Lincoln Airport (Nebraska)
| Lincoln Airport | |
|---|---|
![]() | |
| Luftbild des Flughafens | |
| Kenndaten | |
| ICAO-Code | KLNK |
| IATA-Code | LNK |
| Koordinaten | 40° 51′ 3″ N, 96° 45′ 33″ W |
| Höhe über MSL | 371 m (1.217 ft) |
| Verkehrsanbindung | |
| Entfernung vom Stadtzentrum | 5 km nordwestlich von Lincoln |
| Straße | I-80/I-180/US 6/US 34/US 77 |
| Basisdaten | |
| Betreiber | Lincoln Airport Authority |
| Fläche | 2226[1] ha |
| Terminals | 1 |
| Passagiere | 170.777[1] (2021) |
| Flug- bewegungen |
72.611[1] (2021) |
| Start- und Landebahnen | |
| 14/32 | 2636 m × 46 m Asphalt/Beton |
| 17/35 | 1768 m × 30 m Asphalt/Beton |
| 18/36 | 3932 m × 61 m Asphalt/Beton |
Der Lincoln Airport (IATA-Code: LNK, ICAO-Code: KLNK) ist der Verkehrsflughafen der amerikanischen Großstadt Lincoln im US-Bundesstaat Nebraska.
Lage und Verkehrsanbindung
Der Lincoln Airport befindet sich fünf Kilometer nordwestlich des Stadtzentrums von Lincoln. Der Flughafen verfügt über eine Anschlussstelle an der Interstate 80, welche östlich und südlich des Flughafengeländes verläuft. Zudem verläuft die Interstate 80 auf Höhe des Flughafens auf einer gemeinsamen Trasse mit dem U.S. Highway 77. Der U.S. Highway 6 verläuft südlich des Flughafens, während der U.S. Highway 34 nördlich von diesem verläuft. Die Interstate 180 verläuft östlich des Flughafens. Der Lincoln Airport ist nicht in den Öffentlichen Personennahverkehr eingebunden. Die Fluggäste müssen auf Mietwagen und Taxis zurückgreifen.[2]
Geschichte
Im April 1928 wurden Mittel bereitgestellt, um das für die Errichtung eines städtischen Flughafens erforderliche Land zu erwerben. Anschließend erwarb die Stadt Lincoln rund 65 Hektar. Im folgenden Jahr wurde das Land planiert und die Errichtung des Flughafens begann. Die Einweihung des Lincoln Municipal Airport erfolgte am 12. Juni 1930.

Im Februar 1941 beantragte die Stadt die Aufnahme des Flughafens in das nationale Verteidigungsprogramm. Sieben Monate später bat die Bundesregierung um Erlaubnis, den Flughafen nutzen zu können. Im Jahr 1942 begann die United States Army mit Bauarbeiten auf dem Flughafengelände. Am 4. Oktober 1942 wurde das Lincoln Army Airfield eingeweiht. Im Dezember 1945 wurde das Lincoln Army Airfield deaktiviert und sieben Monate später für überzählig erklärt. Im Dezember 1948 beendete die Bundesregierung den Pachtvertrag und gab damit die Kontrolle über den Flughafen an die Stadt Lincoln zurück.

Im Jahr 1952 pachtete die United States Air Force den Flughafen und nutzte ihn als Lincoln Air Force Base militärisch. Im November 1964 wurde der Flughafen an die Stadt Lincoln zurückgegeben. Anschließend wurde die Lincoln Airport Authority zum Betreiber des Flughafens. Am 4. Dezember 1974 wurde ein neues Passagierterminal eröffnet. Am 22. August 1975 wurde ein neuer Kontrollturm eingeweiht. Im Dezember 1987 wurde ein Parkhaus fertiggestellt.
Im Jahr 2002 wurden vier Fluggastbrücken am Passagierterminal installiert, zwei Jahre später wurde der Flughafen in Lincoln Airport umbenannt.[3]
Flughafenanlagen

