Steinläuferwanzen
| Steinläuferwanzen | ||||||||||||
|---|---|---|---|---|---|---|---|---|---|---|---|---|
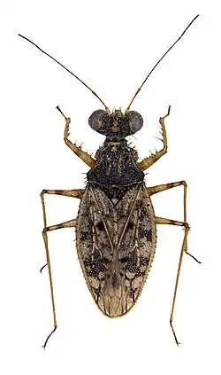
Leptopus marmoratus, Sammlungspräparat aus der Zoologischen Staatssammlung München | ||||||||||||
| Systematik | ||||||||||||
| ||||||||||||
| Wissenschaftlicher Name | ||||||||||||
| Leptopodidae | ||||||||||||
| Brullé, 1836 |

Leptopodidae sind eine kleine Familie der Wanzen aus der Teilordnung der Leptopodomorpha. Die meisten der etwa 40 Arten sind in tropischen und subtropischen Gebieten verbreitet, sie kommen aber fast weltweit vor. In Europa leben drei Gattungen, von denen eine, mit einer Art, auch Mitteleuropa erreicht.
Merkmale
Leptopodidae sind etwa 2 bis 7 mm lang. Der Kopf trägt sehr große, halbkugelige bis nierenförmige Komplexaugen, die bei den meisten Arten kurz gestielt sind, außerdem sind zwei Ocellen vorhanden. Der kurze Saugrüssel der Mundwerkzeuge hat ein relativ kurzes, aber massives viersegmentiges Labium. Die Rückenseite (Dorsum) mit den Halbdecken, mindestens aber deren Clavus sind, anders als bei den anderen Leptopodomorpha, kräftig punktiert. Sie sind stets makropter, d. h. die Flügel sind voll ausgebildet. Einige Gattungen, so etwa die Gattung Patapius, sind fast am ganzen Körper kräftig bedornt.[1]
Biologie und Lebensweise
Die Leptopodidae sind sehr agil und aktiv. Sie sind, soweit bekannt, räuberisch. Sie kommen in schwach bewachsenen, vegetationsarmen Habitaten vor. Dies sind meist Ufer und Küsten, können aber auch trockene Habitate sein. So lebt Patapius spinosus auch in Halbwüsten.[2][3]
Systematik und Taxonomie, Verbreitung
Die Leptopodidae bilden mit den Saldidae (Uferwanzen) und den kleinen Familien Aepophilidae (eine Art) und Omaniidae (sechs Arten), und den ausgestorbenen und nur fossil erhaltenen Archegocimicidae und Palaeoleptidae[4], die Teilordnung Leptopodomorpha. Die Familie wird in zwei Unterfamilien, Leptopodinae und Leptosaldinae, gegliedert. Die Leptosaldinae umfassen nur eine rezente Art, Saldolepta kistnerorum[5], von der bis heute nur zwei Individuen, in Südamerika, gefunden worden sind.[1] Vier weitere Arten sind fossil, in Bernstein gefunden worden (in der Dominikanischen Republik, Mexiko, Indien und Kanada). Die Arten aus dem Miozän und Campanium entsprechen in ihrer Morphologie völlig der rezenten Art, dies deutet auf eine Reliktgruppe mit einstmals weiter Verbreitung hin.[4]
Die Unterfamilie Leptopodinae, die alle weiteren Arten umfasst, ist häufiger und weiter verbreitet, fehlt aber in Amerika völlig (eine Art, Patapius spinosus, wurde aus der Alten Welt eingeschleppt und eingebürgert). Bekannt sind die folgenden Gattungen (ohne nur fossil bekannte)[6]
- Leotichius Distant, 1904 (2 oder 3 Arten, Burma, Malaysia, Bali). In Höhlen und bodentrockenen Habitaten[1]
- Erianotus Fieber, 1860 (eine Art, Erianotus lanosus, europäischer Mittelmeerraum bis Zentralasien)
- Leptopus Latreille, 1809 (7 Arten, Süd- bis Mitteleuropa, Nordafrika, West- und Zentralasien, Indien, Madagaskar)
- Martiniola Horváth, 1911 (2 Arten, Madagaskar)
- Patapius Horváth, 1912 (7 Arten, Südeuropa, Afrika, Asien, eine Art als Neozoon eingebürgert in Nord- und Südamerika und Japan)
- Valleriola Distant, 1904 (9 bis 11 Arten, Afrika, Asien, Australien, Neukaledonien). An Felsen[3]
Die südeuropäischen Gattungen können wie folgt unterschieden werden:[7] Bei Erianotus ist nur das erste Antennensegment verdickt, die übrigen sind dünn und fadenförmig, bei den anderen beiden Gattungen sind es die ersten beiden. Bei Patapius sind die Komplexaugen bedornt, bei Leptopus unbedornt.
In Deutschland gibt es nur eine Art: Leptopus marmoratus[2].
Einzelnachweise
- ↑ a b c Randall T. Schuh, James Alexander Slater (1995): True Bugs of the World (Hemiptera:Heteroptera): Classification and Natural History. Cornell University Press. ISBN 978-0-8014-2066-5. S. 142–145.
- ↑ a b Ekkehard Wachmann, Albert Melber, Jürgen Deckert (2006): Wanzen: Dipsocoromorpha, Nepomorpha, Gerromorpha, Leptopodomorpha, Cimicomorpha (Wanzen, Band 1). In Friedrich Dahl (Begründer): Die Tierwelt Deutschlands, Band 77. Goecke & Evers Verlag, Keltern. ISBN 978-3-931374-49-5
- ↑ a b Australian Faunal Directory. Abgerufen am 20. März 2018 (englisch).
- ↑ a b Ryan C. McKellar & Michael S. Engel (2013): The first Mesozoic Leptopodidae (Hemiptera: Heteroptera: Leptopodomorpha), from Canadian Late Cretaceous amber. Historical Biology 26 (6): 1–8. doi:10.1080/08912963.2013.838753
- ↑ Randall T. Schuh, John T. Polhemus (1980): Saldolepta kistnerorum, New Genus and New Species from Ecuador (Hemiptera, Leptopodomorpha), the Sister Group of Leptosalda chiapensis. American Museum Novitates 2698. 5 Seiten.
- ↑ Randall T. Schuh, Bella Galil, John T. Polhemus (1987): Catalog and Bibliography of Leptopodomorpha (Heteroptera). Bulletin of the American Museum of Natural History, 185 (3): 243–406.
- ↑ M. Baena & M.A. Vazquez (1985): Los Leptopodidos de España (Hemiptera Heteroptera). Boletim da Sociedade Portuguesa de Entomologia, 2(1): 193–202.
