Podabrus alpinus
| Podabrus alpinus | ||||||||||||
|---|---|---|---|---|---|---|---|---|---|---|---|---|
Podabrus alpinus | ||||||||||||
| Systematik | ||||||||||||
| ||||||||||||
| Wissenschaftlicher Name | ||||||||||||
| Podabrus alpinus | ||||||||||||
| (Paykull, 1798) |
Podabrus alpinus ist ein Käfer aus der Familie der Weichkäfer (Cantharidae) und der Unterfamilie der Cantharinae. Die Gattung Podabrus ist in Europa mit zwei Arten vertreten, außer dem weit verbreiteten Podabrus alpinus kommt noch die von Nordosten einstrahlende Art Podabrus annulatus vor. Beide Arten gehören auch der Untergattung Podabrus an.[1][2]
Bemerkung zum Namen
Die Art wird bereits 1798 von Paykull unter dem Namen Cantharis alpina beschrieben.[3] Der Namensteil alpinus (lat. alpīnus, auf den Alpen lebend)[4] erklärt sich dadurch, dass Paykull als Lebensraum des Käfers nahe der Alpen von Dalecarlia und Lapponia angibt.[3]
Nach Aufspaltung der Gattung Cantharis wurde der Käfer von verschiedenen Autoren in verschiedene Gattungen und Untergattungen gesetzt (Cantharis, Telephorus, Podabrus, Brachynotus, Malthacus).[1]
Der Gattungsname Podabrus taucht erstmals 1821 im Anhang Genres des insectes (fr. Insektengattungen) zur Entomographia Imperii Russici - Entomographie de la Russe (lat/fr. Beschreibung der Insekten Russlands) von Fischer von Waldheim auf.[5] Weder dort noch 1844 in Fischer von Waldheims Spicilegium Entomographiae Russicae (lat. Nachtrag zur Beschreibung der Insekten Russlands)[6] definiert Fischer von Waldheim die Gattung. Dejean übernimmt 1833 und 1837 den Gattungsnamen in den Katalogen zu seiner Sammlung, jedoch ebenfalls ohne Beschreibung der Gattung.[7] Deswegen gilt Westwood als Autor, der 1840 in einer Synopsis der in England vorkommenden Insekten die Gattung Podabrus kurz charakterisiert.[8][9]
Der Name Pódabrus leitet sich von altgr. ποδαβρός podabrós ab. Dies bedeutet weichfüßig, zartfüßig (en. tender-footed),[10][11] aber auch flinkfüßig, schnell wie der Wind.[12] Die Beschreibung der Gattung gibt jedoch keinen zwingenden Hinweis darauf, was damit gemeint ist, möglicherweise wird auf die nur schwach ausgebildeten Enddornen der Schienen angespielt.
Die zahlreichen Synonyme belegen den Variationsreichtum des Käfers. In der Fauna Europaea werden zwölf Synonyme für das Artepitheton alpina angeführt (rubens, lateralis, melancholica, mocquerysi, necrophora, ruficeps, apicalis, iljini, semibrunnea, anatolica, apicenigra, falzonii).[1]
Eigenschaften des Käfers
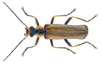
| |
| Abb. 1: Aufsicht (Foto Udo Schmidt) | |
| |
| Abb. 2: 1. bis 5. Fühlerglied | |
| |
| Abb. 3: Kopf, rechte Hälfte teilweise koloriert; rot: Kopfschild, grün: Kiefertaster, Pfeil: Einschnürung | |
| |
| Abb. 4: Halsschild, weißer Pfeil: Grat, schwarzer Pfeil: Hinterecke mit Zähnchen | |
|
|
| Abb. 5: Rechte Hinterklaue von hinten |
Abb. 6: Spitze der Schiene |
| |
| Abb. 7: Ausschnitt Flügeldecke hinter dem Schildchen | |
Der elf bis vierzehn Millimeter lange Käfer ist ungewöhnlich variantenreich gefärbt. Schon 1862 beschreibt Mulsant fünf Farbvarianten, die hauptsächlich durch den Anteil von Schwarz an der Färbung des Käfers bestimmt sind.[13] Der Käfer ist etwa viermal so lang wie an den Schultern breit. Beine, Fühler, Flügeldecken und Unterseite sind dicht fein behaart, der Kopf ist oberseits teilweise kahl, der Halsschild ist nur sehr spärlich behaart. Wie bei allen Weichkäfern ist der Körper nur schwach sklerotisiert, die Flügeldecken verformen sich leicht.
