Teltow-Werft

Die Teltow-Werft (auch: Teltowwerft) ist eine ehemalige Werft am knapp 38 Kilometer langen Teltowkanal in Schönow im Berliner Ortsteil Zehlendorf. Zur Werft gehörten ein Bauhafen und eine „Elektrische Centrale“, das spätere Kraftwerk Schönow.

Der Kanal wurde zwischen 1900 und 1906 zur Verbindung der Unteren Havel-Wasserstraße mit der Dahme (Spree-Oder-Wasserstraße) angelegt. Die Werft ging 1924 aus dem 1906 zur Unterhaltung des Kanals errichteten Bauhof hervor. Der Bauhof und das Elektrizitätswerk dienten ursprünglich vor allem der Wartung und Stromversorgung des Treidelbetriebs. Der Bauhof gehörte zum brandenburgischen Landkreis Teltow und blieb auch nach der Eingemeindung Zehlendorfs nach Groß-Berlin im Jahr 1920, obwohl nun auf Berliner Gebiet gelegen, im Eigentum des brandenburgischen Landkreises. Die Werft leistete technische Pionierarbeit im elektrischen Lichtbogenschweißen, das sie innovativ im Schiffbau anwendete. 1927 lief hier mit der Zehlendorf das erste rundum verschweißte Fahrgastschiff in Deutschland vom Stapel. 1962 stellte die Werft ihre Tätigkeit ein. Das Ensemble des Bauhafens und zahlreiche Gebäude stehen unter Denkmalschutz. In letzter Zeit teilgewerblich und als Lager genutzt, soll auf dem Gelände laut Bebauungsplan aus dem Jahr 2009 ein Wohngebiet entstehen, das die geschützten Werftgebäude als Kanalbau-Zeugnisse von besonderer geschichtlicher Bedeutung integriert.

Lage und Umgebung

Teltow-Werft, Bauhafen und Kraftwerk Schönow (rechts)
Karte der Berliner Wasserstraßen; siehe Eintrag „Bauhafen“, darunter „Teltowwerft“ am Teltowkanal

Die Teltow-Werft liegt am südlichen Berliner Stadtrand zwischen den Kilometern 11,35 und 11,54 des Teltowkanals an der Grenze zum brandenburgischen Landkreis Potsdam-Mittelmark. Sie befindet sich in der südwestlichen Ecke der Zehlendorfer Ortslage Schönow, einem ehemaligen, bereits 1299 urkundlich erwähnten Dorf, das 1872 in die damalige Landgemeinde Zehlendorf eingegliedert wurde. Der Teltowkanal, der hier die Grenze zwischen Berlin und der Mittelstadt Teltow bildet, begrenzt das Werftgelände nach Süden. Westlich schließt sich die Gemeinde Kleinmachnow mit dem 1997 eröffneten Wohnstift Augustinum an. Nach Osten begrenzt die Sachtlebenstraße, an der das Haupttor der öffentlich nicht zugänglichen Werft liegt, das Gelände. Von einem Fußweg getrennt, reichen im Norden der Schulgarten der Emil-Molt-Schule (Freie Waldorfschule)[1] und das Landschaftsschutzgebiet Buschgraben an das Areal heran. Der Buschgraben, eine eiszeitliche glaziale Abflussrinne der Teltow-Platte, mündete hier ursprünglich in die Bäke, die weitgehend im Kanal aufgegangen ist.

Der Berliner Mauerweg am Gelände erinnert daran, dass während der deutschen Teilung westlich und südlich der Werft die Grenze zwischen West-Berlin und der DDR verlief. Im öffentlichen Personennahverkehr ist die Werft durch die Buslinie 101 angebunden, deren südliche Endhaltestelle sich an der Sachtlebenstraße nördlich der Werft befindet. Das Werft- und Kraftwerksgelände umfasst heute rund 34.600 m².[2]

Geschichte

Bis zur Eingliederung Zehlendorfs nach Groß-Berlin im Jahr 1920 gehörte das Gelände, wie der gesamte Teltowkanal, zum Brandenburger Landkreis Teltow. Zum Unterstellen der 20 elektrischen Treidellokomotiven standen am Kanal fünf und ab 1914 sechs Schuppen bereit. Zur Behebung kleinerer Schäden waren diese Schuppen mit Werkzeug, einer Werkbank und einer Revisionsgrube ausgestattet. Für die Grundüberholung der Lokomotiven, die alle drei Jahre erfolgte, und für größere Reparaturen wurde 1906 am Nordufer der Bauhof eingerichtet.[3] Damit die Lokomotiven vom Südufer in den Bauhof gelangen konnten, wurde eine Kanalbrücke errichtet, die spätere Teltow-Werft-Brücke.

Bauhof und Bauhafen

Der Bauhof und der gleichfalls 1906 eröffnete Bauhafen wurden für „die Betriebs- und Unterhaltszwecke des Kanals“ eingerichtet. Dazu gehörten neben der Lokomotivreparatur Ausbesserungen an sämtlichen Betriebsmitteln im Eigentum des Kreises Teltow, darunter der Schiffe, der schwimmenden Arbeitsgeräte und der Bahnanlagen. Da am Kanal keine Werft bestand, wurden die Aufgaben auf die Reparatur fremder, zum Beispiel havarierter Schiffe ausgedehnt.[4]

Das zweigeschossige, 50 m lange und im Mittel 20 m breite Hauptwerkstattgebäude enthielt im Erdgeschoss acht Revisionsgruben für die Lokomotiven, eine Schmiede, Dreherei, Schlosserei und Holzbearbeitungswerkstatt. Im Obergeschoss lagerten Schiffsinventar und leichtere Vorratsstücke. Für die Ausführung von Bootsanstrichen und zur Lagerung von Eisen, Holz und weiteren Baustoffen wurden Schiffsschuppen errichtet. Ein direkt am Kanal im Landhausstil erbautes zweigeschossiges Gebäude enthielt im Erdgeschoss die Büroräume und im Obergeschoss die Wohnung des Bauhofverwalters. Im Pförtnerhaus war ein Aufenthaltsraum für die Bauarbeiter untergebracht.[4]

