Zyklon Harold

Zyklon Harold
Kategorie-5-Zyklon (SSHWS)
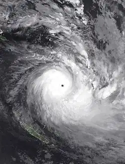
Zyklon Harold bei größter Stärke nach der Querung der Pentecost-Insel in Vanuatu
Zyklon Harold bei größter Stärke nach der Querung der Pentecost-Insel in Vanuatu
Entstehung 1. April 2020
Auflösung 11. April 2020
Spitzen­wind­geschwin­digkeit
270 km/h (165 mph) (1 Minute anhaltend)
Niedrigster Luftdruck 924 hPa (mbar)
Tote ≥30
Sachschäden Unbekannt
Betroffene
Gebiete
Salomonen, Vanuatu, Fidschi, Tonga
Harold quert Vanuatu zwischen 5. und 6. April
Harold vor seiner ersten Berührung mit dem Festland am 4. April bei Espiritu Santo in Vanuatu
Harold über Kadavu in Fidschi am 8. April

Zyklon Harold war ein starker Zyklon, der im April 2020 Zerstörungen in Vanuatu, Fidschi, Tonga und auf den Salomonen verursacht hat.

Nachdem der Zyklon bereits auf den Salomonen schwere Schäden verursacht hatte, querte er Vanuatu und Fidschi. Vanuatu zählte zu dem Zeitpunkt zu den wenigen Ländern weltweit, die bisher noch keine Covid-19-Infektionen gemeldet hatten. Das erschwerte internationale Hilfsaktionen, da befürchtet wurde, damit das neuartige Virus einzuschleppen.[1]

Einzelnachweise

  1. Zyklon richtet schwere Verwüstungen in Vanuatu an, Wiener Zeitung vom 7. April 2020