Der nach vorn gestreckte Kopf (prognath) ist braungelb oder rot, zuweilen mit schwarzem Scheitel, oder ganz schwarz. Er ist breit, vor den Augen sind die Backen stark entwickelt. Hinter den Augen ist er halsförmig verengt und deutlich vom Halsschild abgesetzt (Abb. 1 und blauer Pfeil in Abb. 3). Dieser Hals liefert zusammen mit der Form des Halsschilds ein sicheres Merkmal für die Gattung. Der hintere Teil des Kopfes ist stark, dicht und etwas runzelig punktiert. Die mittelgroßen Augen sind fast halbkugelig, stark vorstehend und gut einen Augendurchmesser vom Halsschildvorderrand entfernt. Direkt hinter den Augen verläuft ein flacher Quereindruck (nur von der Seite erkennbar, Taxobild). Der Kopfschild (Abb. 3 rechts rot getönt) schließt vorn gerundet ab. Die elfgliedrigen Fühler sind fadenförmig und vor den Augen eingelenkt, ihr Außenabstand ist kleiner als der Abstand der Innenränder der Augen (Abb. 3). Die Fühler sind bei den Weibchen gut halb so lang wie der Körper, bei den Männchen erreichen sie drei Fünftel der Körperlänge. Das dritte Fühlerglied ist kaum länger als das zweite, aber deutlich kürzer als das vierte (Abb. 2). Die Fühlerglieder sind häufig zur Spitze hin etwas angedunkelt. Zwischen den Fühlern befindet sich keine Längsbeule. Der einfach zugespitzte Oberkiefer (in Abb. 3 links vor dem Kopfschild teilweise sichtbar) ist dünn und sichelförmig gebogen. Die beiden Unterkiefer haben je zwei dicke, fleischige und behaarte Lappen, von denen der innere aber nur klein und vom äußeren wenig getrennt ist. Die Kiefertaster (in Abb. 3 rechts grün getönt) überragen die Lappen weit. Sie sind viergliedrig, die Lippentaster dreigliedrig. Bei allen Tastern sind die Endglieder beilförmig.
Der glänzende Halsschild (Abb. 4) ist schwarz mit einem mehr oder weniger breiten gelben oder rotem Seitenrand oder ganz braungelb oder rot. Er ist annähernd rechteckig mit stark abgerundeten Vorderecken und scharfwinkligen, gelegentlich wie ein nach vorn weisendes Zähnchen ausgezogenen Hinterecken (schwarze Pfeilspitze in Abb. 4).
Der Halsschild ist etwa eineinhalbmal so breit wie lang. Der Vorderrand ist gerade oder wenig ausgerandet, und knapp so breit wie der Kopf mit Augen, die Basis ist dagegen breit aber nur wenig tief ausgerandet. Die Basis ist schmal und steil aufgebogen, die beiden Seiten sind sehr breit aufgebogen, sodass sich eine Rinne bildet, die etwa ein Fünftel der Breite des Halsschilds breit ist. Der Vorderrand ist schwach aufgebogen.
Im vorderen Drittel des Halsschilds verläuft ein flacher Quereindruck (gut im Taxobild erkennbar). Davor ist die Punktierung flacher als auf dem Kopf und leicht runzelig, dahinter zur Basis hin ist sie etwas feiner als beim Kopf. Hinter dem Quereindruck ist der Halsschild flach längs eingedrückt und auf dem Boden dieses Eindrucks verläuft wie eine Linie eine sehr feine Längsrinne (weiße Pfeilspitze in Abb. 4). Vor dieser Längsrinne befindet sich eine tropfenförmige Beule, die nach vorn in den Quereindruck spitz ausläuft.
Das Schildchen ist schwarz und bildet ein annähernd gleichseitiges Dreieck.
Die Flügeldecken sind braungelb oder schwarz, im letzteren Fall können sie von der Basis bis zur Mitte rot gesäumt sein. Sie sind lederartig gerunzelt und kurz nach hinten liegend behaart (Abb. 7). Sie sind gut dreimal so lang wie zusammen breit. Die Seiten verlaufen annähernd parallel zueinander, am Ende sind sie gemeinsam breit abgerundet. Wenige Rippen sind angedeutet (Abb. 1).