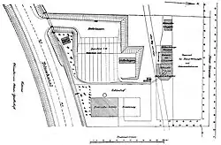
Plan des Bauhofs und Bauhafens 1906. Das „Kraftwerk Schönow“ wird hier noch als „Elektrische Centrale“ bezeichnet.
Verwaltungshaus des Bauhofs und Kraftwerk Schönow, 1907
Kraftwerk Schönow, Maschinenhalle, 1906

Der Bauhafen und die Schiffsschleppen waren so bemessen, dass im Winter nahezu sämtliche Betriebsmittel des Kanals untergebracht werden konnten. Die Einfahrt zum Hafen erfolgte über einen in der Sohle zehn Meter breiten Stichkanal, der durch eine – nicht mehr vorhandene – Leinpfadbrücke überspannt wurde. Das Hafenbecken wurde mit einer Länge von 65 m und in der Breite von 25 m in der Sohle angelegt. Die achträdrigen Aufzugswagen der Schiffsschleppen in der Querslipanlage liefen auf einem Gleis mit einer fünf Meter breiten Spur. Die Bedienung ihrer elektrischen Winden erfolgte vom Windenhaus aus, das wie das anschließende Ölhaus in roten Backsteinen errichtet wurde. Das kleine Ölhaus ist im Bebauungsplan 2009 als Café oder Teehaus vorgesehen (siehe unten). Die Queraufschleppen sollten im Notfall die damals größten Kanalkähne von 65 m Länge aufschleppen können.[4] Zum Löschen wurde ein einfacher elektrisch betriebener Drehkran von 1000 kg Tragkraft aufgestellt.[5]

Bauherr der Gebäude und Anlagen war die Teltowkanal-Bauverwaltung des Landkreises Teltow. Die Bauleitung lag wie bei allen Kanalbauten bei dem Ingenieurbüro Havestadt & Contag, das die Gebäude überwiegend im Backsteinstil der Fabrikbauten der 1900er Jahre ausführen ließ. Der Baurat Christian Havestadt, Partner von Max Contag in dieser Sozietät, war zudem Vorsitzender der Teltowkanal-Bauverwaltung.[6]

Kraftwerk Schönow

Auf der Ostseite des Geländes errichtete die Teltowkanal-Bauverwaltung 1904/1905, gleichfalls nach einem Entwurf von Havestadt & Contag, das „Kraftwerk Schönow“, das den Bauhof und die Anlagen der Treidelbahn mit Strom versorgte.[7] Grund für den Bau war nicht nur das Ziel, bei der Energieversorgung autark zu bleiben. Vielmehr sollte der eigene, billig erzeugte Strom weitere Industriebetriebe in die Kanalregion ziehen und damit die Region wirtschaftlich aufwerten und das Verkehrsaufkommen auf der Wasserstraße erhöhen.[8] Das kohlebetriebene Elektrizitätswerk bestand aus einem zweischiffigen Hallenbau von je 13 m lichter Weite. Ein Teil enthielt die Maschinen, der andere Teil die Kessel. „Die Architektur ist einfach gehalten. Die Umfassungswände sind mit Ausnahme der hinteren voll im Ziegelbau ausgeführt und geputzt, während letztere zum Zwecke des bequemen Versetzens bei baulicher Erweiterung, sowie die Zwischenwand zwischen Maschinen- und Kesselhaus als Eisen-Fachwerkswand ausgebildet sind.“[5]

Die Maschinenhalle war mit einer Kolbendampfmaschine von 300 PS und zwei Dampfturbinen von je 1000 PS Leistung ausgestattet. In der anderen Halle erzeugten vier Wasserrohrkessel Dampf von 300 °C und einem Druck von 12 atm. Eine Gleichstrommaschine versorgte die Treidellokomotiven und die Laufkatzen der Schleuse Kleinmachnow. Über landeinwärts verlegte Hochspannungskabel belieferte zudem eine Drehstrommaschine externe Kunden mit Strom,[9] darunter ab 1908 die Teltower Altstadt mit Landratsgebäude, Rathaus und besonderen Kunden, ab 1910 Teltow-Seehof, die Kleinmachnower Villenkolonie und Grundstücke derer von Hake und seit 1912 den Dorfplatz in Stahnsdorf.[10] Die maschinellen Anlagen wurden von der Siemens-Schuckertwerke GmbH als Hauptunternehmen hergestellt.[5] Bereits 1910 pachteten die Berliner Vororts-Elektrizitätswerke (BVEW), eine Tochtergesellschaft der AEG, das Kraftwerk Schönow. 1938 ging das Werk in das Eigentum der Teltower Kreiswerke GmbH (TKW) über, denen es auch zu Beginn der 2010er Jahre gehört.[10] Das Kraftwerksgebäude ist weitgehend erhalten, während der 45 Meter hoch aufragende Schornstein abgetragen wurde.

Werftbetrieb und Schiffbau

1921 ging der Bauhof in die Teltow-Werft und 1924 die Kreis-Kanalkommission in die Teltowkanal AG über. Der erste Direktor der AG, Cantignon, „wandelte den Bauhof in eine leistungsfähige Binnenschiffswerft um“,[3] die über ihre ursprünglichen Aufgaben hinaus kleinere Binnenschiffe und Ausflugsdampfer produzierte. An der AG waren das Deutsche Reich und der Landkreis Teltow zu gleichen Teilen beteiligt. Die Personenschifffahrt, der Treidelbetrieb und die Werft verblieben im Alleineigentum des Brandenburger Kreises, auch wenn Zehlendorf seit 1920 zu Berlin gehörte.[11]

Innovative Schweißtechnik und Fahrgastschiff Zehlendorf

Zweites Verwaltungsgebäude von 1926/1927 und Maschine der „Chemnitzer Werkzeugmaschinenfabrik“ für den Schiffbau

