Will Rogers World Airport
| Will Rogers World Airport | |
|---|---|
![]() | |
| Satellitenaufnahme | |
| Kenndaten | |
| ICAO-Code | KOKC |
| IATA-Code | OKC |
| Koordinaten | 35° 23′ 35″ N, 97° 36′ 3″ W |
| Höhe über MSL | 395 m (1.296 ft) |
| Verkehrsanbindung | |
| Entfernung vom Stadtzentrum | 11 km südwestlich von Oklahoma City |
| Straße | |
| Basisdaten | |
| Betreiber | Oklahoma City Airport Trust |
| Fläche | 3220[1] ha |
| Terminals | 1 |
| Passagiere | 4.400.049[2] (2023) |
| Luftfracht | 25.663 t[2] (2023) |
| Flug- bewegungen |
96.535[2] (2023) |
| Start- und Landebahnen | |
| 13/31 | 2377 m × 46 m Asphalt/Beton |
| 17L/35R | 2988 m × 46 m Beton |
| 17R/35L | 2987 m × 46 m Beton |
| 18/36 | 938 m × 23 m Asphalt |

Der Will Rogers World Airport (IATA-Code: OKC, ICAO-Code: KOKC) ist der wichtigste zivile Flughafen in Oklahoma City im US-Bundesstaat Oklahoma.
Der Flughafen wurde zu Ehren des Komikers und legendären Cowboys Will Rogers benannt, der bei einem Flugzeugabsturz ums Leben kam.
Im Jahre 2023 wurde der Flughafen von rund 4,4 Millionen Passagieren benutzt, was ihn zum wichtigsten Flughafen bei der Personenbeförderung in Oklahoma macht.[2]
Lage und Verkehrsanbindung
Der Will Rogers World Airport liegt elf Kilometer südwestlich des Stadtzentrums von Oklahoma City. Die Interstate 240 verläuft nördlich und östlich des Flughafens, während die Interstate 44 östlich des Flughafens verläuft. Die Interstate Highways teilen sich dort teilweise die Trassen mit dem U.S. Highway 62 und dem Oklahoma State Highway 3. Der Flughafen ist nicht in den öffentlichen Personennahverkehr eingebunden.[3]
Geschichte
Während des Zweiten Weltkriegs hieß der Flughafen Will Rogers Field. Er war ein reiner Militärflugplatz und diente den US-Luftstreitkräften als Übungsflughafen. Zwischen Juli 1942 und November 1943 war er dauernd durch Einheiten für Übungen in Beschlag genommen. Es fanden hier Übungen der ersten Phase statt, danach wurden die Einheiten jeweils zur Fortsetzung des Trainings in andere Militärflugplätze verlegt.
Nach letzten Erneuerungen in den 1960er Jahren verfielen die Einrichtungen zusehends. Ende der 1990er Jahre erwarb der Oklahoma City Airport Trust das Gelände mit dem Ziel, einen Flughafen für die Zivilluftfahrt zu bauen. Die Bauarbeiten begannen 2001. Zunächst verwendete die regionale Fluggesellschaft Great Plains Airlines den Flughafen, doch 2004 ging diese Fluggesellschaft in Konkurs. Die Betreibergesellschaft erweiterte danach den Flughafen; diese Arbeiten wurden im November 2006 abgeschlossen.
2022 wurde eine Erweiterung des Passagierterminals um vier Flugsteige abgeschlossen.[4]
Flughafenanlagen

Der Will Rogers World Airport erstreckt sich über eine Fläche von 3.220 Hektar.[1]
Start- und Landebahnen
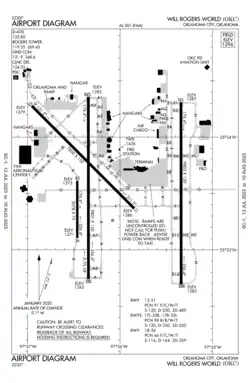
Der Will Rogers World Airports verfügt über vier Start- und Landebahnen, von denen drei Bahnen parallel verlaufen. Die längste Start- und Landebahn trägt die Kennung 17L/35R, ist 2988 Meter lang, 46 Meter breit und ist mit einem Belag aus Beton ausgestattet. Die parallele Start- und Landebahn trägt die Kennung 17R/35L, ist 2987 Meter lang, 46 Meter breit und ebenfalls mit einem Belag aus Beton ausgestattet. Die Start- und Landebahn mit der Kennung 18/36 verläuft ebenfalls parallel. Sie ist 938 Meter lang, 23 Meter breit und mit einem Belag aus Asphalt ausgestattet. Die Querwindbahn trägt die Kennung 13/31, ist 2377 Meter lang und 46 Meter breit. Der Belag besteht jeweils zum Teil aus Asphalt und Beton.[5]
Passagierterminal
Der Will Rogers World Airport verfügt über ein Passagierterminal. Dieses verfügt über 22 Flugsteige, die mit Fluggastbrücken ausgestattet sind.[1]
Militär
Im Nordwesten des Flughafens liegt die Will Rogers Air National Guard Base der Oklahoma Air National Guard. Auf dieser ist der 137th Special Operations Wing stationiert, die Einheit setzt Flugzeuge des Typs MC-12W ein.[6]
Andere Einrichtungen
Die Regionalfluggesellschaft SkyWest Airlines betreibt einen Wartungshangar am Will Rogers World Airport.[7]
Fluggesellschaften und Ziele
Der Will Rogers World Airport wird von Alaska Airlines, Allegiant Air, American Airlines, Delta Air Lines, Frontier Airlines, Southwest Airlines und United Airlines genutzt.[8]
Es werden 21 ganzjährige und vier saisonale Ziele in den Vereinigten Staaten angeflogen, darunter vor allem die Drehkreuze bzw. Basen der Fluggesellschaften.[9]
Verkehrszahlen

