdischer Hand, er wuchs auf 60 (1300), 70 (1325) und 75 im Jahre 1345.[15] Juden bewohnten in der Judengasse ein „Haus von Achen“, das im Westen an ein Haus des Bürgers Johann Buza und im Süden an das unbebaute Grundstück „zum Schaaf“ grenzte.[16] Gottschalk aus Heimerzheim erwarb ein Haus zwischen den Häusern des R. Jakob aus Roermond und dem Haus des Erben der Frau Kela aus Linz.[17]
Allmählich erwarben die Juden auch Häuser auf der Westseite der Judengasse, in der Portalsgasse und auf der Westseite der Bürgerstraße.[18] Im Oktober 1207 wird das „Haus Nussia“ (benannt nach Neuss, Nr. 1–3) des Seligmann erwähnt, dem Eckhaus Obenmarspforten/Judengasse. Daneben stand „Haus zum Himmelgeis(t)“ (Nr. 4).[19] Im Oktober 1270 kaufte der Dürener Jude Lyvermann ein Grundstück, auf dem er „Haus Lyvermann“ (Nr. 7) errichten ließ, das bis 1423 im Familienbesitz blieb. Im Februar 1279 erwarb Sarah Salomo 2⁄3 eines Hauses, ein weiterer Hauseigentümer hieß im April 1289 R. Menachem.[20]
Zwischen der Judengasse und dem Alter Markt entstand 1310 die „Judenmauer“. R. Mazlach kaufte im April 1316 1⁄32 Bruchteil eines Hauses.[21] R. Ascher kaufte im Juni 1318 3⁄4 des südlich vom Grundstück „zum Gronle“ gelegenen Hauses.[22] Am 3. Februar 1322 und nochmals am 30. Januar 1324 sicherte der Stadtrat den in der Judengasse wohnenden Juden die Nutzung der ihnen zugestandenen Rechte und setzte die Abgabe fest, die sie beim Erwerb oder der Miete von Häusern zu entrichten hatten.[23] Am 3. Februar 1374 erwarb die Stadt das in der Judengasse gelegene „Haus zu der Hoese“ für eine Leibrente von 200 Gulden und brachte dort den Stadtschreiber Thomas van Dalen unter.[24]
Spätestens seit dem 23. August 1349 kam es im „Judengetto“ zu Massakern an Juden und Brandanschlägen auf ihre Häuser.[25] Ursache der Aufstände gegen jüdische Bewohner war, dass man ihnen die Schuld an der Pest, Missernten und der Inflation gab. Die Eintragungen im Judenschreinsbuch vermerkten 1353 für das nun „Beyenburg“ genannte „Haus zu der Hoese“, es habe hinten eine gewölbte Kammer, die möglicherweise zu der 1374 in städtischen Besitz gelangten Immobilie gehörte, die dann Kammer des Stadtschreibers wurde. Bis zum Jahre 1359 wurden in der Judengasse, Portalsgasse, Unter Goldschmied, Budengasse und Bürgerstraße insgesamt 29 Judenhäuser und 28 Hofstätten verkauft und brachten der Stadt 40.000 Mark ein.[26] Bis Oktober 1372 blieben die Juden aus der Stadt verbannt. Um 1400 erweiterte sich der Rathausbereich nach Süden um drei Häuser, darunter auch das der Stadt gehörende frühere „Haus zu der Hoese“.[27]
Verbannung der Juden
_rba_073265.jpg)
Am 8. September 1424 wurde die ehemalige Synagoge christianisiert und als „St. Maria in Jerusalem“ geweiht,[28] bevor der Stadtrat am 1. Oktober 1424 die Verbannung der Juden „up ewige tdzyden“ beschloss.[29] Johann Koelhoff der Ältere und Gattin Bilia verkauften 1491 einen Teil ihres Eckhauses in der Judengasse und wohnten im anderen Teil „Haus Eden“.[30] In der präzisen Kölner Stadtansicht von 1570 des Arnold Mercator hieß sie „Die Iudengaß“, obwohl hierin seit langer Zeit keine Juden mehr wohnten.