Für den Schiffbau setzte die Werft unter anderem Maschinen der 1848 von Johann von Zimmermann gegründeten „Chemnitzer Werkzeugmaschinenfabrik“ ein. Mit einer Maschinenseite wurden Eisenplatten für die Schiffe zugeschnitten, die andere Seite diente dem Stanzen von Nietlöchern. Eine dieser Maschinen ist an der Zufahrt zur Werft aufgestellt. Nach Darstellung von Jan Feustel leistete die Werft Mitte der 1920er Jahre technische Pionierarbeit im elektrischen Lichtbogenschweißen, das sie innovativ im Schiffbau anwendete.[12] Mit dieser neuen Technologie baute die Werft trotz fehlender offizieller Genehmigungen und zahlreicher Skeptiker, die laut Firmenchronik ohne Vertrauen in die neue Technik „vieles hineinbauen wollten, was nicht nötig war“, das erste rundum verschweißte Fahrgastschiff in Deutschland, die Zehlendorf, die 1927 vom Stapel lief. Ursprünglich für 500 Passagiere ausgelegt, wurde das Schiff später um acht Meter verlängert und für 730 Personen ausgebaut. Die Zehlendorf, im Volksmund „Kaffee Vaterland“ getauft, war jahrelang das beliebteste und größte Ausflugsschiff auf den Berliner und Brandenburger Gewässern.[12]

Nach mehrjähriger störungsfreier Fahrt der Zehlendorf waren auch die Skeptiker von den Vorteilen der neuen Schweißtechnik – geringere Herstellungskosten, weniger Gewicht, höhere Tragfähigkeit und ein um 20 % festerer Schiffskörper – überzeugt. Das Verfahren wandte die Werft nun auch bei anderen Schiffstypen an. So entstanden als Laboratoriumsschiff zur Überwachung von Betonbauten der Eisbrecher Eisbär und für den Dienst auf dem Griebnitzsee der 225 PS Schlepper Havel. Ferner konstruierte die Teltow-Werft den Schlepper Machnow, ein dank seiner patentierten Kortdüse trotz seiner lediglich 55 PS besonders leistungsfähiges Schiff. Anschließend übertrug die Werft das Schweißverfahren auf die Herstellung von zwei Kränen mit 6 t Hubkraft und 16 m beziehungsweise 21 m Auslegerhöhe für die Kanalhäfen Lankwitz und Steglitz. Die Werft expandierte, baute im neuen Schweißverfahren eine weitere Lagerhalle, einen Kohlebunker und eine große Schiffbauhalle und überstand dank ihrer kostengünstigen Technologie die Weltwirtschaftskrise vergleichsweise gut.[12]

Kriegsauswirkungen und deutsche Teilung

Bis 1943 hatte der Zweite Weltkrieg nur geringe Auswirkungen auf den Kanalverkehr und den Betrieb der Werft. Zwischen 1943 und 1945 wurde der Treidelbetrieb durch Bombenschäden stark beeinträchtigt und im Mai 1945 war die Wasserstraße für die Schifffahrt nicht mehr nutzbar, da die Wehrmacht bei Rückzugsgefechten vor der Roten Armee fast sämtliche Teltowkanalbrücken gesprengt hatte. 1949 wurde der Treidelbetrieb endgültig aufgegeben, die Anlagen wurden zwischen 1949 und 1952 abgerissen und größtenteils verschrottet. Auch die Leinpfadbrücke über der Hafeneinfahrt wurde demontiert. In der Nachkriegszeit blieb der Kanalverkehr stark eingeschränkt, denn im Juli 1950 sperrte die DDR die Wasserstraße an der Innerdeutschen Grenze in Rudow und Kleinmachnow, sodass der Kanal von und nach Westen unzugänglich war.[13]

Schiffbauten in den 1950er Jahren

Die Oberbürgermeister Zelle als Lubeca vor dem Kaisertor bei der Eröffnung des Elbe-Lübeck-Kanals 1900

Trotz der Beeinträchtigungen baute die Werft in den 1950er Jahren weiter Schiffe. Dabei fertigte sie unter anderem Fahrgastschiffe für die Stern und Kreisschiffahrt an, seit 1934 ein hundertprozentiges Tochterunternehmen der Teltowkanal AG, die wiederum seit Mai 1952 im Besitz West-Berlins und der Bundesrepublik war. 1954 lief das Motorschiff Kohlhase vom Stapel, benannt nach Hans Kohlhase, dem Namensgeber für Kohlhasenbrück, westlich der Werft am Kanal gelegen. 1965/1966 erfolgte ein Umbau und eine Verlängerung um sechs Meter. Das Fahrgastschiff verfügt über eine Leistung von 137 PS/118 kW, eine Länge von 24,22 m, eine Breite von 4,81 m und einen Tiefgang von 1,30 m.[14] Das für 230 Personen ausgelegte Schiff der Stern- und Kreisschiffahrt wurde im Fährbetrieb der BVG (jetzt als Linie F10 bezeichnet) auf der Havel vom S-Bahnhof Wannsee nach Kladow eingesetzt. 1957 wurden auf der Teltow-Werft die Ernst Reuter und die Jupiter für die Stern und Kreisschiffahrt gebaut.

Neben den Neubauten führte die Teltow-Werft Instandsetzungen und Umbauten sowie Totalneuaufbauten von Wracks durch, darunter der 1896 in den Oderwerken in Stettin als Dampfer gebauten Oberbürgermeister Zelle (nach dem Berliner Oberbürgermeister Robert Zelle benannt). Der Rumpf des 1945 versenkten Schiffs wurde nach seiner Auffindung 1959/1960 für einen Totalneuaufbau verwendet. Das nunmehr zum Motorschiff umgerüstete und unter dem Namen Lichterfelde fahrende Schiff wurde bis 2014 gleichfalls auf der Fährlinie nach Kladow eingesetzt.