| Jahr | Fluggastaufkommen | Luftfracht (Tonnen) (mit Luftpost) |
Flugbewegungen |
|---|---|---|---|
| 2023 | 4.400.049 | 25.663 | 96.535 |
| 2022 | 3.928.879 | 28.087 | 98.789 |
| 2021 | 3.336.919 | 30.368 | 103.311 |
| 2020 | 1.952.343 | 30.840 | 89.565 |
| 2019 | 4.419.119 | 28.933 | 113.172 |
| 2018 | 4.341.469 | 29.231 | 110.063 |
| 2017 | 3.925.358 | 28.762 | 118.018 |
| 2016 | 3.715.374 | 27.596 | 119.521 |
| 2015 | 3.720.455 | 28.343 | 117.402 |
| 2014 | 3.834.009 | 28.952 | 122.771 |
| 2013 | 3.657.467 | 29.017 | 112.578 |
| 2012 | 3.683.051 | 31.748 | 119.933 |
| 2011 | 3.561.605 | 31.095 | 130.816 |
| 2010 | 3.466.127 | 31.095 | 122.485 |
| 2009 | 3.384.671 | 31.914 | 129.320 |
| 2008 | 3.715.593 | 32.695 | 136.856 |
| 2007 | 3.737.135 | 32.713 | 121.415 |
| 2006 | 3.612.889 | 33.719 | 110.582 |
| 2005 | 3.575.664 | 33.369 | 110.295 |
| 2004 | 3.379.883 | 32.176 | 107.068 |
| 2003 | 3.260.114 | 32.270 | 165.415 |
| 2002 | 3.193.753 | 34.649 | 168.504 |
| 2001 | 3.321.695 | 47.288 | 176.499 |
| 2000 | 3.481.789 | 51.963 | 159.591 |
| 1999 | 3.470.824 | 53.174 | 164.053 |
Verkehrsreichste Strecken
| Rang | Stadt | Passagiere | Fluggesellschaft |
|---|---|---|---|
| 1 | Dallas/Fort Worth, Texas | 316.170 | American |
| 2 | Denver, Colorado | 288.440 | Frontier, Southwest, United |
| 3 | Atlanta, Georgia | 223.000 | Delta |
| 4 | Houston–Hobby, Texas | 150.190 | Southwest |
| 5 | Phoenix–Sky Harbor, Arizona | 141.410 | American, Southwest |
| 6 | Houston–Intercontinental, Texas | 132.660 | United |
| 7 | Las Vegas, Nevada | 123.900 | Allegiant, Frontier, Southwest |
| 8 | Chicago–O’Hare, Illinois | 104.780 | American, United |
| 9 | Charlotte, North Carolina | 87.930 | American |
| 10 | St. Louis, Missouri | 78.010 | Southwest |
Weblinks
Einzelnachweise
- ↑ a b c News: Publications. FlyOKC.com, abgerufen am 13. August 2024.
- ↑ a b c d e f Oklahoma City Dept. of Airports: News: Statistics. Will Rogers World Airport, abgerufen am 13. August 2024 (englisch).
- ↑ Public Transportation - Buses. FlyOKC.com, abgerufen am 13. August 2024 (englisch).
- ↑ Oklahoma City’s Will Rogers World Airport unveils terminal expansion. Airport-World.com, 25. März 2022, abgerufen am 13. August 2024 (englisch).
- ↑ Runway Information. FlyOKC.com, abgerufen am 13. August 2024 (englisch).
- ↑ Air National Guard unit transitions with arrival of aircraft. Gazette.com, 22. Juli 2015, abgerufen am 13. August 2024 (englisch).
- ↑ Will Rogers World Airport. FlyOKC.com, abgerufen am 13. August 2024 (englisch).
- ↑ Airlines. FlyOKC.com, abgerufen am 13. August 2024 (englisch).
- ↑ a b Cities served nonstop. FlyOKC.com, abgerufen am 13. August 2024 (englisch).
- ↑ Oklahoma City, OK: Will Rogers World (OKC). Transtats.BTS.gov, abgerufen am 13. August 2024 (englisch).