Der Lincoln Airport erstreckt sich über 2226 Hektar.[1]
Start- und Landebahnen
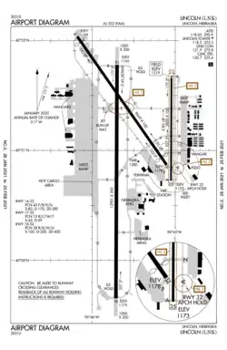
Der Lincoln Airport verfügt über drei Start- und Landebahnen. Die Start- und Landebahn 18/36 ist 3932 Meter lang und 61 Meter breit. Sie ist an beiden Enden mit einem CAT I-Instrumentenlandesystem ausgestattet. Die Querwindbahn 14/32 ist 2636 Meter lang und 46 Meter breit. Die kürzeste Start- und Landebahn des Flughafens trägt die Kennung 17/35, ist 1768 Meter lang und 30 Meter breit. Der Belag der Start- und Landebahnen besteht aus Asphalt und Beton.[3]
Passagierterminal
Der Lincoln Airport verfügt über ein Passagierterminal. Es ist mit vier Flugsteigen und ebenso vielen Fluggastbrücken ausgestattet. Das Passagierterminal wurde ursprünglich am 4. Dezember 1974 eröffnet. Die vier Fluggastbrücken wurden 2002 installiert.[3]
Frachtterminal
Das Frachtterminal liegt am südlichen Ende der Start- und Landebahn 14/32.[3]
Militär
Südlich des Passagierterminals befinden sich Einrichtungen der Nebraska Air National Guard und der Nebraska Army National Guard. Auf der Basis der Nebraska National Guard ist das 155th Air Refueling Wing stationiert. Es ist mit Flugzeugen des Typs Boeing KC-135R ausgestattet.[3] Zudem wird die Basis gelegentlich von Einheiten der Offutt Air Force Base genutzt.[4]
Fluggesellschaften und Ziele
Der Lincoln Airport wird von United Express bedient, welche nach Chicago–O’Hare und Denver fliegt.[5][6]
Verkehrszahlen

| Jahr | Fluggastaufkommen | Luftfracht (Tonnen) (mit Luftpost) |
Flugbewegungen |
|---|---|---|---|
| 2021 | 170.777 | - | 72.611 |
| 2021 | 103.152 | - | 59.213 |
| 2019 | 328.768 | - | 62.414 |
| 2018 | 296.155 | - | 60.975 |
| 2017 | 310.201 | - | 61.000 |
| 2016 | 324.414 | - | 62.086 |
| 2015 | 326.613 | - | 62.969 |
| 2014 | 288.082 | - | 53.848 |
| 2013 | 283.690 | 0,1 | 56.624 |
| 2012 | 270.313 | 2 | 64.316 |
| 2011 | 271.258 | 3 | 59.596 |
| 2010 | 285.630 | 5 | 63.022 |
| 2009 | 286.508 | 25 | 65.417 |
| 2008 | 326.166 | - | 65.095 |
| 2007 | 336.879 | - | 77.042 |
| 2006 | 379.825 | - | 88.546 |
| 2005 | 403.766 | 46 | 76.677 |
| 2004 | 442.162 | 38 | 87.301 |
| 2003 | 419.880 | 49 | 92.180 |
| 2002 | 460.871 | 64 | 101.080 |
| 2001 | 470.949 | 601 | 105.942 |
| 2000 | 530.723 | 1.180 | 124.481 |
| 1999 | 561.833 | 1.183 | 123.176 |
| 1998 | 504.015 | 1.824 | 119.599 |
| 1997 | 526.311 | 1.717 | 117.327 |
- ↑ Fluggastaufkommen von 2006 bis 2014
- ↑ Fluggastaufkommen von 2006 bis 2014, Luftfracht von 2009 bis 2013, Flugbewegungen von 2006 bis 2007
Verkehrsreichste Strecken
| Rang | Stadt | Passagiere | Fluggesellschaften |
|---|---|---|---|
| 1 | Chicago–O’Hare, Illinois | 42.620 | United Express |
| 2 | Denver, Colorado | 29.600 | United Express |
| 3 | Minneapolis/Saint Paul, Minnesota | 15.850 | Delta Connection |
| 4 | Detroit, Michigan | 130 | k. A. |
| 5 | Columbus–Glenn, Ohio | 120 | k. A. |
Weblinks
- Website des Flughafens (englisch)
Einzelnachweise
- ↑ a b c d e f Financial & Statistical Info. LincolnAirport.com, abgerufen am 21. August 2022 (englisch).
- ↑ Ground Transportation. LincolnAirport.com, abgerufen am 6. Juni 2020 (englisch).
- ↑ a b c d e Plans & Documents. LincolnAirport.com, abgerufen am 6. Juni 2020 (englisch).
- ↑ Floodwaters overwhelm one-third of Offutt; nine aircraft evacuated. AirForceTimes.com, 18. März 2019, abgerufen am 6. Juni 2020 (englisch).
- ↑ a b Arrivals & Departures. LincolnAirport.com, abgerufen am 21. August 2022 (englisch).
- ↑ a b Flugplan. United.com, abgerufen am 6. Juni 2020 (deutsch).
- ↑ a b North America Airport Rankings. ACI-NA.org, archiviert vom am 6. September 2018; abgerufen am 21. März 2024 (englisch).
- ↑ Lincoln, NE: Lincoln Airport (LNK). Transtats.BTS.gov, abgerufen am 21. August 2022 (englisch).
.jpg)