Atlantische Hurrikansaison 2021
![]() Alle Stürme der Saison | |
| Bildung des ersten Sturms |
22. Mai 2021 |
|---|---|
| Auflösung des letzten Sturms |
7. November 2021 |
| Stärkster Sturm | Sam – 927 hPa (mbar), 135 kn (250 km/h) |
| Tropische Tiefs | 21 |
| Stürme | 21 |
| Hurrikane | 7 |
| Schwere Hurrikane (Kat. 3+) | 4 |
| Opferzahl gesamt | 103 |
| Gesamtschaden | ~ ? |
| Atlantische Hurrikansaison 2019, 2020, 2021, 2022, 2023 | |
Die Atlantische Hurrikansaison 2021 begann offiziell am 1. Juni 2021 und endete ebenfalls offiziell am 30. November 2021. In diesem Zeitraum des Jahres bilden sich üblicherweise im nördlichen Atlantischen Ozean die meisten Hurrikane, da nur dann geeignete Bedingungen wie ein erwärmter Ozean, feuchte Luft und wenig Windscherung vorherrschen, welche die Bildung tropischer Wirbelstürme ermöglichen. Seit Beginn der Atlantischen Hurrikansaison 2017 kann das National Hurricane Center (NHC) Warnungen zu Störungen herausgeben, die noch keine tropischen Eigenschaften aufweisen, bei denen für eine tropische Zyklogenese jedoch ein hohes Potenzial besteht und innerhalb von 48 Stunden Sturm- oder Hurrikanbedingungen für bewohnte Gebiete erwartet werden. Solche Systeme werden als Potential tropical cyclone bezeichnet („potentielle tropische Zyklone“).[1][2]
Das NHC begann ab diesem Jahr bereits am 15. Mai mit der Ausgabe regelmäßiger Tropical Weather Outlooks, also zwei Wochen früher als zuvor. Die Änderung erfolgte, weil sich in den vergangenen sechs Jahren Stürme vor dem offiziellen Start der Hurrikansaison gebildet haben.[3]
Saisonvorhersagen
| Quelle | Datum | benannte Stürme |
Hurrikane | schwere Hurrikane | |
| Durchschnitt (1991–2020) | 14,4 | 7,2 | 3,2 | [4] | |
| höchste aufgezeichnete Aktivität | 30 | 15 | 7 | [2] | |
| niedrigste Aktivität | 4 | 2† | 0† | [2] | |
| ––––––––––––––––––––––––––––––––––––––––––––––––––––––– | |||||
| TSR | 9. Dezember 2020 | 16 | 7 | 3 | [5] |
| CSU | 8. April 2021 | 17 | 8 | 4 | [6] |
| TSR | 13. April 2021 | 17 | 8 | 3 | [7] |
| UA | 13. April 2021 | 18 | 8 | 4 | [8] |
| NCSU | 4. April 2021 | 15–18 | 7–9 | 2–3 | [9] |
| TWC | 15. April 2021 | 18 | 8 | 3 | [10] |
| TWC | 13. Mai 2021 | 19 | 8 | 4 | [11] |
| ––––––––––––––––––––––––––––––––––––––––––––––––––––––– | |||||
| tatsächliche Aktivität |
21 | 7 | 4 | ||
| ––––––––––––––––––––––––––––––––––––––––––––––––––––––– | |||||
| † letzte Saison mit diesem Wert | |||||
Vor und während der Saison sagen mehrere nationale Wetterdienste und wissenschaftliche Institute voraus, wie viele benannte Stürme, Hurrikane und schwere Hurrikane – also Kategorie 3 und höher auf der Saffir-Simpson-Hurrikan-Windskala – sich während der Saison bilden bzw. sich in einem bestimmten Land auswirken. Zu diesen Agenturen gehören das Tropical Storm Risk (TSR) Consortium of University College London, das britische Met Office, die National Oceanic and Atmospheric Administration (NOAA) und die Colorado State University (CSU).
Die NOAA stuft einen Saisonverlauf als überdurchschnittlich, nahezu normal oder unterdurchschnittlich ein, indem sie die erwarteten Zahlen für benannte Stürme, die Zahl der erwarteten Hurrikane und die Zahl der schweren Hurrikane sowie den erwarteten ACE-Index mit den Durchschnittswerten der Vergleichsperiode vergleicht.[12] Ab 2021 ist diese Vergleichsperiode der Zeitraum der 30 Jahre zwischen 1991 und 2020. Nach den Angaben von NOAA und CSU bildeten sich in diesem Zeitraum 14,4 tropische Stürme, 7,2 Hurrikane und 3,2 schwere Hurrikane (zuvor: 1981–2010: 12,1 tropische Stürme, 6,4 Hurrikane und 2,7 schwere Hurrikane), und der Index der Accumulated Cyclone Energy (ACE) bewegt sich zwischen 72 und 111.[5]
Grob gesprochen ist der ACE eine Maßzahl für die Stärke eines tropischen oder subtropischen Sturms, die mit der Dauer seines Bestehens multipliziert wird. Dabei werden nur die vollwertigen Sturmwarnungen (alle sechs Stunden) eines Systems berücksichtigt, bei denen die Windgeschwindigkeit 35 Knoten erreicht oder überschreitet.[4] Die NOAA stuft eine Saison normalerweise nur in Bezug auf die ACE als überdurchschnittlich, durchschnittlich oder unterdurchschnittlich aktiv ein und berücksichtigt die tatsächliche Zahl tropischer Stürme, Hurrikane und schwerer Hurrikane nur nebenbei.[4]
Vor Beginn der Saison
Am 9. Dezember 2020 veröffentlichte Tropical Storm Risk (TSR), ein Zusammenschluss von Experten für Versicherung, Risikomanagement und jahreszeitliche Klimaprognosen am University College London, eine längerfristige Prognose, die von einer leicht überdurchschnittlich aktiven Saison ausging. Demnach erwartete TSR die Bildung von 16 benannten Stürmen, darunter 7 Hurrikane und davon 3 schwere Hurrikane sowie einen ACE-Index von 127. TSR berief sich auf die erwartete Bildung einer schwachen La Niña während des dritten Quartals 2021 als bestimmender Faktor hinter der Vorhersage.[5]
