Kastell Urspring
| Kastell Urspring | |
|---|---|
| Alternativname | Ad Lunam |
| Limes | ORL 66a (RLK) |
| Strecke (RLK) | Alblimes |
| Datierung (Belegung) | 75/85 n. Chr.[1] bis 155/165 Vicus bis Mitte des 3. Jh. |
| Typ | Kohortenkastell |
| Einheit | unbekannte Kohorte |
| Größe | 135 m × 132,5 m = 1,79 ha |
| Bauweise | a) Holz-Erde-Lager b) Steinkastell |
| Erhaltungszustand | sichtbare Geländeverformungen |
| Ort | Lonsee-Urspring |
| Geographische Lage | 48° 33′ 0″ N, 9° 54′ 2,5″ O |
| Vorhergehend | Kastell Donnstetten (westlich) Kastell Gomadingen (Westsüdwest) |
| Anschließend | Kastell Heidenheim (Ostnordost) |
Das Kastell Urspring, in der Antike Ad Lunam genannt, war ein römisches Militärlager des Alblimes. Es liegt mit dem zugehörigen Kastellvicus als Bodendenkmal unter den Äckern östlich von Urspring, einem Ortsteil der Gemeinde Lonsee im baden-württembergischen Alb-Donau-Kreis.
Lage

(Ausgrabungen 1904)
Das Kastell Ad Lunam befindet sich unter den landwirtschaftlich genutzten Flächen rund 500 m nordöstlich der heutigen Ortschaft Urspring und etwa 250 m östlich des Quelltopfs der Lone. Das Areal in den Fluren „An der Herberg“, „Herberge“ und „Guckele“[2] liegt rund 30 m oberhalb der Sohle des Lonetals an einem stark nach Süden geneigten Hang. Die sich noch wallartig rings um den Kastellplatz abzeichnenden Bauschutthügel der ehemaligen Wehrmauer haben dem Platz den Namen „Ringäcker“ gegeben.

In antiker Zeit lag die Fortifikation hier in einer verkehrsgeographisch und strategisch bedeutenden Position. Unmittelbar unterhalb des Kastellplatzes befand sich ein wichtiger Knotenpunkt römischer Straßen. Von der Alblimesstraße, die von Clarenna (Kastell Donnstetten) aus kommend nach Aquileia (Kastell Heidenheim) führte und die in dieser Region zumindest vorübergehend ein Teilstück der Fernverbindung von Mogontiacum (Mainz) nach Augusta Vindelicum (Augsburg) bildete, zweigte hier eine Straße nach Guntia (Kastell Günzburg) und Ponione (Kastell Faimingen) ab. Eine weitere Trasse nach Viana (Kastell Unterkirchberg) kann vermutet werden, wenngleich der Nachweis noch aussteht. Dasselbe gilt für eine mögliche, in der älteren Literatur angenommene Verbindung, die über Geislingen an der Steige und durch das Filstal Richtung Neckar führen könnte.[3]
Forschungsgeschichte

Schon 1821 wurden die im Gelände noch sichtbaren Spuren der Kastellanlage von Andreas Buchner beschrieben.[4] Erste archäologische Ausgrabungen erfolgten 1886/87 durch den Altertumsverein Ulm unter der Leitung von O. von Arlt.[5] Hierbei wurden die Wehrmauer, alle Lagerecken, alle Tore sowie im Kastellinneren die Principia und das Horreum untersucht. Diese Grabungen wurden durch die 1904 vom März bis zum Mai stattfindenden systematischen Untersuchungen der Reichs-Limeskommission abgerundet.
Die Arbeiten des Ulmer Vereins und der Reichs-Limeskommission blieben die einzigen umfassenden und großflächigen Grabungen. Ihre 1889 und 1904 erschienenen Publikationen bilden bis heute den wesentlichen Grundstock des Wissens über das römische Urspring.
