Nysius ericae
| Nysius ericae | ||||||||||||
|---|---|---|---|---|---|---|---|---|---|---|---|---|
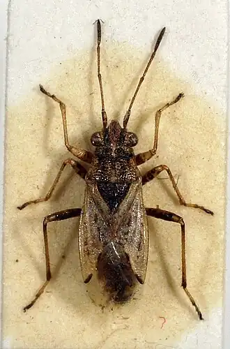
Nysius ericae, Präparat | ||||||||||||
| Systematik | ||||||||||||
| ||||||||||||
| Wissenschaftlicher Name | ||||||||||||
| Nysius ericae | ||||||||||||
| (Schilling, 1829) |
Nysius ericae ist eine Wanze aus der Familie der Bodenwanzen (Lygaeidae).
Merkmale
Die Wanzen werden 3,5 bis 4,5 Millimeter lang.[1] Die Art ist schwer von den anderen Arten der Gattung Nysius zu unterscheiden. Insbesondere Nysius thymi ist sehr ähnlich. Beiden Arten fehlt der gut erkennbare dunkle Ring an der Basis des zweiten Fühlerglieds und beide haben dunkle Flecken auf der Flügelmembrane. Am sichersten ist die Bestimmung bei den Männchen durch eine Genitaluntersuchung. Die Weibchen können anhand der Härchen auf den Adern der Flügel unterschieden werden, die länger sind, als bei der ähnlichen Art.[2]
Verbreitung und Lebensraum
Die Art ist in weiten Teilen der Paläarktis verbreitet und kommt in Norden bis in die Subarktis, Grönland und auch in Nordamerika vor. Sie besiedelt auch Afrika bis ganz in den Süden. Sie ist dort sehr häufig, so ist sie z. B. im Nationalpark Virunga in der Republik Kongo die häufigste Wanzenart. In Mitteleuropa ist die Art überall anzutreffen, sie ist jedoch seltener als Nysius thymi. Sie besiedelt bevorzugt trockene und temperaturbegünstigte, sandige Lebensräume mit niedriger, lückiger Vegetation, man findet sie jedoch auf anderen Böden.[1]
Lebensweise
Die Tiere leben an einer großen Zahl verschiedener Korbblütler (Asteraceae). Die Überwinterung erfolgt offenbar meist als Ei.[1]
Belege
Einzelnachweise
- ↑ a b c Ekkehard Wachmann, Albert Melber, Jürgen Deckert: Wanzen. Band 3: Pentatomomorpha I: Aradoidea (Rindenwanzen), Lygaeoidea (Bodenwanzen u. a.), Pyrrhocoroidea (Feuerwanzen) und Coreoidea (Randwanzen u. a.) (= Die Tierwelt Deutschlands und der angrenzenden Meeresteile nach ihren Merkmalen und nach ihrer Lebensweise. 78. Teil). Goecke & Evers, Keltern 2007, ISBN 978-3-937783-29-1, S. 62.
- ↑ Arocatus longiceps. British Bugs, abgerufen am 29. Dezember 2013.
Literatur
- Ekkehard Wachmann, Albert Melber, Jürgen Deckert: Wanzen. Band 3: Pentatomomorpha I: Aradoidea (Rindenwanzen), Lygaeoidea (Bodenwanzen u. a.), Pyrrhocoroidea (Feuerwanzen) und Coreoidea (Randwanzen u. a.) (= Die Tierwelt Deutschlands und der angrenzenden Meeresteile nach ihren Merkmalen und nach ihrer Lebensweise. 78. Teil). Goecke & Evers, Keltern 2007, ISBN 978-3-937783-29-1.
Weblinks
- Nysius ericae bei Fauna Europaea. Archiviert vom Original im Internet Archive. Abgerufen am 29. Dezember 2013