Die CSU veröffentlichte ihre erste Saisonvorhersage am 8. April 2021 mit einem überdurchschnittlichen Saisonverlauf mit 17 benannten Stürmen, acht Hurrikanen und vier schweren Hurrikanen sowie einem ACE-Index um 150 und berief sich auf der Unwahrscheinlichkeit eines El Niño und überdurchschnittlich warmen Meeresoberflächentemperaturen (englisch: sea surface temperature; SST) im subtropischen Atlantik.[6] TSR aktualisierte seine Vorhersage am 13. April auf eine Saison mit 17 benannten Stürmen, acht Hurrikanen und drei schweren Hurrikanen sowie einem ACE von 134.[7] Am selben Tag veröffentlichte die University of Arizona (UA) ihre Saisonprognose einer überdurchschnittlichen Hurrikanaktivität mit 18 Stürmen, acht Hurrikanen und vier schweren Hurrikanen sowie dem ACE-Wert 137.[8] Die North Carolina State University (NCSU) machte ihre Vorhersage für die Saison am 14. April. Die NCSU ging von einer überdurchschnittlichen Saison mit 15 bis 18 benannten Stürmen, sieben bis neun Hurrikanen und zwei bis drei schweren Hurrikanen aus.[9] Am 13. Mai veröffentlichte The Weather Company (TWC) eine Vorhersage mit 19 benannten Stürmen, acht Hurrikanen und vier schweren Hurrikanen.[11]
Saisonübersicht

Systeme
Tropischer Sturm Ana
| Tropischer Sturm | |||
|---|---|---|---|
| |||
| Dauer | 22. Mai – 24. Mai | ||
| Intensität | 40 kn (75 km/h) (1-minütig), 1006 hPa | ||
Am 22. Mai 2021 bildete sich im Atlantik nordöstlich von Bermuda der subtropische Sturm Ana. Damit ist die Saison 2021 die siebte in Folge, bei der der erste Sturm vor dem offiziellen Beginn der Hurrikansaison am 1. Juni entstand. Ana gilt zudem als einzigartig, da im Mai im Nordatlantik üblicherweise keine tropischen bzw. subtropischen Stürme entstehen.[13] In dieser Meeresregion gab es seit mindestens 1950 keinen einzigen Sturm, der sich vor dem offiziellen Beginn der Saison bildete.[14] Für gewöhnlich bilden sich Mai-Stürme nur im Golf von Mexiko, der westlichen Karibik oder an der Südostküste der Vereinigten Staaten.[13]
Am 23. Mai wandelte sich Ana zu einem tropischen Sturm.[15] Einige Stunden später noch am selben Tag schwächte sich Ana zu einem tropischen Tief ab.[16] Am frühen Morgen des 24. Mai wurde das Tief zu einem posttropischen Zyklon erklärt.[17]
Tropischer Sturm Bill
| Tropischer Sturm | |||
|---|---|---|---|
| |||
| Dauer | 14. Juni – 15. Juni | ||
| Intensität | 50 kn (95 km/h) (1-minütig), 998 hPa | ||
Am 14. Juni 2021 bildete sich im Atlantik vor der Küste von North Carolina das tropische Tief Zwei. Es bewegte sich zu diesem Zeitpunkt in nordöstliche Richtung. Warnungen wurden keine herausgegeben.[18] Am späten Abend des 14. Juni wurde das Tief zum Tropischen Sturm Bill heraufgestuft.[19] Die Rückstufung zu einem extra-tropischen Tief erfolgte am späten Abend des 15. Juni.[20]
Tropischer Sturm Claudette
| Tropischer Sturm | |||
|---|---|---|---|
| |||
| Dauer | 19. Juni – 22. Juni | ||
| Intensität | 40 kn (75 km/h) (1-minütig), 1004 hPa | ||
Am 17. Juni 2021 begann das National Hurricane Center Warnungen bezüglich des potentiellen Tropischen Sturms Drei herauszugeben. Bei diesem System, das im Golf von Mexiko entstand, handelte es sich zunächst noch nicht um einen voll ausgebildeten tropischen Wirbelsturm. Eine Entwicklung zum Tropensturm wurde erwartet.[21] Am 18. Juni betrug die Windgeschwindigkeit des Systems 35 Knoten, was einem tropischen Sturm entsprach.[22] Am 19. Juni 2021 traf das System nahe New Orleans auf Land und wurde kurz nach Landfall zum Tropischen Sturm Claudette erklärt. Anschließend sorgte das System über Louisiana und Mississippi für schwere Niederschläge bis über 250 Liter pro Quadratmeter. Zudem kam es zu einer Flutwelle, die lokal mehr als 1,50 Meter Höhe besaß, und zu Windschäden. Zudem bildete sich ein Tornado, der eine Wohnwagensiedlung in Alabama verwüstete.[23] Infolge des Sturms kamen 14 Menschen ums Leben, darunter 9 Kinder, die in einen Massenunfall infolge überfluteter Straßen verwickelt wurden.[24]
Anschließend zog Claudette, die über Land zwischenzeitlich zu einem tropischen Tief herabgestuft wurde, nach North Carolina und von dort aus in den Atlantischen Ozean. Noch über Land wurde das System wieder zu einem Tropischen Sturm heraufgestuft. Aus meteorologischer Sicht gilt Claudette als einzigartig, da es erst nach Landfall zum Tropischen Sturm erklärt wurde und sich später noch vor der Rückkehr über Wasser wieder zum Sturm intensivierte.[25]
Am 22. Juni wandelte sich der Sturm über dem Atlantik zu einem Tiefdrucktrog um.[26]
Tropischer Sturm Danny
| Tropischer Sturm | |||
|---|---|---|---|
| |||
| Dauer | 28. Juni – 29. Juni | ||
| Intensität | 40 kn (75 km/h) (1-minütig), 1009 hPa | ||
Am 28. Juni 2021 bildete sich vor der Küste von South Carolina das tropische Tief Vier. Es bewegte sich zu diesem Zeitpunkt in westnordwestliche Richtung auf die Küste zu. Für Teile von South Carolina wurde eine Tropensturmwarnung herausgegeben.[27] Wenige Stunden später am selben Tag wurde das Tief zum Tropischen Sturm Danny heraufgestuft.[28] Am Abend des 28. Juni traf das System in South Carolina auf Land und schwächte sich darauf zum tropischen Tief ab.[29] Am 29. Juni löste sich das System dann über Land auf.[30]
Hurrikan Elsa
| Kategorie-1-Hurrikan | |||
|---|---|---|---|
| |||
| Dauer | 30. Juni – 9. Juli | ||
| Intensität | 75 kn (140 km/h) (1-minütig), 991 hPa | ||
Am 30. Juni 2021 begann das National Hurricane Center Warnungen bezüglich des potentiellen Tropischen Sturms Fünf herauszugeben. Bei diesem System handelte es sich zunächst noch nicht um einen voll ausgebildeten tropischen Wirbelsturm.[31] Am 1. Juli 2021 wurde das System zum Tropischen Sturm Elsa hochgestuft. Elsa ist der früheste fünfte Sturm seit Beginn der Aufzeichnungen. Er bewegte sich in Richtung Karibik. Für Barbados, Martinique, St. Lucia, St. Vincent, die Grenadinen, Saba und Sint Eustatius wurden Tropensturmwarnungen herausgegeben.[32][33] Später wurde die Tropensturm-Warnung auf die Südküste der Dominikanischen Republik und Haiti ausgeweitet.[34]
