Saldula arenicola
| Saldula arenicola | ||||||||||||
|---|---|---|---|---|---|---|---|---|---|---|---|---|
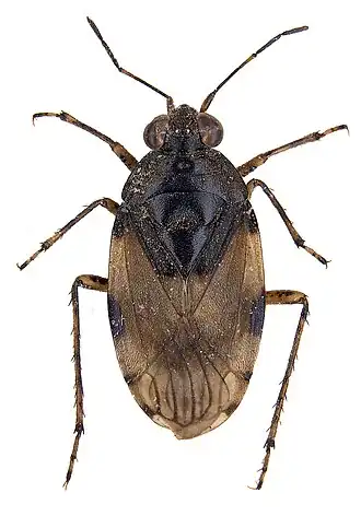
Saldula arenicola, Habitus, specimen in Zoologische Staatssammlung München | ||||||||||||
| Systematik | ||||||||||||
| ||||||||||||
| Wissenschaftlicher Name | ||||||||||||
| Saldula arenicola | ||||||||||||
| (Scholtz, 1847) |
Saldula arenicola, auch Sand-Springwanze genannt,[1] ist eine Wanze aus der Familie der Uferwanzen (Saldidae). Der Name leitet sich von den Habitatpräferenzen der Art ab: „arena“ = Sand, „colere“ = bewohnen.[2]
Merkmale
Die Wanzen werden 3,4 bis 4,6 Millimeter lang.[2] Die Gattung Saldula umfasst Arten, bei denen das Pronotum komplett schwarz ist und bei denen sich die Hemielytren vollständig überlappen. Die Artbestimmung ist häufig schwierig. Saldula arenicola ist verhältnismäßig einfach zu bestimmen, da sie eine charakteristische Musterung mit einem blassen Balken über dem Corium der Hemielytren, zwei blasse Flecken am Clavus auf gleicher höhe und in der Regel zwei blasse Flecken entlang des Costalrandes näher an der Membrane aufweisen. Das erste Glied der Fühler ist blass, mit schwarzer Spitze, das zweite ist schwarz, mit blasser Spitze.[3]
Verbreitung und Lebensraum
Die Art ist von Nordafrika und der nördlichen Afrotropis über West- und Mitteleuropa bis in den Süden Skandinaviens und Großbritanniens verbreitet. Im Osten reicht die Verbreitung bis nach Sibirien und China. In Südeuropa ist die Art nur vereinzelt nachgewiesen, in Deutschland ist sie nur in der nördlichen Hälfte verbreitet und im Süden zunehmend seltener. In Österreich ist sie auch nur vereinzelt nachgewiesen.[2] Die Art ist in Großbritannien sehr selten und nur an den Steilküsten von Hampshire, Dorset und Devon nachgewiesen.[3] Besiedelt werden überwiegend sandige Böden an vegetationsfreien Fließgewässern aber auch die Ränder von Stillgewässern unabhängig von der Größe. Man findet die Art selten an der Küste.[2]
Lebensweise
Die Art ist sehr beweglich und gilt im Norden Deutschlands als Pionierart an den unbewachsenen Sandufern von neu entstandenen Abgrabungsgewässern. Pro Jahr werden ein bis zwei Generationen ausgebildet. Die Überwinterung erfolgt als Imago.[2]
Belege
Einzelnachweise
- ↑ Rote Liste der Wanzen – (Hemiptera, Heteroptera) Österreichs. (PDF; 6219 kB) In: umweltbundesamt.at. Umweltbundesamt Österreich, S. 20–60, abgerufen am 14. April 2025 (alternativ als Link in der XLSX-Datei „Wanzen (2024)“).
- ↑ a b c d e Wachmann: Wanzen, Bd. 1, S. 90f
- ↑ a b Saldula arenicola. British Bugs, abgerufen am 22. Juni 2014.
Literatur
- Ekkehard Wachmann, Albert Melber, Jürgen Deckert: Wanzen (= Die Tierwelt Deutschlands und der angrenzenden Meeresteile nach ihren Merkmalen und nach ihrer Lebensweise. 77. Teil). Band 1: Cimicomorpha: Dipsocoromorpha, Nepomorpha, Gerromorpha, Leptopodomorpha, Cimicomorpha (Teil 1). Goecke & Evers, Keltern 2006, ISBN 3-931374-49-1.
Weblinks
- Saldula arenicola bei Fauna Europaea. Archiviert vom Original im Internet Archive. Abgerufen am 22. Juni 2014