Gründerzeit
Anton Wilhelm Aldenbruck baute 1762 das „Haus Lyvermann“ um und benannte es „Aldenbrucksches Haus“. Erst in der Franzosenzeit ab 1794 durften Juden wieder nach Köln zurückkehren. Der erste Jude 1795 in der Judengasse hieß Joseph Stern aus Mülheim an der Ruhr, und bald wohnten wieder 2.300 Juden in Köln.[31] Ab 1797 waren in der Judengasse die Bewohner amtlich registriert. In Nr. 1 wohnte Stephan Müller, Nr. 2 der Kesselmacher Christian Düster, in Nr. 3 der Glaser Joseph Kirchherten, in Nr. 4 der Schneider Michel Schwab, in Nr. 5 der Rechtsanwalt Arnold Wilhelm von Meurers und in Nr. 7 der Gerichtsschreiber Maximilian Everhard Tils. Sie erhielt während der Franzosenzeit im Januar 1813 im Itinéraire de Cologne kurzzeitig den französischen Namen „rue des Juifs“ (deutsch „Judenstraße“),[32] bekam aber 1815 ihren alten Straßennamen zurück. Im Jahre 1806 gab es im Arrondissement de Cologne 2.012 jüdische Bürger.[33]
Im frühen 19. Jahrhundert erhielt die Häusergruppe südlich des Rathauses (Nr. 5 und 7) den Namen „Plasmannsche Häuser“.[34] Am 29. August 1861 feierten die Kölner Juden die Einweihung der neuen Synagoge in der Glockengasse.[35] Von der ehemaligen Häusergruppe Nr. 5 und 7, die südlich an den Saalbau des Rathauses angrenzte und durch eine Erweiterung desselben in diesem aufgegangen war, blieben die mittelalterlichen romanischen Keller erhalten. Die Häuser wichen dem Rathausbau, der 1861 durch Julius Carl Raschdorff erneuert wurde. Das „Aldenbrucksche Haus“ wurde 1878 abgerissen.
Neuzeit
-
Judengasse – Ostseite (August 2010)
-
Archäologische Zone Köln – Bauarbeiten an der Judengasse (rechts; Oktober 2017) -
Grabungszone Köln, 2015
Die Judengasse ist heute eine Straße ohne Wohngebäude. Ab 1964 begannen Ausgrabungsarbeiten südlich der Rathauslaube, die im Rahmen der Regionale 2010 auf die gesamte Platzfläche und die Judengasse ausgedehnt wurden. Im Oktober 2010 hinderten Kölner Streifenpolizisten junge Täter aus der rechtsextremen Szene daran, das Straßenschild der Judengasse herunterzureißen. Von den rund 20 Tätern, die auch die hinzugekommenen Polizisten angriffen, konnten später sechs festgenommen werden. Sie mussten sich wegen Landfriedensbruchs, Widerstands, Bedrohung, Beleidigung und versuchter Sachbeschädigung verantworten.[36]
Seit Beginn der Ausgrabungen 2011 ist die Judengasse Teil der Grabungsstätte der archäologischen Zone. Durch diese Ausgrabungen konnte die Stratigraphie der Gasse von der Zeit des Praetoriums über mehrere Laufhorizonte bis zur Aufplanierung im 14. Jahrhundert rekonstruiert werden. Bei der Zuordnung halfen Bauplastik aus Kalkstein aus dem 6. bis 7. Jahrhundert, Keramikfunde aus dem 9. bis 10. Jahrhundert sowie Scherben (Feststeinzeug) aus dem 12. Jahrhundert. Die Befunde wurden von dem Grabungstechniker Marco Hocke für das Dezernat für Kunst und Kultur, Archäologische Zone der Stadt Köln dokumentiert.[37]
Die seit August 2007 laufende Ausgrabung auf dem Kölner Rathausplatz wurde im April 2015 beendet. An der West- und Nordseite der Judengasse befindet sich die archäologische Zone Köln, auf deren Ostseite nach Abschluss der Ausgrabungsarbeiten ein jüdisches Museum errichtet wird.
Literatur
- Peter Glasner: Die Lesbarkeit der Stadt. Lexikon der mittelalterlichen Straßennamen Köln, Du Mont Literatur und Kunst Verlag, Köln 2002, ISBN 3-8321-7815-5, S. 120 f.
Einzelnachweise
- ↑ Monika Grübel, Juden in Köln, 1999, S. 10
- ↑ Helmut Signon/Klaus Schmidt, Alle Straßen führen durch Köln, 2006, S. 210
- ↑ Leonard Ennen, Geschichte der Stadt Köln, Band I: Die Zeit der Abhängigkeit, 1863, S. 740
- ↑ Christian Arenfeld, Geschichte der Juden in Köln, 1864, S. 5 f.