Am 2. Juli wurde Elsa zum Hurrikan hochgestuft und eine Hurrikan-Warnung für Barbados, St. Vincent, die Grenadinen und St. Lucia ausgegeben.[35] Am selben Tag zog Elsa als Kategorie-1-Hurrikan nahe an St. Vincent und den Grenadinen vorbei, die von dem Hurrikan schwer in Mitleidenschaft gezogen wurden.[36] Am 3. Juli wurde Elsa, als sich der Sturm südlich der Insel Hispaniola befand, zum Tropensturm heruntergestuft. Für östliche Provinzen Kubas wurde eine Tropensturmwarnung herausgegeben. Für Teile von Hispaniola und Jamaika wurden 100 bis 200 Liter Niederschlag prognostiziert, lokal bis 375 Liter.[37]
Elsa zog am 3. und 4. Juli nahe an der Dominikanischen Republik, Haiti und Jamaika vorbei und führte dort mit starken Winden und großen Niederschlägen zu Schäden. In der Dominikanischen Republik starben am 3. Juli zwei Menschen, als zwei Häuser unter den Windlasten zusammenbrachen.[38] Zuvor hatte es bereits einen Todesfall in St. Lucia gegeben.[39] In Barbados meldeten mehr als 1100 Betroffene Schäden an Gebäuden, mindestens 62 Wohnhäuser wurden komplett zerstört. Anschließend nahm Elsa leicht abgeschwächt Kurs auf Kuba. Dort wurden vor Eintreffen des Sturms mehr als 180.000 Menschen evakuiert, wobei diese sowohl in Notunterkünften, bei Verwandten und sogar in Gebirgshöhlen Schutz suchten. Erwartet wird ein Tagesniederschlag bis zu 380 Liter Regen pro Quadratmeter.[40]
Weitere Vorbereitungen auf den Sturm wurden in Florida getroffen. Unter anderem wurden dort die noch stehenden Überreste des teilweise eingestürzten Hochhauses in Surfside bei Miami kontrolliert gesprengt, um einen gefährlichen unkontrollierten Einsturz durch den Sturm zu vermeiden. Die Sucharbeiten nach weiteren Verschütteten mussten hierfür zeitweilig eingestellt werden.[41]
Am Nachmittag des 5. Juli traf Elsa in Kuba auf Land.[42] Im weiteren Verlauf brachte er südöstlich von Key West ein von Kuba kommendes Boot mit 22 Menschen an Bord zum Kentern, von denen mit Stand 7. Juli noch neun Menschen vermisst wurden.[43]
Nach dem Zug über Kuba, während dem sich der Sturm temporär etwas abgeschwächt hatte, gelangte Elsa in den Golf von Mexiko, in dem er sich wieder zu stärken begann. Der Sturm brachte neben Windgeschwindigkeiten in Tropensturmstärke große Mengen Regen über die Florida Keys und weitere Teile Floridas. In Miami an der Atlantikküste Floridas fielen bis zum Nachmittag des 6. Juli (deutscher Zeit) mehr als 75 Liter Regen pro Quadratmeter. Für Tampa Bay wurde erstmals seit 2008 wieder eine Hurrikanwarnung im Juli herausgegeben.[44] Auf seinem Zug nach Norden, entlang der Westküste von Florida, verstärkte sich Elsa zeitweise wieder zu einem Kategorie-1-Hurrikan, wurde dann aber wieder zu einem tropischen Sturm herabgestuft.[45]
Am 7. Juli traf der Sturm im Taylor County in Nordflorida, nahe Tallahassee auf Land.[43] Nach diesem Landfall zog Elsa über Florida, Georgia, South und North Carolina und weitere Ostküstensstaaten bis über New York, bevor er am 9. Juli ca. 30 km westlich von Plymouth zum posttropischen Sturm[46] erklärt wurde. Der Sturm brachte große Regenmengen mit, unter anderem wurden in New York City mehrere U-Bahn-Stationen und Hauptverkehrsstraßen überflutet. In mehreren Bundesstaaten gab es Tornadowarnungen, auf einer US-Militärbasis wurden durch einen möglichen Tornado 10 Personen verletzt. In Florida wurde eine Person durch einen umstürzenden Baum getötet.[47]
Auch als posttropischer Sturm brachte Elsa noch schwere Niederschläge über den Osten Kanadas. In Nova Scotia gab es zudem mehr als 50.000 Stromausfälle, nachdem Stromleitungen von Vegetation beschädigt wurden.[48]
Mit einer Zuggeschwindigkeit von 31 mph (ca. 50 km/h) stellte Elsa zudem einen neuen Rekord für den sich am schnellsten bewegenden Hurrikan innerhalb der Tropen auf.[49]
Tropischer Sturm Fred
| Tropischer Sturm | |||
|---|---|---|---|
| |||
| Dauer | 11. August – 18. August | ||
| Intensität | 55 kn (100 km/h) (1-minütig), 993 hPa | ||
Am 9. August 2021 begann das National Hurricane Center Berichte über einen Potentiellen tropische Wirbelsturm Sechs herauszugeben.[50] Am Morgen des 11. August (UTC) ernannte das NHC das System zum Tropischen Sturm Fred.[51] Am selben Tag traf Fred in der Dominikanischen Republik auf Land. Dort waren 50 bis 100 Liter Regen je m² angekündigt, lokal bis 150 Liter. Zuvor hatte der Sturm bereits auf Puerto Rico schwere Regenfälle verursacht; zudem waren dort ca. 13.000 Kunden von einem Stromausfall betroffen.[52] Nach dem Zug über Hispaniola schwächte sich Fred zu einem tropischen Tief ab[53] und degenerierte am 14. August zu einer tropischen Welle. Am 15. August verstärkte er sich wieder zu einem tropischen Sturm. In Florida wurde vorbeugend der Notstand ausgerufen.[54]
Am 16. August traf Fred als starker Tropensturm bei Cape San Blas im Florida Panhandle mit Windgeschwindigkeiten von 100 km/h auf Land. Das National Hurrican Center warnte vor lebensbedrohlichen Überflutungen; erwartet wurden Regenfälle von 200 Litern/m², lokal bis etwa 300 Liter/m². Zudem wurde vor einer Sturmflut, die an manchen Teilen der Küste bis ca. 1,5 Meter Höhe betragen kann, gewarnt.[55]