Die Vorderhüften ragen zapfenförmig aus den Gelenksgruben heraus. Die Schienen sind an der Spitze abgerundet, die beiden Enddornen an der Rückseite der Schienen sind sehr fein und zart ausgebildet und nicht immer leicht zu erkennen (Abb. 6). Die Tarsen sind fünfgliedrig, das vorletzte Glied zweilappig. Alle Klauen sind gespalten, der Zahn an der Innenseite mäßig breit und zugespitzt (Abb. 5).
Am Hinterleib sind beim Männchen acht Ringe erkennbar, beim Weibchen sieben.[14][13][15]
Larve und Puppe
|
| Abb. 8: Larve von Cantharis nach Reitter[16] |
|
| Abb. 9: Unterlippe und linker Unterkiefer der Larve von Cantharis rustica von un- ten,[17] teilweise getönt: blau: Lippentaster rot: Cardo, gelb: Lacinia, grün: Kiefertaster |
Die Larve wird im letzten Stadium bis achtzehn Millimeter lang bei einer Breite von bis zu drei Millimetern in der Mitte. Sie zeigt die abgeplattete Form einer Larve der Gattung Cantharis (Abb. 8) und ist unterseits stärker abgeplattet als oberseits. Sie ist fleischig und derbhäutig. Sie ist ziemlich dicht behaart, oberseits schmutzig bräunlich gelb, unterseits schmutzig ockergelb, und sieht samtig aus.
Der platte Kopf ist horizontal vorgestreckt, stark chitinisiert, glänzend, und in Aufsicht annähernd quadratisch. Die Kopfkapsel zeigt keine Nähte. Die hintere Kopfhälfte ist dunkel kastanienbraun, die vordere Kopfhälfte ist heller. Die vordere Kopfhälfte zeigt eine deutlich abgesetzte Längsdepression. Diese läuft vorn auf beiden Seiten in eine zahnförmige Erhöhung aus, die in einem Büschel sehr kurzer Haare endet. Die Oberseite des Kopfes ist ziemlich dicht mit nach vorn liegenden Haaren besetzt, vorn etwas stärker behaart als hinten.
Die Oberlippe ist mit der Kopfkapsel verwachsen. Die Form der so gebildeten Vorderkante des Kopfes liefert Bestimmungsmerkmale zur Unterscheidung der verschiedenen Arten. Die Oberkiefer sind relativ kräftig, sichelförmig nach innen gekrümmt und vor der Mitte der Innenseite mit einem sehr stumpfen, relativ kleinen Zähnchen versehen. In der Gattung Cantharis ist dieses Zähnchen spitz. Hinter dem Zähnchen zur Mundöffnung hin verläuft eine Schlürfrinne. Durch diese wird einerseits das Auswürgen von Verdauungssäften erleichtert, andererseits die Aufnahme verflüssigter Nahrung unterstützt. Die Mandibeln sind dunkelbraun und zur Spitze hin geschwärzt.
Die verhältnismäßig langen Fühler sind seitlich hinter den Mandibeln eingelenkt. Sie sind dreigliedrig und hellbraun. Das erste Glied ist walzenförmig und wenig länger als das zweite und zum Ende hin leicht erweitert. Beide Grundglieder sind sehr fein behaart, das zweite trägt außerdem am Ende außen neben dem Endglied eine sensorische Papille, die mit wenigen fast rechtwinklig abstehenden Borsten ausgestattet ist. Das neben der Papille eingelenkte Endglied ist pfriemenförmig und sehr klein, nur etwa doppelt so lang wie die Papille. Das einzige Punktauge ist groß, queroval, und sitzt relativ weit hinter den Fühlern seitlich am Kopf.
Auf der Unterseite des Kopfes sitzt in einem halbkreisförmigen Ausschnitt der Maxillar-Labial-Komplex mit der Unterlippe in der Mitte und auf jeder Seite davon einem Unterkiefer. Der Unterkiefer sitzt der Cardo (Abb. 9 rot) auf und hat eine Innenlade (Lacinia, Abb. 9 gelb) ausgebildet, die in Richtung der Körperachse ausgerichtet ist. Auf der Innenseite des Unterkiefers etwas unter dieser Lade befindet sich ein dichtes Haarbüschel. Nach Verhoeff ist dies möglicherweise als Umbildung der Innenlade aufzufassen, dann wäre der gelb markierte Auswuchs die Außenlade (Galea). Die Unterkiefertaster (Abb. 9 grün) sind viergliedrig. Das Basisglied ist kurz und dick, das folgende Glied dünner und etwa doppelt so lang, das dritte Glied klein. Das Endglied ist noch dünner, fingerförmig und an der Spitze angedunkelt. Die Unterlippe ist kurz, viereckig und viel breiter als lang, am Vorderrand stark erweitert mit einem zweigliedrigen Taster an jeder Ecke. Das Grundglied des Lippentasters ist dick und stielrund, zum Ende etwas erweitert, das Endglied ist gleich lang und dünn wie das Endglied des Kiefertasters. Unter- und Oberseite der Unterkiefer sind lang behaart, die Lippen- und Kiefertaster sind kurz behaart. Im lebenden Zustand reichen Lippen- und Kiefertaster gleich weit nach vorn und sind auch von oben gut sichtbar. In Abb. 9 sind Unterlippe und Unterkiefer von Cantharis rustica dargestellt, die in ihrem Bau nahezu identisch zu Unterlippe und Unterkiefer von Podabrus alpinus sind.