Ergänzt wurden die Erkenntnisse der beiden Ausgrabungen, als in der zweiten Hälfte des 20. Jahrhunderts große Teile des Vicus und des Gräberfelds überbaut und dadurch für immer zerstört wurden. In dieser Zeit kam es jedoch zu keinen weiteren systematischen wissenschaftlichen Untersuchungen, lediglich Not- und Rettungsgrabungen begleiteten die Baumaßnahmen.[6]
Die Identität des römischen Ursprings mit dem auf der Tabula Peutingeriana verzeichneten Ort Ad Lunam gilt als wahrscheinlich, ist aber noch nicht gänzlich durch entsprechende Inschriftenfunde gesichert. Der Name „Ad Lunam“ leitet sich nicht vom Lateinischen „Luna“ (der Mond) her, sondern bezieht sich auf die latinisierte Form des Flussnamens „Lone“, bedeutet also etwa so viel wie „Bei der Lone“.
Kastell

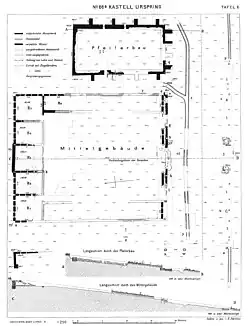
Das Kastell wurde vermutlich in frühdomitianischer Zeit errichtet.[1] Es befand sich in einer stark nach Süden hin abfallenden Hanglage. Das relative Gefälle innerhalb des Lagers betrug 15 %, der absolute Höhenunterschied durchschnittlich 20 m. Das Kastell nahm mit seinen Seitenlängen von 135 m × 132,5 m einschließlich der Umwehrung eine Fläche von knapp 1,8 ha ein. Mit seiner Prätorialfront war es nach Süden, zum Lonetal hin ausgerichtet. Zwei Bauperioden, eine Holzbauphase und eine Steinbauphase konnten nachgewiesen, nicht jedoch zeitlich voneinander abgegrenzt werden.
In seiner ersten Bauphase waren die hölzernen Innenbauten mit einer Holz-Erde-Mauer umwehrt, vor der sich ein einzelner, rund 7,4 m breiter und 2,9 m tiefer Spitzgraben befand. Von den wahrscheinlich vier Toren konnte das Südtor nicht nachgewiesen werden, seine Existenz gilt aber schon aufgrund des Umstandes, dass es sich hierbei um die Porta praetoria (Haupttor) handelt, sowie durch die Lagertopographie als höchst wahrscheinlich. Die Tore waren von je zwei hölzernen Wehrtürmen flankiert. Für Eck- und Zwischentürme liegen keine Hinweise vor.

In der zweiten Bauphase wurde die Holz-Erde-Mauer durch eine viertorige Steinmauer mit abgerundeten Ecken verstärkt. Vor die alte Holz-Erde-Konstruktion, die nunmehr als Vallum (Erdwall) hinter der neuen Bewehrung diente, wurde eine zweischalige Mauer aus weißem Jurakalkstein gesetzt. Durch die neue Mauerkonstruktion und eine zusätzliche Befestigung seiner Innenböschung wurde der alte Graben auf eine Breite von rund 6 m und eine Tiefe von maximal 1,4 m reduziert. An die Stelle der hölzernen Tortürme traten ebenfalls aus Jurakalk errichtete Steintürme. Eck- und Zwischentürme konnten auch für diese Bauphase nicht festgestellt werden.


Von der Innenbebauung des Lagers wurden insgesamt vier Gebäude nachgewiesen. Unmittelbar östlich neben der Principia (Stabsgebäude), die von den frühen Ausgräbern noch mangels besserer Kenntnis als „Mittelgebäude“ bezeichnet worden war, befand sich ein zunächst als „Pfeilerbau“ bezeichnetes Horreum (Getreidespeicher). Die Funktion der beiden anderen Gebäude ist nicht geklärt. Außer dem massiv steinernen Horreum sind die anderen Gebäude in einer kombinierten Stein-Fachwerk-Technik errichtet worden.