Das Ende der Werft 1962

Das Ende der Teltow-Werft kam ein Jahr nach dem Bau der Berliner Mauer. Aufgrund der abgeriegelten Lage war sie dem Konkurrenzdruck nicht mehr gewachsen und stellte am 31. Dezember 1962 den Betrieb ein. Allerdings nutzte die Stern und Kreisschiffahrt den Hafen sporadisch weiter und kleinere Reparaturarbeiten wurden auf dem Gelände auch in der Folgezeit durchgeführt.[13] Die Kesselhalle des Kraftwerks Schönow wurde bis in die 2000er Jahre als Lager genutzt.[15] Die in den 1950er Jahren gebauten oder umgebauten Schiffe werden teilweise noch heute (Stand 2010) von der Stern und Kreisschiffahrt, seit 1992 im Besitz der Hegemann-Gruppe, und von weiteren Unternehmen eingesetzt. Dazu zählt die 1954 auf der Werft umgebaute Mocambo von 1872, die zu den ältesten noch in Fahrt befindlichen Fahrgastschiffen in Deutschland gehört.

Denkmalschutz und Bebauungsplan 2009

Da das Gelände für den Betrieb des Kanals nicht mehr benötigt wird, „soll das gesamte Areal einer Wohnnutzung mit eingebundenen Einzelhandels-, Gastronomie- und Dienstleistungseinrichtungen zugeführt werden.“[2] Auf Antrag eines Vorhabenträgers entwarf das Bezirksamt Steglitz-Zehlendorf 2009 einen Bebauungsplan unter dem Konzept des generationenübergreifenden Wohnens. „Im Ergebnis soll […] ein kleines eigenständiges Wohngebiet entstehen, das sowohl eine ausgeprägte eigene Identität aufweisen wird, gleichzeitig jedoch als Teil des übergeordneten Siedlungs- und Landschaftsraums erfahrbar werden soll.“[16]

Eigentumsverteilung und Erhaltungsgebot

Die Teltowkanal AG und damit auch die Teltow-Werft gingen 2007 in der neugegründeten „B Plus Planungs-AG“ auf, einer hundertprozentigen Tochtergesellschaft der BEHALA.[17] Das Areal der Werft und des ehemaligen Kraftwerks Schönow umfasst eine Fläche von rund 34.600 m². Der größte Teil, 29.000 m² (Werft; Vorhabenbereich im Bebauungsplan 2009), befindet sich im Eigentum der B Plus. Der Rest von 5.600 m² (Kraftwerk; Ergänzungsbereich im Bebauungsplan) gehört der „Teltower Kreiswerke GmbH“, an der verschiedene brandenburgische Gebietskörperschaften beteiligt sind. Eigentümerin der südlich angrenzenden Uferbereiche des Teltowkanals ist die Wasser- und Schifffahrtsverwaltung des Bundes.[18] Während die Uferzone aus landschaftsplanerischen Gründen im Bundesbesitz bleiben soll, bemüht sich insbesondere die B Plus seit Jahren um einen Verkauf des Grundstücks. Da das Gesamtensemble der Werft unter dem Namen Bauhafen[19] und das ehemalige Kraftwerk[20] als Bau- und Kulturdenkmal unter Schutz stehen, müssen Investoren den Denkmalschutzes berücksichtigen. Im Bebauungsplan betonte das Bezirksamt das generelle Erhaltungsgebot für die konstitutiven Bestandteile der Gesamtanlage:

„In der Denkmalbegründung wird betont, dass diese baulichen Anlagen als Zeugnisse des Kanalbaus von besonderer geschichtlicher Bedeutung sind. Der Kanal ist als besondere Errungenschaft der Industrie-, Verkehrs- und Technikgeschichte des damaligen Deutschen Reichs anzusehen. Weiterhin wird die baukünstlerische Qualität der Bauten hervorgehoben. Als Zeugnis der fortschreitenden Technisierung des Schiffsbaus sowie der Entwicklung der Treideltechnik wird dem Werftensemble darüber hinaus eine wissenschaftliche Bedeutung bescheinigt. Der Hafen und seine Bebauung prägen die Landschaft am Teltowkanal. Die Gesamtanlage erhält dadurch auch eine besondere städtebauliche Bedeutung. […] Bauliche Ergänzungen stehen mit dem Denkmalinteresse nicht in Widerspruch, sie müssen aber auf die Wirkung der Gesamtanlage Bezug nehmen. Sie sollen genügenden Abstand zu den Baudenkmalen wahren. Die prägenden Hauptachsen innerhalb der Anlage (Kanalufer mit Treidelweg, Hauptschienentrasse und die ehemalige Landstraße von Schönow nach Kleinmachnow) sollen erkennbar bleiben und in die Freiflächengestaltung einbezogen werden.“

Bezirksamt Steglitz-Zehlendorf, Bebauungsplan 2009[21]

Allerdings soll die denkmalgeschützte nördliche Lagerhalle, 1930 von der Teltowkanal AG erbaut,[22] abgerissen werden, da laut Bebauungsplan das bauliche und städteplanerische Gesamtkonzept anders nicht umgesetzt werden kann.[23]

Lokschuppen im Zentrum der städtebaulichen Neuordnung

Ehemaliges Pförtnerhaus und Lokschuppen von 1905/1907
Lokschuppen, im Bebauungsplan als Zentrum der Siedlung vorgesehen, beispielsweise als Markthalle
Windenhaus der Slipanlage von 1906/1907 (vorne) und Ölhaus von 1905, vorgesehen als Café oder Teehaus
Querschnitt der Kraftwerkshallen, als Lofts angedacht