Die ersten drei Körpersegmente (Thoraxsegmente) tragen je ein Beinpaar mit fünfgliedrigen, blassgelben, langen Beinen. Außen- und Innenseite der Beine sind mit ungleich langen Borsten besetzt. Das Basisglied (Hüfte) jedes Beines ist kurz und dick und nach schräg hinten ausgerichtet. Das stielrunde folgende Glied (Trochanter) ist etwas kürzer und dünner, die Schenkel sind verhältnismäßig lang und walzenförmig und werden zu den Schienen hin dünner. Die Schienen sind noch länger und verjüngen sich zur Spitze zu. Das Fußglied ist dünn und sehr kurz und trägt eine einfache, gebräunte, spitze und wenig gebogene Kralle.
Die Thoraxsegmente tragen oben auf jeder Seite je einen runden bis viereckigen, schwärzlich braunen, verschwommenen Fleck, dessen Zentrum meist durch mehrere kleine dunkle Fleckchen dunkler ist. Die Flecke des Fleckenpaars auf dem ersten Thoraxsegment sind mindestens viermal so groß wie die Flecke auf den beiden folgenden Segmenten. Der Fleck des letzten Brustsegments hat häufig zwei dunkle Zentren, das vordere größer, das hintere kleiner. An den Seiten befindet sich nur zwischen dem ersten und zweiten Brustsegment ein relativ großes Stigma.
Der aus zehn Segmenten bestehende Hinterleib ist nicht vom Brustabschnitt abgesetzt, der erste Hinterleibsring unterscheidet sich von oben im Bau kaum vom davor liegenden letzten Brustabschnitt, die Brustabschnitte sind auch nicht stärker sklerotisiert als die Hinterleibssegmente. Nach hinten werden die Abschnitte langsam schmaler, insbesondere sind die beiden als Nachschieber und Analglied umgebildeten Endglieder schmaler. Die Färbung der Hinterleibssegmente unterscheidet sich jedoch von der des Brustabschnittes. Über die Rückenseite der ersten acht Hinterleibssegmente verlaufen vier zueinander parallele, hellere, vielfach unterbrochene und teilweise in Punkte aufgelöste, nur schwer erkennbare Linien. Nur der Rücken des Nachschiebers trägt nebeneinander zwei unregelmäßig dreiseitige, sehr blass schwärzlich braune Flecke und keine hellen Längsstriche. Die ersten acht Hinterleibssegmente besitzen seitlich je ein kleines Stigma, alle neun Hinterleibssegmente tragen auf dem Rücken eine Drüsenöffnung, aus der abstoßende Sekrete abgegeben werden.[18][19][17]
Die Puppe ist vierzehn Millimeter lang und vier Millimeter breit. Sie ist blass ockergelb mit einem rötlichen Schimmer. Der zukünftige Halsschild mit abgerundeten Vorderecken und stumpfen Hinterecken lässt den Umriss des Halsschildes beim adulten Tier erahnen. Die Augen zeichnen sich bei der älteren Puppe groß schwarzbraun durchscheinend ab.[20][21]
Biologie
In Mitteleuropa kommt der Käfer vorzugsweise im Sommer in höheren Lagen (boreomontan) vor, in der Ebene ist er seltener. Er ist aber beispielsweise in England auch in niederen Höhen nicht selten zu finden und tritt auch schon im Frühling auf. Er ist nicht an einen bestimmten Lebensraum gebunden. Man findet ihn gleichermaßen in Misch- und Nadelwäldern, im Wald oder an dessen Rändern, auf Hochstaudenfluren und Matten, auf Nadelbäumen, auf Gebüsch, oder auf den Blüten von Doldenblütlern. Die Käfer sind tagaktiv, Männchen werden aber auch auffallend oft mit Lichtfallen gefangen.[22]
Käfer und Larven leben räuberisch. Die Käfer zerkleinern die Nahrung und nehmen möglicherweise auch pflanzliche Nahrung zu sich. Die Larven können nur zumindest zähflüssige Nahrung aufnehmen. Gegen Fressfeinde schützen sich Käfer und Larven durch abstoßend wirkende Sekrete.