Nach dem Landfall schwächte sich Fred zum tropischen Tief ab und zog über Alabama und Georgia nordwärts. Neben schweren Regenfällen von teils über 150 Litern pro Quadratmetern, die auch zu überfluteten Straßen führten, riss er auch Bäume um und verursachte ersten Berichten zufolge auch mehrere Tornados, die allerdings nur geringe Schäden verursachten.[56] Insgesamt wurden nach vorläufigen Daten Berichte über 16 Tornados gemeldet. Die größte Regenmenge fiel in Vernon (Florida), wo mehr als 280 Liter Niederschlag gemessen wurden.[57]
Am 18. August wurde Fred über dem westlichen Pennsylvania zu einer posttropischen Zyklone.[57]
Mindestens fünf Personen starben infolge einer Sturzflut in Cruso (North Carolina), die mindestens 225 Gebäude zerstörte. Alleine in dieser Ortschaft gingen Behörden von mindestens 300 Mio. Dollar an Schäden aus. In Haywood County trat ein Fluss über die Ufer, nachdem die Überreste von Fred ca. 250 Liter Niederschlag gebracht hatten.[58]
Hurrikan Grace
| Kategorie-3-Hurrikan | |||
|---|---|---|---|
| |||
| Dauer | 13. August – 21. August | ||
| Intensität | 110 kn (205 km/h) (1-minütig), 962 hPa | ||
Am 13. August 2021 begann das National Hurricane Center Berichte über einen potentiellen tropischen Wirbelsturm "Sieben" herauszugeben. Am selben Tag gab die Regierung von Antigua und Barbuda eine Sturmwarnung für Antigua, Barbuda, St. Kitts und Nevis und Montserrat und die niederländische Regierung für Saba und Sint Eustatius, die französische für St. Martin und St. Barthelmy, sowie die Regierung von Sint Maarten für Sint Maarten heraus.[59] Am Morgen des 14. August 2021 wurde „Seven“ zum Tropensturm heraufgestuft und bekam den Namen „Grace“. Zudem wurden Sturmwarnungen für die U.S. Virgin Islands und Puerto Rico, einschließlich Vieques und Culebra herausgegeben.[60] Am 15. August 2021 schwächte sich das System südlich von Puerto Rico zum tropischen Tief ab.[61]
Unter anderem verursachte Grace schwere Regenfälle auf Hispaniola, darunter auch in den Teilen Haitis, die kurz zuvor von einem schweren Erdbeben der Magnitude 7,2 getroffen wurden, bei dem nach ersten Schätzungen rund 1300 Menschen ums Leben kamen. Gewarnt wurde vor großflächig auftretenden Regenmengen von 125 bis 250 Liter/m², mit lokalen Werten bis ca. 375 Litern/m². Da Haiti stark entwaldet ist, ist es besonders anfällig für Schlammlawinen und Erdrutsche infolge starker Regenfälle.[62] In der Dominikanischen Republik fielen rund 250 Liter Regen pro Quadratmeter, mindestens 558 Wohnhäuser wurden durch Schlammlawinen und Wassermassen beschädigt. In Trinidad starb eine Person infolge eines Erdrutsches.[57]
Nach dem Zug über Haiti verstärkte sich Grace auf seinem Weg Richtung Jamaika und der mexikanischen Halbinsel Yucatán am Morgen des 17. August wieder zu einem tropischen Sturm. Erwartet wurde, dass er möglicherweise mit Hurrikanstärke auf Yucatán träfe. Für Jamaika, die Cayman-Inseln, Teile Kubas und Yucatán wurden zwischen 75 und 150 Liter Regen pro Quadratmeter erwartet, lokal bis zu 250 Liter.[63]
Am 18. August traf Grace in Jamaika auf Land. Im Osten Jamaikas kam es zur Starkregenfällen und daraus resultierenden Überflutungen, umgeworfenen Bäumen und umgestürzten Strommasten. Am Flughafen Norman Manley International in Kingston wurden binnen 24 Stunden rund 250 Liter Regen pro Quadratmeter gemessen. Etwas später erreichte sie Hurrikanstärke und wurde zum zweiten Hurrikan der Saison.[57]
Am 19. August 2021 traf Grace als Kategorie-1-Hurrikan mit Windgeschwindigkeiten von 130 km/h etwas südlich der mexikanischen Stadt Tulum erneut auf Land. Anschließend schwächte sich Grace zum tropischen Sturm ab. Auf dem mexikanischen Festland verursachte der Hurrikan schwere Niederschläge, zudem waren ersten Berichte zufolge im Bundesstaat Yucatán rund 150.000 Menschen ohne Strom.[64]
Nach Queren der Halbinsel verstärkte sich Grace in der Bucht von Campeche wieder zu einem Kategorie-1-Hurrikan. Anschließend machte Grace eine rapide Intensivierung durch und verstärkte sich zu einem Kategorie-3-Hurrikan, womit Grace der erste schwere Hurrikan der Saison war. Als solcher traf Grace am 21. August mit Windgeschwindigkeiten von 205 km/h in der Nähe von Tecolutla auf Land. Erwartet wurden in Teilen Mexikos Niederschläge zwischen 150 und 300 Litern/m², lokal bis 450 Liter, dazu eine Sturmflut von ca. 2–3 Metern Höhe, die von starken Wellen begleitet werden kann.[65] Nach Landfall schwächte sich Grace ab und löste sich schließlich auf.[66] Ersten Berichten zufolge kamen in Mexiko mindestens acht Menschen ums Leben.[67]
Hurrikan Henri
| Kategorie-1-Hurrikan | |||
|---|---|---|---|
| |||
| Dauer | 15. August – 23. August | ||
| Intensität | 65 kn (120 km/h) (1-minütig), 991 hPa | ||
Am 15. August bildete sich im Atlantik nordöstlich von Bermuda das Tropische Tief Acht.[68] Am 16. August wurde es zum Tropischen Sturm Henri hochgestuft.[69] Am 21. August verstärkte sich der Sturm auf dem Weg nach Neuengland zum Kategorie-1-Hurrikan. Die prognostizierten Niederschlagsmengen lagen bei bis zu 150 Litern pro Quadratmeter, lokal wurden auch 250 Liter für möglich gehalten. Das National Hurricane Center warnte vor Überflutungen. Connecticut rief vorsorglich den Notstand aus[70], auch für Teile von New York wurde der Notstand ausgerufen, u. a. für New York City.[71]