Die städtebauliche Neuordnung sieht vor, den Lokschuppen mit einer Grundfläche von rund 1350 m² zum Zentrum des neuen Wohngebiets umzunutzen. Der Schuppen wurde 1905–1907 nach einem Entwurf der Sozietät Havestadt & Contag von der Teltowkanal-Bauverwaltung errichtet[24] und weist heute eine Firsthöhe von rund 10 m auf. Die in der Spitze 15 m hohe Laterne über dem östlichen Bauteil ist nicht mehr vorhanden. Eine von den sonstigen Höhen abweichende textliche Festsetzung im Bebauungsplan soll die Möglichkeit eröffnen, die Laterne wiederherzustellen.[25] Der Lokschuppen soll ähnlich einer Markthalle offen gestaltet werden. Das vorgesehene Nutzungsspektrum reicht von kleinteiligem Einzelhandel über die Gastronomie bis zu ergänzenden Dienstleistungen. Die weite Fläche zwischen dem Schuppen und dem Hafenbecken soll mit Wohnhäusern bebaut werden, die die historische Bebauung mit den bereits vor längerer Zeit abgerissenen Werkstätten in veränderter Form erfahrbar machen. Die Anordnung der Gebäude soll so erfolgen, dass der Raum vor der Lokomotivhalle geöffnet bleibt und den Charakter eines offenen, urbanen Platzes annimmt. „Eine exponierte Zentralität im Sinne eines Platzes war zwar historisch nicht intendiert gewesen, in der Gestaltung der Südfassade des Lokschuppens sind allerdings Elemente erkennbar, die diese besondere Raumbeziehung zumindest andeuten.“[23]

Die weitere ergänzende Neubebauung aus einzelstehenden Mehrfamilienwohnhäusern und Stadtvillen soll hinsichtlich baulicher Dichte und Gebäudehöhe gestaffelt von Nord nach Süd erfolgen und die historischen Sichtachsen des Werftgeländes erhalten.[23]

Weitere denkmalgeschützte Gebäude und ihre geplante Nutzung

Auch die weiteren erhaltenen Altbauten werden denkmalgerecht instand gesetzt und modernisiert. Dabei soll ihr äußeres Erscheinungsbild weitgehend unverändert und das Innere den neuen Nutzungen angepasst werden.[23] Die Altbauten sind – über das geschützte Gesamtensemble hinaus – in der Berliner Denkmalliste unter der Adresse Sachtlebenstraße 60 und 66 unter je gesonderten Denkmal-Nummern auch einzeln angeführt.

Das unmittelbar am Kanal und Bauhafen gelegene erste Verwaltungsgebäude im Landhausstil aus den Jahren 1905/1907 ist bereits seit langem zu einem Wohnhaus umgebaut und soll diese Funktion behalten. Auch das Pförtnerhaus, das ehemalige Betriebsbüro und Meisterwohnhaus aus den Jahren 1905/1907[26], soll wie bereits zurzeit ein Wohn- und Bürohaus bleiben. Das gleichfalls denkmalgeschützte Ölhaus[27] von 1905 mit einer Nutzfläche von 27 m² schlägt der Bebauungsplan für eine gastronomische Nutzung als Teehaus oder Eiscafé vor. Über die Verwendung des mit 12 m² Nutzfläche noch kleineren Windenhauses[28] der Slipanlage aus den Jahren 1906/1907 – wie das Ölhaus in relativ gutem baulichen Zustand – ist noch nicht entschieden.[29] Sämtliche vorstehenden Gebäude wurden nach Plänen von Havestadt & Contag durch den Bauherrn Teltowkanal-Bauverwaltung errichtet.

Das 1926/1927 von der Teltowkanal AG durch Ernst Eichelkraut Nachf. errichtete und 1938/1939 umgebaute zweite Verwaltungsgebäude[30] ist ebenfalls für Wohnzwecke vorgesehen. Sein prägendes Gestaltungselement, ein steiles Walmdach mit Erkern, wurde nach seiner Kriegszerstörung durch ein flaches Walmdach ersetzt und kann laut Festsetzung wiederhergestellt werden.[31] Das denkmalgeschützte und zurzeit überwiegend als Lager genutzte Umspannwerk soll ein an sozialen und gesundheitlichen Themen orientiertes Profil, beispielsweise mit Arztpraxen oder Physiotherapie, erhalten. In einem kleinen Teil des Gebäudes, das über eine Nutzfläche von rund 300 m² verfügt, befindet sich auch heute noch eine Trafostation.[29] Die ursprüngliche Umformerstation stammt aus dem Jahr 1910 und wurde im Auftrag der Teltowkanal-Bauverwaltung von dem Architekten/Baugeschäft Adolf Born entworfen. 1919/20 wurde sie auf die heutige Größe erweitert.[32]

Das Kraftwerk Schönow[33] von 1904/1905 und sein später angebautes Verwaltungs- und Wohngebäude gehören mangels eines Vorhabenträgers nicht zum Vorhabenbereich des Bebauungsplans, sind aber als Ergänzungsbereich ausgewiesen. Sie sollen in einem zweiten Bauabschnitt gleichfalls saniert und als Wohngebäude genutzt werden. Dabei ist für die beiden rund 14–17 m hohen Kraftwerkshallen an Lofts gedacht, soweit die denkmalrechtlichen Auflagen diese Nutzung erlauben.[34]

Hafenbecken und Brücken

Das Hafenbecken soll als weiteres wesentliches Element erlebbar gestaltet und mit Liegeplätzen ausgestattet werden. Allerdings kommt dem Hafen laut Bebauungsplan als Marina keine strategische Schlüsselfunktion in der Planung zu, da die Berliner Segelgewässer rund zwei Stunden entfernt liegen, die Segler die Schleuse Kleinmachnow überwinden müssten und der Teltowkanal zudem seit seiner Öffnung und Sanierung nach der deutschen Wiedervereinigung wieder intensiv durch die Berufsschifffahrt genutzt wird.[23] Da die aus dem Jahr 1907 stammende Uferbefestigung abgesackt war, wurde das Kanalufer an der Werft bereits 2002/2003 auf einer Länge von rund 60 m instand gesetzt. Dabei wurde die alte Ufersicherung aus Holzspundbohlen und Stahlbetonplatten durch eingepresste Stahlspundbohlen ersetzt. Zudem wurde eine nicht mehr standsichere 96 m lange, mit Klinker verkleidete und aus einzelnen Gewölbesegmenten bestehende Schwergewichtsmauer auf einer Länge von 80 m abgebrochen. Die restlichen 16 m wurden in Abstimmung mit der Denkmalschutzbehörde gesichert.[35]