Die zur Erstbeschreibung herangezogenen Larven wurden in Mitteleuropa in alten, verlassenen noch nicht bewachsenen Ameisenhaufen in reinen Fichtenbeständen und Mischbeständen im Monat April gefangen. Die Verpuppung erfolgt Mitte Mai, die Käfer erscheinen Ende Mai. Sie können sich sehr flink bewegen.[20] Allgemein findet man die Larven in der Erde in den oberen Bodenschichten, im Bodenstreu und in morschem Holz. Bei achtzehn bis zwanzig Grad dauert das erste und zweite Larvenstadium jeweils zwölf bis 15 Tage, im ersten Stadium messen die Larven knapp zwei bis zweieinhalb Millimeter, im zweiten bis zu fünf Millimeter. Das dritte Stadium dauert etwa sechzehn Tage und die Larve erreicht eine Länge von sieben bis neun Millimetern. Ab dem vierten Stadium sind die Tiere normal pigmentiert. Das vierte Stadium dauert bis zu 25 Tage und die Larven werden etwa zehn Millimeter lang. Das fünfte Stadium dauert etwa 50 Tage und die Larven werden bis zu 12 Millimeter lang. Das letzte Larvenstadium dauert durchschnittlich 175 Tage, wobei die Larven die volle Länge von vierzehn bis siebzehn Millimetern erreichen.[23] Die Käfer haben also einen einjährigen Lebenszyklus.
Verbreitung
Es handelt sich bei Podabrus alpinus um eine in Mittel- und Nordeuropa und in Asien weit verbreitete Art. In Europa verläuft im Westen die Grenze des Verbreitungsgebietes durch Frankreich und Italien, nach Norden findet man die Art bis Irland, Schottland, Norwegen, Schweden, Finnland und dem Norden des europäischen Teils von Russland. Im Süden verläuft die Ausbreitungsgrenze durch Italien, Österreich, die Slowakei und die Ukraine.[2] Innerhalb Russlands erstreckt sich das Verbreitungsgebiet östlich bis nach Sibirien, nach einer Quelle bis nach Nordwestsibirien,[24] nach einer anderen bis nach Wladiwostok.[25]
Literatur
- Heinz Freude, Karl Wilhelm Harde, Gustav Adolf Lohse: Die Käfer Mitteleuropas. Band 6: Diversicornia. Spektrum, Heidelberg 1979, ISBN 3-87263-027-X, S. 21.
- Edmund Reitter: Fauna Germanica, die Käfer des Deutschen Reiches. Band 3, K.G.Lutz’ Verlag, Stuttgart 1911, S. 255.
- Gustav Jäger (Hrsg.): C. G. Calwer’s Käferbuch. 3. Auflage. K. Thienemanns, Stuttgart 1876, S. 372.
- Klaus Koch: Die Käfer Mitteleuropas Ökologie. 1. Auflage. Band 2. Goecke & Evers, Krefeld 1989, ISBN 3-87263-040-7, S. 31.
Einzelnachweise
- ↑ a b c Podabrus alpinus bei Fauna Europaea, abgerufen am 6. Dezember 2018.
- ↑ a b Podabrus annulatus bei Fauna Europaea, abgerufen am 6. Dezember 2018.
- ↑ a b Gustav Paykull: Fauna Svecica - Insecta. Band 1, Upsala 1798, S. 259 (Cantharis alpina).
- ↑ Sigmund Schenkling: Erklärung der wissenschaftlichen Käfernamen (Art).
- ↑ Gotthelf Fischer: Entomographia Imperii Russici. Band 1, Moskau 1820-1822 Teil Entomographia rutenica in der Google-Buchsuche und (Genres des insectes, S. 84/100 Podacrus).
- ↑ G. Fischer de Waldheim: Spicilegium Entomographiae Rossicae. S. 33 (Podabrus Fischer).