Am 22. August traf Henri etwas abgeschwächt als Tropensturm und begleitet von schweren Regenfällen bei Westerly in Rhode Island auf Land. Der Landfall geschah an der gleichen Stelle, in der einige Wochen zuvor bereits der Tropensturm Elsa an Land gegangen war. In East Windsor Township in New Jersey wurden ca. 200 Liter Niederschlag binnen 24 Stunden verzeichnet, in Brooklyn ca. 150 Liter pro Quadratmeter. Im New Yorker Central Park wurde mit 4,45 Zoll (ca. 113 Liter/m²) binnen 4 Stunden ein neuer Allzeitrekord aufgestellt. Infolgedessen wurden im Großraum New York City zahlreiche Straßen und U-Bahnstationen überschwemmt.[72] Zwischen New Jersey und Maine waren mehr als 135.000 Kunden von Stromausfällen betroffen.[73]
Am 23. August wurde Henri zu einer posttropischen Zyklone, die allerdings weiterhin für schwere Regenfälle sorgte.[74]
Hurrikan Ida
| Kategorie-4-Hurrikan | |||
|---|---|---|---|
| |||
| Dauer | 26. August – 1. September | ||
| Intensität | 130 kn (240 km/h) (1-minütig), 930 hPa | ||
Verlauf
Am 26. August 2021 bildete sich südlich von Kuba das Tropische Tief Neun. Erwartet wurde, dass sich das Tief zum Hurrikan verstärkt und ggf. nach einem Zug über Kuba als solcher an der US-Golfküste an Land geht.[75] Wenige Stunden später verstärkte sich das System und wurde zum Tropischen Sturm Ida erklärt.[76] Am nächsten Tag machte Ida eine rapide Intensivierung durch und verstärkte sich dabei zunächst zu einem starken Tropensturm und schließlich zum Kategorie-1-Hurrikan. Als solcher traf Ida am 27. August auf die zu Kuba zählende Insel Isla de la Juventud[77] und am späten Nachmittag des gleichen Tages mit Windgeschwindigkeiten von bis zu 130 km/h auf die Westspitze der kubanischen Hauptinsel. Am 28. August verstärkte sich Ida zum Kategorie-2-Hurrikan.[78]
Prognosen sahen nach dem Zug über Kuba eine weitere rapide Intensivierung und einen Landfall in Louisiana in der Nähe von New Orleans als schwerer Hurrikan der Kategorie 4. Ursächlich hierfür sind sehr gute Bedingungen für eine Verstärkung: So ist die Atmosphäre im Bereich seiner Zugbahn sehr feucht und die Windscherung nicht allzu groß. Die Wassertemperatur ist mit 29 und 31 °C sehr hoch und reicht auch in große Tiefen, wodurch der Sturm sehr viel Energie aus dem Meer ziehen kann.[77] Tatsächlich erreichte er am 29. August kurz vor Sonnenaufgang (Ortszeit) nach Angaben des National Hurricane Center bereits Windgeschwindigkeiten von bis zu 240 km/h, war somit der erste Kategorie-4-Hurrikan dieser Saison und näherte sich der Kategorie 5.[79]

Am 29. August um 1655 UTC, auf den Tag genau 16 Jahre nach Hurrikan Katrina, traf Ida bei Port Fourchon (Louisiana) als Kategorie-4-Hurrikan mit Windgeschwindigkeiten von 240 km/h auf Land.[80] Nur vier Hurrikans in der Geschichte hatten beim Landgang auf das US-amerikanische Festland eine höhere Windgeschwindigkeit.[81] Ida ist der sechste tropische Wirbelsturm, der in der Saison 2021 auf die US-Küste traf. Seine Windgeschwindigkeit lag zudem höher als die von Katrina 16 Jahre zuvor.[82] Ida war zugleich der siebte Hurrikan der Kategorien 3 bis 5, der seit 2017 das US-amerikanische Festland bzw. Puerto Rico traf.[83]
Gegen 1900 UTC traf Ida südwestlich von Galliano mit 235 km/h erneut auf Land.[84] In den folgenden Stunden schwächte sich Ida zunächst nur leicht ab. Vier Stunden nach seinem ersten Landfall war Ida immer noch ein Kategorie-4-Hurrikan mit anhaltender Windgeschwindigkeit von 215 km/h.[85] Erst um 2300 UTC, sechs Stunden nach Landfall, fiel die Windgeschwindigkeit auf 200 km/h und Ida wurde zum Kategorie-3-Hurrikan herabgestuft.[86] Zwischen etwa 0030 und 0100 UTC zog das Auge des Sturms, nordwärts ziehend, in etwa 60 km Abstand von New Orleans westlich an der Großstadt vorbei.[87]
Erst neun Stunden nach Landfall war Ida kein starker Hurrikan der Kategorien 3 und höher mehr[83] und erst 15 Stunden nach Landfall wurde Ida zum Tropensturm. Der Grund dafür, dass er sich so lange als Hurrikan halten konnte, ist der so genannte Brown ocean effect, also der Umstand, dass Ida größtenteils über von der Flutwelle überspültes und damit warmes und sumpfiges Land hinweg zog, und daher aus diesem weiter Energie gewinnen konnte.[88]

Am 30. August um 1800 UTC lag Ida über dem Bundesstaat Mississippi und zog in nordnordöstliche Richtung und brachte weiterhin schwere Regenfälle über das Land[89], bevor sie um 2100 UTC zum tropischen Tief herabgestuft wurde. Das National Hurricane Center warnte aber weiter vor schweren durch das System verursachten Regenfällen von Mississippi, Alabama und dem Florida Panhandle über die Mittelatlantikstaaten bis nach Neuengland.[90] Am 1. September wurde das System außertropisch.[91] Die Überreste des Hurrikans verursachten an der US-Ostküste schwere Regenfälle, die katastrophale Überschwemmungen in verschiedenen Großstädten wie New York City hervorriefen.[92]
Auswirkungen auf Kuba
Für das westliche Kuba und die Isla de la Juventud wurde eine Hurrikanwarnung herausgegeben.[93] Das National Hurricane Center warnte vor schweren Regenfällen in Jamaika, den Cayman Islands und Kuba, die Überflutungen, Erdrutsche und reißende Strömungen produzieren können. Für Jamaika prognostizierte es zwischen 150 und 250 Liter Regen pro Quadratmeter, lokal bis ca. 375 Liter, auf den Caymaninseln und Teilen von Kuba zwischen 200 und 300 Litern, lokal bis 500 Liter.[94] In Kuba wurden vorbeugend tausende Menschen evakuiert und der ÖPNV in Havanna stellte seinen Betrieb ein. Aufgrund der Windgeschwindigkeiten wurden unter anderem Bäume entwurzelt, zudem fiel in manchen Teilen Kubas der Strom aus.[95]
Vereinigte Staaten
Warnungen und Vorbereitungen auf den Sturm