Wie das Gesamtgelände soll auch der Treidelweg am Kanal für Fußgänger und Radfahrer geöffnet werden. Dazu soll ein neuer Steg die abgerissene Leinpfadbrücke über der Hafeneinfahrt ersetzen.[36] Der Teltowkanalweg, Wanderweg 17[37] der 20 grünen Hauptwege® Berlins,[38] wird durch diese Maßnahme im ehemaligen Werftbereich an den Kanal herangeführt. Bislang muss das eingezäunte Gelände umgangen werden. Allerdings bleibt die Umgehung des westlich direkt anschließenden Augustinums Kleinmachnow nach wie vor erforderlich. Auch die 1945 von der Wehrmacht gesprengte Teltow-Werft-Brücke am Ende der Sachtlebenstraße soll möglicherweise wiedererrichtet werden. Die Stahlkonstruktion aus dem Jahr 1906 führte nicht nur die Treidelbahnen über den Kanal, sondern war auch für Fußgänger passierbar. Für den Wiederaufbau dieser Verbindung zwischen Berlin und Brandenburg setzen sich seit längerem verschiedene Bürgerinitiativen wie die Interessengemeinschaft Teltowkanalaue[39] und Politiker wie der brandenburgische Landtagsabgeordnete Jens Klocksin ein.[40] Auf Antrag der SPD und der Grünen beschloss die Bezirksverordnetenversammlung Steglitz-Zehlendorf im Juni 2003 einen Antrag an das Bezirksamt, die Kosten zum Wiederaufbau der Brücke für Fußgänger und Radfahrer zu prüfen.[41]

Brückenkopf der ehemaligen Teltow-Werft-Brücke mit Schienen der Treidelbahn

Ende Juni 2003 teilte das Bezirksamt mit, dass das Brückenvorhaben über die länderübergreifende Bundeswasserstraße in das Planverfahren Verkehrsprojekt „Deutsche Einheit“ 17 (VDE Nr. 17) einbezogen werden muss und damit in die Zuständigkeit der Verwaltungen der Landesregierungen fällt. Die Projektkonzeption für den Wiederaufbau läge vor und laut Senatsverwaltung für Stadtentwicklung seien zwei geeignete Brücken vorhanden beziehungsweise eingelagert. Das Projekt sei beim Senat bekannt und im Entwurf der Berliner Lokalen Agenda 21 im Abschnitt 2.2.1 Verkehr / Mobilität aufgeführt. Zur Teltower Lokalen Agenda 21 bestünde Kontakt.[42]

Zudem sind der Brückenkopf und die Gleistrasse der Treidelbahn, die vom Lokschuppen zur Brücke führte, als historische Zeugnisse erhalten. Zwar kann die Wiederherstellung der Brücke im Rahmen der vorgesehenen Grundstücksentwicklung nur begrenzt gefördert werden, allerdings setzt der Bebauungsplan den Bereich als öffentliche Verkehrsfläche fest, um „die Anlage einer Zuwegung (Radweg/Gehweg) zum Brückenkopf der ehemaligen Brücke nach Teltow [zu] ermöglichen“ und um die Attraktivität und Vernetzung der bereits bestehenden Radwege zu steigern.[43]

Ökologische Aspekte

Im Landschaftsprogramm ist das Areal im Teilplan Naturhaushalt/Umweltschutz zwar als Industrie- und Gewerbegebiet ausgewiesen, doch kommen durch die Nutzungsänderung zum Wohngebiet die Anforderungen dieses Teilplans nicht mehr zum Tragen. Der Teilplan Erholung und Freiraumnutzung stuft das Gebiet als sonstige Fläche außerhalb von Wohngebieten ein, sodass Konzepte für die Erholungsnutzung und die Wegeverbindung entwickelt werden müssen. Durch die Umnutzung sind zudem die umliegenden Grünflächen und Kleingärten in das Entwicklungskonzept einzubeziehen. Der Teilplan Biotop- und Artenschutz ordnet das Gelände räumlich dem Teltowkanal zu und betrachtet es als überformte Niederung.

„Zielsetzung für diesen Bereich ist die Berücksichtigung des naturräumlichen Zusammenhangs. Angestrebt werden der Erhalt von Freiflächen in Niederungs- und Hangbereichen mit ihren typischen Vegetationsbeständen und die Anlage von gewässerbegleitenden Grün- und Freiflächen, insbesondere für feuchteliebende Arten. Östlich des Plangebietes sind am Teltowkanal Artenreservoire / Verbindungsbiotope für die vorrangige Entwicklung von Arten feuchter und nasser Standorte dargestellt. Darüber hinaus wird nach Norden hin eine Biotopverbindung vom Hafenbecken zum Buschgraben vorgesehen.“

Bezirksamt Steglitz-Zehlendorf, Bebauungsplan 2009[44]
Bauhafen, erstes Verwaltungsgebäude von 1905/1907 im Landhausstil und Baumreihe vor dem Augustinum Kleinmachnow

Hinsichtlich des Artenschutzes kommt dem Areal keine Bedeutung zu. Faunistisch ist laut Bebauungsplan allenfalls mit Fledermausvorkommen und mit Lebensstätten gebäudebrütender Vogelarten zu rechnen. Die Vegetation kennzeichnen Gehölzbestände zur Eingrünung der Gewerbeflächen oder Ruderalfluren auf den ungenutzten Flächen. In den Anpflanzungen kommen Pappeln und in deren Strauchschicht Ziergehölze wie Schneebeere und Pfeifenstrauch vor. Im Böschungsbereich zwischen Hafenbecken und Grundstücksgrenze befinden sich überwiegend Altbäume wie Eichen. Entlang des Hafenbeckens zieht sich ein Robinien-Vorwald und an der Slipanlage sowie vor einer Lagerhalle an der Sachtlebenstraße liegen zwei Teilflächen mit Ahorn-­Aufwuchs. Hinzu kommen einzeln stehende Gehölze wie Birken, Nadelgehölze, zwei große Ahorne, eine Buche und ein Silber-Ahorn. Am Nordrand wurde eine aufgrund ihres Alters und Pflegezustandes inzwischen lückige Baumreihe aus Pyramidenpappeln gepflanzt. Die Grünstrukturen der näheren Umgebung kennzeichnen Kleingärten, der Grünzug am Buschgraben und die stark durchgrünten Außenanlagen des Wohnstifts Augustinum, das als fünfgeschossiger, rund 250 m langer Gebäudekomplex das Areal westlich des Bauhafens scharfkantig begrenzt. Die unbefestigte Sachtlebenstraße wird von Bäumen und Gehölzen gesäumt.[45]