Die Principia bedeckt mit ihren Seitenlängen von 31 m × 26 m eine Fläche von rund 800 m² einschließlich des Innenhofes. An ihrer Rückfront befinden sich fünf zwischen 23,8 m² und 28,3 m² große Räume. Der mittlere Raum springt, eine Apsis andeutend, etwa 15 cm aus der Nordfront hervor. Er diente als Sacellum (Fahnenheiligtum, auch Aedes genannt). An der östlichen und westlichen Seite der Principia befanden sich zwei lang gestreckte Hallen, vor ihrer Südfront eine Dachkonstruktion, die an dieser Stelle die Via Principalis überdeckte und hier wohl als Appellhalle diente.
Die Konstruktion des Horreums ruhte auf 90 cm breiten Kalksteinfundamenten und war, außer an seiner Südfront, an drei Seiten mit je vier Strebepfeilern verstärkt. Die Mauern waren mit Lüftungsschlitzen versehen, der Fußboden befand sich hohlliegend über einem Keller, so dass das im Horreum aufbewahrte Getreide vor Feuchtigkeit und Nagetieren weitgehend geschützt war.

Die Funktion eines dritten, in der älteren Literatur als Westbau bezeichneten Gebäudes ist nicht völlig geklärt. Es war ausweislich der darin gefundenen Tubuli (Hohlziegel) und eines Praefurniums (Befeuerungsraum) mit einer Hypokaustanlage versehen. Möglicherweise diente es als Praetorium (Kommandantenwohnhaus), aber auch eine nachkastellzeitliche Benefiziarierstation wurde bei den Interpretationsbemühungen in Erwägung gezogen. Das vierte Gebäude schließlich, das sich zwischen dem „Westbau“ und der Principia befand, entzieht sich völlig der archäologischen Interpretation.
Über die Besatzung des Kastells ist nichts bekannt. Vermutlich dürfte es einer Cohors quingenaria peditata, einer etwa 500 Mann starken Infanterieeinheit als Unterkunft gedient haben. Der Fund eines eisernen Sporns könnte allerdings auch ein Indiz für eine Cohors quingenaria equitata, eine teilberittene, 500 Mann starke Infanterietruppe sein. Die römische Militärpräsenz in Urspring dürfte bis zu Beginn der zweiten Hälfte des ersten nachchristlichen Jahrhunderts bestanden haben. Mit der Vorverlegung des Limes auf die Linie Lorch-Gunzenhausen-Eining wird es seine Bedeutung verloren haben und aufgelassen worden sein. Es wird vermutet, dass die Urspringer Truppe in das zwischen 150 und 160 n. Chr. errichtete Kastell Unterböbingen vorverlegt worden ist.
Vicus


Der Vicus von Urspring, die bei nahezu jedem römischen Militärlager anzutreffende Zivilsiedlung, in der sich Angehörige der Militärs, Händler, Handwerker, Gastwirte und andere Dienstleister niederließen, befand sich südlich des Lagers, im Talgrund der Lone. Sein Kern erstreckte sich ausweislich der Fundkonzentrationen längs der nach Faimingen führenden Straße über eine Länge von etwa 350 m und eine Breite von rund 200 m. Vereinzelte Streu- und Lesefunde sind auch noch in weiterer Entfernung anzutreffen. Insgesamt ist wenig über den Vicus bekannt. Systematische Flächengrabungen fanden nicht statt, während der Baumaßnahmen, die schließlich zu seiner Zerstörung führen sollten, wurden lediglich baubegleitende Not- und Rettungsgrabungen durchgeführt.[6]
Ein in der Flur „Lonetalwiesen“ angeschnittenes, größeres und mit einer Hypokaustanlage versehenes Gebäude kann vermutlich als Kastellbad angesprochen werden. Das einzige bekannte Gräberfeld des Ortes wurde rund 600 m südwestlich des Kastells in der Flur „Taläcker“, am Fuße des „Hägelesberges“ entdeckt. Hier konnten insgesamt 82 Brandgräber untersucht werden, ohne dass die Gesamtausdehnung des Feldes auch nur annähernd erfasst wurde.
