Pseudoloxops coccineus

Pseudoloxops coccineus

Pseudoloxops coccineus

Systematik
Unterordnung: Wanzen (Heteroptera)
Familie: Weichwanzen (Miridae)
Unterfamilie: Orthotylinae
Tribus: Orthotylini
Gattung: Pseudoloxops
Art: Pseudoloxops coccineus
Wissenschaftlicher Name
Pseudoloxops coccineus
(Meyer-Dür, 1843)

Pseudoloxops coccineus ist eine Wanzenart aus der Familie der Weichwanzen (Miridae).

Merkmale

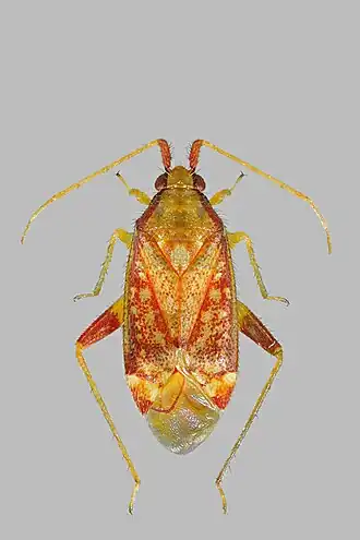
Die Wanzen werden 4,1 bis 4,5 Millimeter lang.[1] Die auffällig gefärbten Tiere haben orange und rot gefleckte Hemielytren. Das erste Fühlerglied ist rot und mit dunklen Härchen versehen. Die Flügeladern der Membrane der Hemielytren und die Seiten des Pronotums sind ebenso rot gezeichnet.[2]

Vorkommen und Lebensraum

Die Art ist vor allem in Europa verbreitet und tritt von Nordafrika über den Mittelmeerraum bis in den Süden Skandinaviens und südöstlich bis in den Kaukasus auf. Sie wurde durch den Menschen in Nordamerika eingeschleppt. In Deutschland und Österreich tritt sie überall auf, ist jedoch nur stellenweise nachgewiesen. Sie kann lokal häufig sein. Besiedelt werden Wirtspflanzen in feuchten und schattigen Auwäldern, aber auch einzeln stehende Bäume.[1]

Lebensweise

Pseudoloxops coccineus lebt an Gemeiner Esche (Fraxinus excelsior), im südlichen Mitteleuropa auch an Manna-Esche (Fraxinus ornus). Sie ernähren sich überwiegend räuberisch von Blattläusen und Blattflöhen, bei letzteren insbesondere von deren Larven. Man findet die Wanzen nur an bereits fertilen Bäumen. Überwiegend treten Weibchen der Art auf, die Männchen kann man nur kurz während der Paarungszeit beobachten. Die Imagines kann man im Juli und August antreffen, bis September kann man vereinzelt Weibchen finden.[1]

Belege

Einzelnachweise

  1. a b c Ekkehard Wachmann, Albert Melber, Jürgen Deckert: Wanzen (= Die Tierwelt Deutschlands und der angrenzenden Meeresteile nach ihren Merkmalen und nach ihrer Lebensweise. 75. Teil). Band 2: Cimicomorpha: Microphysidae (Flechtenwanzen), Miridae (Weichwanzen). Goecke & Evers, Keltern 2006, ISBN 3-931374-57-2, S. 193.
  2. Pseudoloxops coccineus. British Bugs, abgerufen am 4. Juli 2015.

Literatur

  • Ekkehard Wachmann, Albert Melber, Jürgen Deckert: Wanzen (= Die Tierwelt Deutschlands und der angrenzenden Meeresteile nach ihren Merkmalen und nach ihrer Lebensweise. 75. Teil). Band 2: Cimicomorpha: Microphysidae (Flechtenwanzen), Miridae (Weichwanzen). Goecke & Evers, Keltern 2006, ISBN 3-931374-57-2.
Commons: Pseudoloxops coccineus – Sammlung von Bildern, Videos und Audiodateien