Kaimangraben


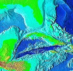
Der Kaimangraben ist eine bis 7680 m tiefe und 965 km lange Tiefseerinne im Karibischen Meer, einem westlichen Randmeer des Atlantischen Ozeans (Atlantik).
Geographie
Als Teil der Karibik befindet sich der Kaimangraben zwischen den Kaimaninseln im Norden, dem südöstlichen Kuba im Nordosten, Haiti im Osten, Jamaika im Südosten, Honduras und dem Golf von Honduras im Südwesten und dem Yucatanbecken im Westen und Nordwesten. Dort liegt er zwischen etwa 17 und 20° nördlicher Breite sowie 75 und 87° westlicher Länge.
Geologie
Der Kaimangraben bildet den nordwestlichen Teil der tief eingeschnittenen Nahtstelle von Nordamerikanischer Platte im Nordwesten und Karibischer Platte im Südosten.