Das National Hurricane Center warnte an der US-Golfküste vor sehr schwerem Regen, einer "lebensgefährlichen Sturmflut", katastrophalen Windböen und sehr lange andauernden Stromausfällen.[96] Es prognostizierte katastrophale Windschäden durch den Hurrikan selbst sowie durch ihn ausgelöste mögliche Tornados sowie Regenfälle zwischen 250 und 450 Litern pro Quadratmeter, wobei lokal auch bis ca. 600 Liter pro Quadratmeter fallen können, die schwere und lebensbedrohliche Überflutungen in städtischen Räumen und an Gewässern auslösen würden. In Louisiana wird zudem eine Sturmflut in Höhe bis etwa 5 Metern Höhe (16 Fuß) erwartet.[97] Dies liegt im Bereich der maximalen Höhe, die die Deichanlage in New Orleans bewältigen kann.[77]
Louisiana rief bereits vor Idas Landfall in Kuba den Notstand aus. Das bedeutet unter anderem die Mobilisierung von 5000 Soldaten der Nationalgarde und die Möglichkeit, Hilfen der Bundesregierung in Washington abrufen zu können. Die Katastrophenschutzbehörde FEMA brachte nach Anweisung von Präsident Biden bereits zahlreiche Einsatzkräfte, Boote und Vorräte nach Louisiana.[98] Weiterhin wurden mobile Generatoren ins Katastrophengebiet gebracht, da ein weitgehender Zusammenbruch des Stromnetzes erwartet wird.[99] Für Grand Isle wurde eine verpflichtende Evakuierungsaufforderung erlassen,[100] ebenso für Teile von Plaquemines Parish sowie die außerhalb der Deichanlagen liegenden Teile von New Orleans. Ebenfalls wurden die Hurricane-Hunters-Maschinen vom Stützpunkt in Biloxi (Mississippi) auf einen nicht gefährdeten Stützpunkt umstationiert.[77]
Der Hurrikan bedrohte zudem den stark industriell geprägten Landstrich zwischen New Orleans und Baton Rouge, der u. a. ein Zentrum der Erdöl-verarbeitenden Industrie ist. In diesem befinden sich dutzende petrochemische Betriebe, laufen diverse Pipelines zusammen, weiterhin liegen in ihm drei der 15 wichtigsten Häfen der Vereinigten Staaten, über die unter anderem zwischen 55 und 70 % der US-Getreideexporte laufen.[101] Gemäß Vorhersage sollte er direkt über Ölraffinerien, Chemiefabriken und den Louisiana Offshore Oil Port ziehen, zudem bedrohte er rund eine Million Wohngebäude.[82] Obwohl Benzin infolge der Vorbereitungen auf den Sturm knapp wurde und dringend benötigt wird, musste die Produktion in der Raffinerie Baton Rouge sowie in weiteren Ölverarbeitungsanlagen aufgrund der Hurrikanwarnung deutlich reduziert werden.[98] Die Öl- und Gasförderung im Golf von Mexiko wurde weitgehend eingestellt. Die Produktion von Gas wurde um 94 % gesenkt, die Erdölförderung gar um 96 % bzw. 1,74 Millionen Barrel/Tag.[102][103] Letztere entspricht etwa 1,5 bis 2 % der aktuellen Welt-Rohölförderung.[104] Zudem liegt das Kernkraftwerk Waterford im bedrohten Gebiet. Dieses ist aufgrund seiner niedrigen Lage grundsätzlich anfällig für Sturmfluten von schweren Hurrikanen, allerdings deuten Prognosen vom 28. August darauf hin, dass die Flutwelle von Ida – abhängig vom genauen Landfallpunkt des Wirbelsturms – nicht ganz bis zum Kraftwerk reichen wird.[101]
Auch tief im Binnenland waren noch große Regenmengen angekündigt, ebenso für die US-Ostküste. Unter anderem warnte das National Hurricane Center vor 100 bis 250 Litern Niederschlag in Pennsylvania, sowie Teilen von West Virginia und Maryland sowie der sich daraus ergebenden Gefahr von Sturzfluten.[105] West Virginia rief am 31. August vor Ankunft des zu diesem Zeitpunkt bereits zum Tropischen Tief abgestuften Hurrikans den Notstand aus.[106] Für manche Regionen der US-Ostküste und der Mittelatlantikstaaten, in denen der Boden bereits durch Hurrikan Elsa wassergesättigt ist und daher kaum noch Wasser aufnehmen kann, wurde vor Jahrhundertregen und schweren Folgen gewarnt.[91]
Erschwert wurden die Vorbereitungen auf den Hurrikan durch die angespannte Lage bei der COVID-19-Pandemie in den Vereinigten Staaten: Sowohl Louisiana als auch New Orleans erlebten einen schweren COVID-19-Ausbruch, der für einen starken Anstieg der Infiziertenzahlen sorgte,[107] wodurch die Krankenhäuser bereits vor dem Eintreffen des Hurrikans nahe an ihrer Kapazitätsgrenze angelangt waren.[108] Aufgrund der vielen stationär behandelten COVID-19-Patienten war es auch nicht möglich, die Krankenhäuser vorsorglich zu evakuieren, da weder in anderen Teilen Louisianas noch in umliegenden Bundesstaaten freie Plätze verfügbar waren.[96] Mehr als 2600 Menschen lagen zu diesem Zeitpunkt in Louisiana mit COVID-19 im Krankenhaus, nur 41 % der Bevölkerung war voll geimpft.[82] Offizielle riefen die Bevölkerung auf, die Notaufnahmen während des Sturms möglichst nicht noch zusätzlich durch Nicht-Notfälle zu belasten.[109] Nachdem infolge des raschen Vorankommens des Sturms, dessen Zentrum sich am frühen Morgen (Ortszeit) des 29. August mit etwa 24 km/h auf Louisianas Küste zubewegte, die Zeit für eine völlige Evakuierung von New Orleans zu knapp erschien und der Treibstoff an einigen Tankstellen ausging, ordnete dessen Bürgermeisterin nur das Verlassen von außerhalb der Deichanlagen befindlicher, gefährdeter Stadtteile an. Dennoch riet sie allen, sichere Orte aufzusuchen.[98]
Auswirkungen
Golfküste
.jpg)
.jpg)
Ida verursachte großflächig schwere Schäden. Die gesamte Schadenssumme wird auf ca. 75 Mrd. US-Dollar taxiert, womit der Hurrikan die bis dato fünftteuerste Wetterkatastrophe in der Geschichte ist. Insgesamt kostete der Sturm 107 Menschen das Leben.[110] Der Gouverneur von Louisiana nannte die Schäden am Tag nach dem Landfall "katastrophal" und erklärte, er befürchte viele Todesopfer. Das genaue Ausmaß der Schäden war zu diesem Zeitpunkt angesichts vieler unpassierbarer Straßen und überfluteter Regionen zunächst aber noch unklar.[111]