Die Zivilsiedlung existierte über das Kastellende hinaus. Zwischen 150 und 175 n. Chr. wurden Teile des Vicus von einer Brandkatastrophe betroffen, die möglicherweise im Zusammenhang mit den Markomanneneinfällen zwischen 166 und 180 n. Chr. stand. Er wurde in kleinerem Umfang wieder aufgebaut und fand sein Ende erst in der Zeit der innen- und außenpolitischen sowie wirtschaftlichen Krise des Imperiums um die Mitte des 3. Jahrhunderts (Limesfall).
Truppe
Über die Besatzung des Kastells ist nichts bekannt. Vermutlich dürfte es einer Cohors quingenaria peditata, einer etwa 500 Mann starken Infanterieeinheit als Unterkunft gedient haben. Der Fund eines eisernen Sporns könnte allerdings auch ein Indiz für eine Cohors quingenaria equitata, eine teilberittene, 500 Mann starke Infanterietruppe sein. Die römische Militärpräsenz in Urspring dürfte bis zu Beginn der zweiten Hälfte des ersten nachchristlichen Jahrhunderts bestanden haben. Mit der Vorverlegung des Limes auf die Linie Lorch-Gunzenhausen-Eining wird es seine Bedeutung verloren haben und aufgelassen worden sein. Es wird vermutet, dass die Urspringer Truppe im Zuge der Grenzverschiebung in das zwischen 150 und 160 n. Chr. errichtete Kastell Unterböbingen kam. Auch dort ist die stationierte Einheit unbekannt. Hans Ulrich Nuber spekulierte mit der Cohors VI Lusitanorum, was sich jedoch bis heute nicht nachweisen lässt.[7]
Denkmalschutz, Befundsicherung und Fundverbleib
Die Bodendenkmale des Kastell und des Vicus von Urspring sind geschützt als eingetragene Kulturdenkmale im Sinne des Denkmalschutzgesetzes des Landes Baden-Württemberg (DSchG). Nachforschungen und gezieltes Sammeln von Funden sind genehmigungspflichtig, Zufallsfunde an die Denkmalbehörden zu melden. Das Kastell befindet sich relativ geschützt unter den landwirtschaftlich genutzten Flächen nördlich der heutigen Ortschaft Urspring. Das Gelände des Vicus ist größtenteils überbaut und zerstört.
Die Funde fanden Aufnahme in den Magazinen des Landesmuseums Württemberg im Alten Schloss in Stuttgart.
Siehe auch
Literatur
- Philipp Filtzinger: Lonsee-Urspring. Kohortenkastell. In: Dieter Planck (Hrsg.): Die Römer in Baden-Württemberg. Konrad Theiss, Stuttgart 2005, ISBN 3-8062-1555-3, S. 179 ff.
- Philipp Filtzinger: Lonsee-Urspring. Kohortenkastell. In: Philipp Filtzinger, Dieter Planck, Bernhard Cämmerer (Hrsg.): Die Römer in Baden-Württemberg. 3. Auflage, Konrad Theiss, Stuttgart 1986, ISBN 3-8062-0287-7, S. 430 ff.
- Jörg Heiligmann: Der „Alb-Limes“. Ein Beitrag zur römischen Besetzungsgeschichte Südwestdeutschlands (= Forschungen und Berichte zur Vor- und Frühgeschichte in Baden-Württemberg. Band 35). Konrad Theiss, Stuttgart 1990, ISBN 3-8062-0814-X, S. 88–101.
- Friedrich Hertlein: Die Geschichte der Besetzung des römischen Württemberg (= Die Römer in Württemberg. Teil 1). Kohlhammer, Stuttgart 1928, S. 40 f., 43, 94, 98 f.
- Friedrich Hertlein und Peter Goessler: Die Strassen und Wehranlagen des römischen Württemberg (= Die Römer in Württemberg. Teil 2). Kohlhammer, Stuttgart 1930, S. 216 f., 238, 240, 244 f., 252, 254.