- ↑ Dejean: Catalogue des Coléoptères de la Collection de M. Le Comte Dejean. Paris 1833, Deuxième édition, S. 105 (Podabrus Fischer) und Dejean: Catalogue de la Collection de Coléoptères de M. Le Baron Dejean Paris 1837, S. 118 Podabrus Fischer in der Google-Buchsuche.
- ↑ J. O . Westwood: An Introduction to the modern classification of insects. Band 2, London 1840 Anhang Synopsis of the genera of British insects. S. 27 (Podabrus).
- ↑ John L. Leconde: Synopsis of the Lampyridae of Temperate North America. verlesen in der Sitzung am 30. September 1851 In: Proceedings of the Academy of Natural Sciences of Philadelphia. Band 5, Philadelphia 1852, S. 343 (Podabrus).
- ↑ Sigmund Schenkling: Erklärung der wissenschaftlichen Käfernamen (Gattung).
- ↑ Ancient Greek English Dictionary ποδαβρός
- ↑ Pape: Handwörterbuch der Griechischen Sprache Translatum gr. S. 642
- ↑ a b E. Mulsant, Histoire naturelle des coléoptères de France - Mollipennes. Band 17, Paris 1862, S. 133 f. (Podabrus).
- ↑ W. F. Erichson et al.: Naturgeschichte der Insecten Deutschlands. Band 4: Coleoptera. Berlin 1857, S. 496 (als Cantharis alpine).
- ↑ Ludwig Redtenbacher: Fauna Austriaca – Die Käfer. 3. Auflage, 2. Band, Wien 1874, S. 9 (Podabrus alpina).
- ↑ Edmund Reitter: Fauna Germanica, die Käfer des Deutschen Reiches. Band 3, K.G.Lutz’ Verlag, Stuttgart 1911, S. 254 (Fig. 75).
- ↑ a b Carl W. Verhoeff: Zur Entwicklung, Morphologie und Biologie der Vorlarven und Larven der Canthariden. In: Archiv für Naturgeschichte. 83. Jahrgang, 2. Heft, Berlin 1917, S. 102 ff (Abb. 16 Unterlippe, Unterkiefer der Larve von Cantharis rustica).
- ↑ M. G. Fitton: The larvae of the British genera of Cantharidae (Coleoptera). In: Journal of Entomology Series B Taxonomy. Band 44, Nr. 3, 1975.
- ↑ K. W. Verhoeff: Zur Kenntnis der Canthariden-Larven 2. Beitrag In: Archiv für Naturgeschichte. 89. Jahrgang, 1. Heft, Berlin 1923, S. 110 ff (online).
- ↑ a b Theodor Beling: Beitrag zur Biologie einiger Käfer aus der Familie der Telephoriden. In: Berliner Entomologische Zeitschrift. Band 29, Heft 2, S. 352 (Larve von Cantharis alpina).
- ↑ LM Medwedew, VA Pototskaya, BR Striganova: ОПРЕДЕЛИТЕЛЬ ОБИТАЮЩИХ В ПОЧВЕ ЛИЧИНОК НАСЕКОМЫХ (Bestimmungsschlüssel für im Boden lebende Larven) AKADEMIE DER WISSENSCHAFTEN DES UDSSR-INSTITUTS DER TIERISCHEN MORPHOLOGIE. A.N. SEVERTSOVA, Moskau 1964.
- ↑ Noël Magis: Sur les Malacodermes palaearctiques 36 - 40. In: Bulletin et annales de la Société royale d'entomologie de Belgique. Band 104, 1968, S. 153 (PDF).
- ↑ Е.В. Турис: РЕЗУЛЬТАТИ ДОСЛІДЖЕНЬ БІОЛОГІЇ М’ЯКОТІЛОК (CANTHARIDAE, COLEOPTERA) (ПОВІДОМЛЕННЯ 2). In: Entomologia. Wissenschaftlicher Herold der Universität Uschhorod Serie Biologie, Ausgabe 20, 2007, S. 156-168 (PDF).
- ↑ Sergey V. Kazantsev An annotated checklist of Cantharoidea (Coleoptera) of Russia and adjacent territories. In: Russian Entomol. Band 20, Nr. 4, S. 387-410 (S. 393) (PDF).
- ↑ Adolf Horion: Faunistik der mitteleuropäischen Käfer. Band 3: Malacodermata, Sternoxia. Sonderband der Entomologischen Arbeiten Museum G. Frey, München 1953, S. 13 (online).

_(24502647273).png)