Der Hurrikan brachte enorme Regenmengen mit sich und löste eine mehrere Meter hohe Flutwelle aus, die unter anderem dazu führte, dass der Mississippi River etwa drei Stunden flussaufwärts floss.[112] Es kam zu großflächigen Überflutungen sowohl durch die Sturmflut als auch die enormen Regenmengen. Bei Alliance wurden Menschen zur Evakuierung aufgefordert, nachdem ein Deich gebrochen war. Ein weiterer Deich wurde überspült. In Port Fourchon riss der Hurrikan Dächer von Häusern, anderswo wurden Krankenhäuser beschädigt.[113] Die nach dem Hurrikan "Katrina" mit Milliardenaufwand errichteten Hochwasser-Schutzanlagen von New Orleans hielten Ida nach ersten Berichten stand[114], allerdings erlitt die Stadt großflächige Sturmschäden wie geborstene Fenster sowie umgestürzte Bäume und Strommasten. Viel schwerer getroffen wurden hingegen die Gemeinden im Süden und Westen der Stadt, die von dem Sturm überrollt wurden. In der von Ida verwüsteten Ortschaft Lafitte, etwa 30 km südlich von New Orleans, stand das Wasser mehr als 3 Meter hoch, manche Menschen waren im Dachgeschoss gefangen.[88] Der Ortsteil Jean Lafitte konnte aber nicht verlassen werden, da die einzige Brücke durch eine losgerissene und im Wasser treibende Barge zerstört wurde und ein Bootseinsatz aufgrund der starken Strömung zu gefährlich war.[115] Mancherorts harrten Menschen auf Gebäudedächern aus und warteten auf Rettung.[116] Eine Radarmessung ermittelte westlich von New Orleans eine Regenmenge von rund 430 Litern pro Quadratmeter, eine Bodenmessstation bei Slidell maß ca. 400 Liter pro Quadratmeter. Großflächig fielen mehr als 250 Liter.[92] Vier Tage nach dem Sturm waren einige Regionen noch immer nicht für Rettungskräfte zugänglich, da sie weiterhin überflutet waren oder Trümmer und Bäume die Straßen blockierten.[92]
Auch die Grand Isle sowie die Stadt Houma mit ca. 33.000 Einwohnern wurden schwer getroffen. Zwar liegt Houma weiter landeinwärts, allerdings traf Ida Houma noch als Kategorie-4-Hurrikan. Etwas später zog die besonders starke rechte Eyewall des zu diesem Zeitpunkt in die dritte Kategorie eingestuften Hurrikans über den Port of South Louisiana, den größten Massenguthafen der Welt. Die Schäden dort waren einen Tag nach dem Durchzug noch nicht absehbar.
Auch das Kernkraftwerk Waterford wurde getroffen und erlitt leichte Schäden am nicht-nuklearen Teil. Aufgrund des großflächigen Stromausfalls, der auch das Kraftwerk betraf, war es für die notwendige Reaktorkühlung auf seine eigenen Notstromgeneratoren angewiesen.[88] Seine Stromlieferung fiel bis zum 7. September komplett aus.[117] Dann wurde es allmählich wieder hochgefahren und lieferte am 15. September seine volle Leistung.[118]
Verschiedene Chemieunternehmen erlitten Schäden, wodurch teils hochgiftige Chemikalien freigesetzt wurden. In einer Kunstdüngerfabrik trat Ammoniak aus, eine Kunststofffabrik setzte nach dem Stromausfall Ethylendichlorid frei, eine Raffinerie von Royal Dutch Shell hatte ein Wasserstoff-Leck, dazu barsten zwei Pipelines, die Isobutan und Propylen transportierten. Zudem behinderten die Überflutungen sowie der Stromausfall die Überprüfung von 23 in Louisiana gelegenen Giftmülldeponien auf Beschädigungen durch Mitarbeiter der Umweltbehörde EPA.[119]
Nachdem am 26. August Evakuierungen von vor der Golfküste befindlichen Ölplattformen begannen, stiegen die Weltmarkt-Ölpreise ab dem 27. August deutlich an,[120] normalisierten sich im Laufe des 30. August aber weitgehend.[121] Am Hafen Fourchon, einem Drehkreuz der Ölindustrie, wo der Hurrikan an Land ging, gab es schwere Schäden sowohl durch Wind als auch die Sturmflut.[88] Da Port Fourchton nach dem Hurrikan von der Versorgung abgeschnitten war, wurde etwa ein Sechstel der US-Ölindustrie lahmgelegt.[92] Mindestens neun Raffinerien, die etwa 13 % der US-Ölproduktion verarbeiten, fielen infolge des Hurrikans aus oder arbeiteten mit reduzierter Kapazität.[122] Laut einer Meldung vom 14. September waren nur noch 7 % der Rohölverarbeitungskapazitäten hurrikanbedingt außer Betrieb und somit weniger lange, als zunächst befürchtet, ausgefallen.[123][124] Zur gleichen Zeit betrug die tägliche Rohölförderung aber lediglich 40 % im Vergleich zur Zeit vor dem Herannahen von "Ida". Dieser Ausfall entsprach der zu dieser Zeit täglich in Libyen oder Angola geförderten Menge.[125] Durch die Beschädigungen an Industrieanlagen, wie Ölplattformen, Pipelines usw. wurde auch Erdöl in die Umwelt freigesetzt. Die Küstenwache meldete, sie untersuche rund 350 Ölteppiche (Stand 6. September 2021).[126] Ein besonders großer Ölteppich wurde ca. 3 km vor Port Fourchon registriert. Dieser Ölteppich, der von einer geborstenen 12-Inch-Rohölpipeline verursacht wurde, hatte eine Länge von mindestens 16 km und wird von Fachleuten als bedeutende Ölpest eingestuft.[127][128]