Zum Ausgleich der Beeinträchtigungen in Natur und Umwelt, die das Bauvorhaben mit sich bringt, soll das neue Siedlungsgebiet stark durchgrünt, den Wohnhäusern Gärten zugeordnet und die ökologische Funktion des Kanalufers gewährleistet werden. Textlich festgesetzt ist unter anderem, dass der vorhandene Baumbestand erhalten und gepflegt wird und dass insbesondere an den Gebietsgrenzen großkronige Bäume wie Stieleichen mit einem Mindeststammumfang von 16–18 cm nachgepflanzt werden.[46] Die teils sumpfig-moorigen, teils sandigen Böden der ehemaligen Feldflur in der Bäkeniederung sind auf dem Werftgelände durch Aufschüttungen stark anthropogen überformt und zu rund 40 % versiegelt. In einigen Bereichen wurden erhöhte MKW-Werte und Verunreinigungen durch Schwermetall-, PAK- und PCB-Einträge festgestellt. Die Böden sollen saniert und zum Teil ausgetauscht werden.[47]

Literatur

  • 100 Jahre Teltowkanal 1906–2006 – Festschrift der Wasser- und Schifffahrtsverwaltung des Bundes. Wasser- und Schifffahrtsdirektion Ost, Magdeburg 2006.
  • Bebauungsplan 6-21 VE für die Grundstücke Sachtlebenstasse 60, 64/66 und die Flurstücke 1328/3 und 3535/3 in Flur 11 im Bezirk Steglitz-Zehlendorf, Ortsteil Zehlendorf. Vorläufige Begründung. Für die frühzeitige Beteiligung der Träger öffentlicher Belange gem. § 4 (1) BauGB und für die frühzeitige Beteiligung der Öffentlichkeit gem. § 3  (1) BauGB. Bezirksamt Steglitz-Zehlendorf von Berlin, Entwurf mit Stand 14. Mai 2009. berlin.de (PDF)
  • Der Bau des Teltowkanals, Abschnitt: Der Bauhof. In: Zeitschrift für Bauwesen, 56. Jg., 1906, Sp. 663/664.
  • Jan Feustel, Horst Köhler: Lebensader durch Sumpf und Sand, 100 Jahre Teltowkanal. 1. Auflage. Hendrik Bäßler Verlag, 2006, ISBN 3-930388-36-7.
  • Kurt Groggert: Personenschiffahrt auf Havel und Spree. Berliner Beiträge zur Technikgeschichte und Industriekultur, Band 10. Nicolaische Verlagsbuchhandlung, Berlin 1988, ISBN 3-7759-0153-1.
  • Horst Köhler: Der Teltowkanal. Eine Lebensader im Süden Berlins. Stapp Verlag, Berlin 2000, ISBN 3-87776-036-8.
  • Karola Paepke, H.-J. Rook (Hrsg.): Segler und Dampfer auf Havel und Spree. 1. Auflage. Brandenburgisches Verlagshaus, 1993, ISBN 3-89488-032-5.
  • Dieter und Helga Schubert: Fahrgastschifffahrt in Berlin. Reihe: Bilder der Schifffahrt. Sutton-Verlag, Erfurt 2007, ISBN 978-3-86680-120-2.
Commons: Teltow-Werft – Sammlung von Bildern, Videos und Audiodateien
Commons: Kraftwerk Schönow – Sammlung von Bildern, Videos und Audiodateien