- ↑ Christian Arenfeld, Geschichte der Juden in Köln, 1864, S. 8
- ↑ Peter Fuchs (Hrsg.), Chronik zur Geschichte der Stadt Köln, Band I, 1990, S. 102
- ↑ Carl Hegel, Verfassungsgeschichte von Cöln im Mittelalter, 1877, S. 86
- ↑ Peter Fuchs (Hrsg.), Chronik zur Geschichte der Stadt Köln, Band I, 1990, S. 115 f.
- ↑ Christian Arenfeld, Geschichte der Juden in Köln, 1864, S. 11
- ↑ Peter Fuchs (Hrsg.), Chronik zur Geschichte der Stadt Köln, Band I, 1990, S. 125
- ↑ Peter Fuchs (Hrsg.), Chronik zur Geschichte der Stadt Köln, Band I, 1990, S. 151
- ↑ Leonard Ennen, Geschichte der Stadt Köln, Band I: Die Zeit der Abhängigkeit, 1863, S. 678
- ↑ Ernst Weyden, Geschichte der Juden in Köln am Rhein, 1867, S. 66
- ↑ Barbara Mattes, Jüdisches Alltagsleben in einer mittelalterlichen Stadt, 1920, S. 155
- ↑ Adolf Kober, Grundbuch des Kölner Judenviertels, 2000, S. 52
- ↑ Moritz Stern/Robert Hoeniger, Das Judenschreinsbuch der Laurenzpfarre zu Köln, 1888, S. 31
- ↑ Moritz Stern/Robert Hoeniger, Das Judenschreinsbuch der Laurenzpfarre zu Köln, 1888, S. 37
- ↑ Adolf Kober, Grundbuch des Kölner Judenviertels, 2000, S. 72
- ↑ Zvi Asaria, Die Juden in Köln: Von den ältesten Zeiten bis zur Gegenwart, 1959, S. 80
- ↑ Moritz Stern/Robert Hoeniger, Das Judenschreinsbuch der Laurenzpfarre zu Köln, 1888, S. 70
- ↑ Moritz Stern/Robert Hoeniger, Das Judenschreinsbuch der Laurenzpfarre zu Köln, 1888, S. 145
- ↑ Moritz Stern/Robert Hoeniger, Das Judenschreinsbuch der Laurenzpfarre zu Köln, 1888, S. 147
- ↑ Peter Fuchs (Hrsg.), Chronik zur Geschichte der Stadt Köln, Band I, 1990, S. 264
- ↑ Peter Fuchs (Hrsg.), Chronik zur Geschichte der Stadt Köln, Band I, 1990, S. 322
- ↑ Peter Fuchs (Hrsg.), Chronik zur Geschichte der Stadt Köln, Band II, 1990, S. 284
- ↑ Ernst Weyden, Geschichte der Juden in Köln am Rhein, 1867, S. 200
- ↑ Hiltrud Kier/Bernd Ernsting/Ulrich Krings, Köln, der Ratsturm: seine Geschichte und sein Figurenprogramm, 1996, S. 43
- ↑ Christian Arenfeld, Geschichte der Juden in Köln, 1864, S. 18
- ↑ Peter Fuchs (Hrsg.), Chronik zur Geschichte der Stadt Köln, Band II, 1990, S. 16
- ↑ Leonard Ennen (Hrsg.), Katalog der Inkunabeln in der Stadt-Bibliothek zu Köln, 1865, S. IX
- ↑ Christian Arenfeld, Geschichte der Juden in Köln, 1864, S. 21
- ↑ Adam Wrede, Neuer Kölnischer Sprachschatz, Band I, 1984, S. 393
- ↑ Zvi Asaria, Die Juden in Köln: Von den ältesten Zeiten bis zur Gegenwart, 1959, S. 66
- ↑ Christoph Bellot, in: Walter Geis/Ulrich Krings (Hrsg.), Das gotische Rathaus und seine historische Umgebung, 1999, S. 278 ff.
- ↑ Christian Arenfeld, Geschichte der Juden in Köln, 1864, S. 22
- ↑ Kölner Stadtanzeiger vom 11. Oktober 2010, abgerufen am 19. Mai 2017.
- ↑ Katja Kliemann, Die Judengasse in Köln. Stratigraphie einer Straße vom frühen bis zum späten Mittelalter, in: Archäologie im Rheinland 2013, herausgegeben vom LVR Amt für Bodendenkmalpflege im Rheinland / Römisch-Germanisches Museum der Stadt Köln, 2013, Theiss Verlag/Darmstadt, 2014, ISBN 978-3-8062-2986-8, S. 178–181.