- Oscar Paret: Die Siedlungen des Römischen Württembergs (= Die Römer in Württemberg. Teil 3). Kohlhammer, Stuttgart 1932, S. 23, 55, 184, 230 f., 245, 253, 255, 387.
Grabungsbericht der Reichs-Limeskommission:
- E. Fabricius, Th. Drück, J. Jacobs, Friedrich Leonhard, Paul Wilski in der Reihe Der obergermanisch-raetische Limes des Roemerreiches (Hrsg. Ernst Fabricius, Felix Hettner, Oscar von Sarwey): Abteilung B, Band 6, Kastell Nr. 66a (1904).
Anmerkungen
- ↑ a b Die Datierung des Kastells wird in der Literatur kontrovers diskutiert. Während Filtzinger eine Kastellgründung „bald nach dem Bau der Rhein-Donau-Straße von Straßburg/Argentorate und Rottweil/Arae Flaviae nach Tuttlingen“, also unmittelbar nach 74 n. Chr. annimmt (Philipp Filtzinger: Lonsee-Urspring. Kohortenkastell. In: Philipp Filtzinger, Dieter Planck, Bernhard Cämmerer (Hrsg.): Die Römer in Baden-Württemberg. 3. Auflage, Konrad Theiss, Stuttgart 1986, ISBN 3-8062-0287-7, S. 430 und Philipp Filtzinger: Lonsee-Urspring. Kohortenkastell. In: Dieter Planck (Hrsg.): Die Römer in Baden-Württemberg. Römerstätten und Museen von Aalen bis Zwiefalten. Konrad Theiss, Stuttgart 2005, ISBN 3-8062-1555-3, S. 179), legt Jörg Heiligmann: Der „Alb-Limes“. Ein Beitrag zur römischen Besetzungsgeschichte Südwestdeutschlands. Konrad Theiss, Stuttgart 1990, ISBN 3-8062-0814-X, S. 101, seinen frühesten Datierungsansatz in die Regierungszeit des Titus (79 bis 81 n. Chr.) und schließt auch eine domitianische oder gar frühtrajanische Gründung nicht aus.
- ↑ Philipp Filtzinger: Lonsee-Urspring. Kohortenkastell. In: Dieter Planck (Hrsg.): Die Römer in Baden-Württemberg. Römerstätten und Museen von Aalen bis Zwiefalten. Konrad Theiss, Stuttgart 2005, ISBN 3-8062-1555-3, S. 179.
- ↑ ORL B, 1904, S. 27 f.
- ↑ J. Andreas Buchner: Reisen auf der Teufelsmauer. Eine Untersuchung über Entstehung, Lage, Richtung und Überbleibsel der römischen Grenzwälle gegen Deutschland. Heft 2. Eggensperger, Regensburg 1821. S. 92 f.
- ↑ O. von Arlt: Das Castrum bei Urspring. In: Württembergische Vierteljahreshefte für Landesgeschichte. Band 12, 1889, S. 17 ff.
- ↑ a b Publiziert in: Gesellschaft für Vor- und Frühgeschichte in Württemberg und Hohenzollern (Hrsg.): Fundberichte aus Schwaben. Neue Folge 16. Schweizerbart, Stuttgart 1962 und Fundberichte aus Schwaben. Neue Folge 18/II. Schweizerbart, Stuttgart 1967, sowie in: Landesdenkmalamt Baden-Württemberg (Hrsg.:) Fundberichte aus Baden-Württemberg 2/1975. Konrad Theiss, Stuttgart 1976 und Fundberichte aus Baden-Württemberg 5/1980. Konrad Theiss, Stuttgart 1981.
- ↑ Hans Ulrich Nuber: Schwäbisch Gmünd in frühgeschichtlicher Zeit. In: Geschichte der Stadt Schwäbisch Gmünd. Konrad Theiss, Stuttgart 1984, ISBN 3-8062-0399-7, S. 38.