Einzelnachweise

  1. Schulgarten der Emil-Molt-Schule (Memento vom 20. Januar 2009 im Internet Archive)
  2. a b Bebauungsplan 6-21 VE für die Grundstücke …@1@2Vorlage:Toter Link/www.berlin.de (Seite nicht mehr abrufbar, festgestellt im März 2018. Suche in Webarchiven) (PDF) S. 3; Bezirksamt Steglitz-Zehlendorf von Berlin
  3. a b Jan Feustel, Horst Köhler: Lebensader durch Sumpf und Sand, … S. 57.
  4. a b c Der Bau des Teltowkanals, Abschnitt: Der Bauhof. In: Zeitschrift ….
  5. a b c Erich Block: Die Betriebseinrichtungen des Teltowkanals. Abschnitt IV: Die Erzeugung und Verteilung der elektrischen Energie am Teltowkanal. In: Elektrotechnische Zeitschrift (Organ des VDE), Jg. 27, Heft 24, 14. Juni 1906, S. 565–573.
  6. Jan Feustel, Horst Köhler: Lebensader durch Sumpf und Sand, … S. 13.
  7. Bezirksamt Steglitz-Zehlendorf von Berlin: Bebauungsplan 6-21 VE für die Grundstücke …, S. 4. berlin.de@1@2Vorlage:Toter Link/www.berlin.de (Seite nicht mehr abrufbar, festgestellt im März 2018. Suche in Webarchiven) (PDF)
  8. Ueber den Teltowkanal. Vortrag, gehalten von Christian Havestadt am 8. Januar 1907 beim Verein für Eisenbahnkunde zu Berlin. Abgedruckt in: Glasers Annalen für Gewerbe und Bauwesen, Nr. 714, 15. März 1907, S. 101–115.
  9. Jan Feustel, Horst Köhler: Lebensader durch Sumpf und Sand, … S. 60.
  10. a b Industriemuseum Region Teltow e. V., e.dis 100 Jahre Strom für die Region Teltow.
  11. 100 Jahre Teltowkanal 1906–2006 – Festschrift der Wasser- und Schifffahrtsverwaltung …, S. 58
  12. a b c Jan Feustel, Horst Köhler: Lebensader durch Sumpf und Sand, … S. 57 ff
  13. a b 100 Jahre Teltowkanal 1906–2006 – Festschrift der Wasser- und Schifffahrtsverwaltung …, S. 59
  14. Berliner Verkehr, Schiffe, Schiffstypen
  15. Kirsten Graulich: Auf den Spuren der Teltow-Werft. In: Potsdamer Neueste Nachrichten, 22. Juni 2009.
  16. Bezirksamt Steglitz-Zehlendorf von Berlin: Bebauungsplan 6-21 VE für die Grundstücke …, S. 15, 18
  17. Homepage B Plus Planungs-AG, Wir über uns. (Memento vom 28. Mai 2008 im Internet Archive)
  18. Bezirksamt Steglitz-Zehlendorf von Berlin: Bebauungsplan 6-21 VE für die Grundstücke …, S. 8 f.
  19. Eintrag 09075893 in der Berliner Landesdenkmalliste Gesamtensemble, Bauhafen
  20. Eintrag 09075894 in der Berliner Landesdenkmalliste Kraftwerk Schönow
  21. Bezirksamt Steglitz-Zehlendorf von Berlin: Bebauungsplan 6-21 VE für die Grundstücke …, S. 12 f.
  22. Eintrag 09075900 in der Berliner Landesdenkmalliste Nördliche Lagerhalle
  23. a b c d e Bezirksamt Steglitz-Zehlendorf von Berlin: Bebauungsplan 6-21 VE für die Grundstücke …, S. 16 ff.
  24. Eintrag 09075895 in der Berliner Landesdenkmalliste Lokschuppen
  25. Bezirksamt Steglitz-Zehlendorf von Berlin: Bebauungsplan 6-21 VE für die Grundstücke …, S. 23.
  26. Eintrag 09075895 in der Berliner Landesdenkmalliste Verwaltungsgebäude, Pförtnerhaus, Werkstatt
  27. Eintrag 09075896 in der Berliner Landesdenkmalliste Ölhaus
  28. Eintrag 09075897 in der Berliner Landesdenkmalliste Windenhaus mit Slipanlage
  29. a b Bezirksamt Steglitz-Zehlendorf von Berlin: Bebauungsplan 6-21 VE für die Grundstücke …, S. 4 f, 17.
  30. Eintrag 09075899 in der Berliner Landesdenkmalliste Zweites Verwaltungsgebäude von 1926/1927
  31. Bezirksamt Steglitz-Zehlendorf von Berlin: Bebauungsplan 6-21 VE für die Grundstücke …, S. 13 f.
  32. Eintrag 09075898 in der Berliner Landesdenkmalliste Umformerstation (Umspannwerk)
  33. Eintrag 09075894 in der Berliner Landesdenkmalliste Elektrizitätswerk (Kraftwerk Schönow)
  34. Bezirksamt Steglitz-Zehlendorf von Berlin: Bebauungsplan 6-21 VE für die Grundstücke …, S. 17 f.
  35. Wasser- und Schifffahrtsamt Berlin@1@2Vorlage:Toter Link/www.wsa-b.de (Seite nicht mehr abrufbar, festgestellt im März 2018. Suche in Webarchiven) Uferinstandsetzung Teltowwerft.
  36. Bezirksamt Steglitz-Zehlendorf von Berlin: Bebauungsplan 6-21 VE für die Grundstücke …, S. 19 f.
  37. Senatsverwaltung für Stadtentwicklung Teltowkanalweg
  38. Senatsverwaltung für Stadtentwicklung 20 grüne Hauptwege® Berlins.
  39. Interessengemeinschaft Teltowkanalaue
  40. Klocksin will Teltow-Werft-Brücke. In: Potsdamer Neueste Nachrichten, 21. April 2005
  41. Bezirksverordnetenversammlung Steglitz-Zehlendorf von Berlin, Drucksache Nr. 632/II (neu) (Memento vom 10. Januar 2014 im Internet Archive) (PDF; 1,4 MB) Beschluss Nr. 407 der 17. ordentlichen, öffentlichen Sitzung am 18. Juni 2003.
  42. Bezirksamt Steglitz-Zehlendorf, Abt. Jugend, Gesundheit und Umwelt (Memento vom 4. März 2016 im Internet Archive) (PDF) Protokoll vom 30. Juni 2003 über das Treffen zur ersten Auswertung der Ergebnisse (nach dem Zukunftskongress vom 26. Oktober 2002) im Rathaus Zehlendorf am 24. Juni 2003. Siehe 2. AG: Vernetzung mit dem Umland – Radwege, Lücken aus Grenzzeit schließen.
  43. Bezirksamt Steglitz-Zehlendorf von Berlin: Bebauungsplan 6-21 VE für die Grundstücke …, S. 17, 20, 24, 28.
  44. Bezirksamt Steglitz-Zehlendorf von Berlin: Bebauungsplan 6-21 VE für die Grundstücke …, S. 11.
  45. Bezirksamt Steglitz-Zehlendorf von Berlin: Bebauungsplan 6-21 VE für die Grundstücke …, S. 5 f.
  46. Bezirksamt Steglitz-Zehlendorf von Berlin: Bebauungsplan 6-21 VE für die Grundstücke …, S. 10, 18, 25, 27; siehe auch „Pflanzliste“ S. 34 f.
  47. Bezirksamt Steglitz-Zehlendorf von Berlin: Bebauungsplan 6-21 VE für die Grundstücke …, S. 8 f, 14.

Koordinaten: 52° 24′ 21,5″ N, 13° 15′ 0,9″ O