Ersten Berichten zufolge waren In Louisiana und Missouri mehr als 1,2 Millionen Haushalte ohne Strom[88], andere Schätzungen gingen von zwei Millionen Betroffenen alleine in Louisiana aus.[122] Auch in ganz New Orleans fiel der Strom aus; Behörden gingen davon aus, dass dieser Stromausfall länger andauern wird, da alle acht Hochspannungsleitungen, die die Stadt versorgen, beschädigt wurden. Neben Katastrophenschutz, Nationalgarde und Tausenden Arbeitern, die die Stromversorgung wiederherstellen sollen, wurden auch mehrere Hundert Bergungsexperten in das Katastrophengebiet entsandt.[112] Erwartet wird, dass es Tage bis Wochen dauern könnte, bis die Stromversorgung in und um New Orleans wieder hergestellt ist. Alleine für die Begutachtung der Schäden am Stromnetz veranschlagte der Betreiber mehrere Tage. Durch den Stromausfall sind auch viele Abwasserpumpen in New Orleans außer Betrieb. Betroffen vom Stromausfall sind ebenfalls die Drainagepumpen, die dafür sorgen sollen, die angefallenen Wassermengen aus der Stadt zu pumpen. Hier wurde versucht, diese mit Notstromgeneratoren in Betrieb zu halten.[129] Das Elektrizitätsunternehmen Entergy, das in Louisiana das Stromnetz betreibt, erklärte einige Tage nach Landfall Idas, der Hurrikan habe 30.679 Strommasten, 36.469 Kabelabschnitte und 5.959 Transformatoren in Louisiana und Mississippi beschädigt. Damit seien durch Ida mehr Strommasten beschädigt worden als durch die Hurrikans Katrina (2005), Ike (2008), Delta und Zeta (2020) zusammen.[130] Insgesamt hatten in 14 Counties mehr als 80 % der Bevölkerung keinen Strom. Für das westlich von New Orleans gelegene Jefferson Parish, wo sich auch dessen Flughafen befindet, schätzten Behörden, dass die Wiederherstellung der Stromversorgung mindestens sechs Wochen in Anspruch nehmen wird. U.a. aufgrund der langfristig zu erwartenden Stromausfälle gehen Analysten von einem Kaskadeneffekt langfristiger Folgen aus, darunter für die Wirtschaft.[88] Die längerfristigen Stromausfälle haben auch insofern gesundheitliche Folgen, da in der Region hohe Temperaturen bei großer Luftfeuchtigkeit herrschen, ohne Strom aber keine Klimaanlagen betrieben werden können. Behörden wiesen die Bevölkerung an, vorerst nicht in die Region zurückzukehren und viel zu trinken.[116] In New Orleans werden mindestens 10 Todesfälle mit der Hitzewelle nach dem Hurrikan sowie der fehlenden Kühlung durch den Stromausfall in Verbindung gebracht.[131]
In New Orleans war der Rettungsdienst zeitweise nicht in der Lage, Einsätze abzuarbeiten.[102] Behindert wurden die Rettungsarbeiten durch Schutt und Trümmer wie abgerissene Dächer und umgeknickte Strommasten sowie umgestürzte Bäume. In Lafourche Parish mussten mehrere beatmete COVID-19-Patienten in ein anderes Stockwerk verlegt werden, nachdem der Strom teilweise ausgefallen war. Dabei musste die Beatmung zeitweise per Hand erfolgen. In anderen Krankenhäusern mussten Patienten verlegt werden, nachdem Ida die Dächer beschädigt hatte.[122]
Die Westseite des Lake Pontchartrain bekam extreme Regenmengen ab und wurde auch von einer starken Flutwelle getroffen. Die nahegelegene Stadt LaPlace mit ca. 33.000 Einwohnern wurde überflutet. In Braithwaite wurden Hunderte Häuser überflutet, nachdem ein Deich überspült worden war.[88] Auch weiter entfernte Regionen erlitten durch die äußeren Regenbänder der Hurrikans noch teils erhebliche Schäden. In Jackson County (Missouri) gingen nach schweren Regenfälle viele Notrufe ein, rund 300 Gebäude, von denen die Hälfte unter Wasser standen, waren durch Überflutungen von der Außenwelt abgeschnitten.[116]
US-Ostküste
.jpg)
.jpg)

Am 2. September, als Ida bereits ein posttropisches System war, verursachte das System schwere Regenfälle an der Ostküste, insbesondere in New York, Connecticut, Massachusetts, Rhode Island und New Hampshire. New York City meldete mit 80 Litern in einer Stunde den intensivsten Regen seit Beginn der Aufzeichnungen; der vorherige Rekord lag bei 49 Litern in einer Stunde und wurde nur wenige Tage zuvor von Hurrikan Henri aufgestellt. Zum ersten Mal in der Geschichte gab National Weather Service (NWS) für New York eine Sturzflutwarnung heraus. Auch in New Jersey wurden U-Bahnlinien und Straßen überflutet.[132] Im Central Park in New York wurden am 1. September rund 180 Liter Niederschlag gemessen, in Newark waren es rund 210 Liter. Solche Niederschlagsmengen werden in der Region nur einmal alle 200 bis 500 Jahre erwartet. Diese Regenmenge traf auf einen bereits gesättigten Boden und an ihrer Kapazitätsgrenze angelangte Flüsse, da New York erst am 21. August durch Hurrikan Henri zwei seiner 20 niederschlagsreichsten Stunden seit Beginn der Aufzeichnungen erlebt hatte.[133] Insgesamt fielen an der US-Ostküste teils deutlich über 200 Liter Regen, wodurch z. B. in New York manche Wohnungen und Straßen einen Meter unter Wasser standen. In mehr als 100.000 Haushalten fiel der Strom aus, der Flugbetrieb im Flughafen Newark wurde eingestellt.[134]
Schwer getroffen wurde auch Pennsylvania, wo ersten Erkenntnissen zufolge binnen 24 Stunden Tausende von Wasserrettungen durchgeführt werden mussten, darunter insbesondere in den Vororten von Philadelphia. In Philadelphia waren zudem Zehntausende Menschen ohne Strom, eine Stadtautobahn wurde überflutet, weiterhin traten Flüsse über die Ufer und überfluteten Straßen.[135] Am 3. September, zwei Tage nach der Flut, galten für 4,5 Millionen Menschen an der Ostküste immer noch Flutwarnungen, insbesondere in New Jersey.[136]
Darüber hinaus kam es zu Tornados, die Teile von Pennsylvania, Maryland und New Jersey trafen und dort Schäden anrichteten.[92] Insgesamt löste Ida Tornados in sechs verschiedenen Bundesstaaten aus, darunter einen Tornado der Kategorie EF3.[83] Schwere Auswirkungen hatte insbesondere ein Tornado in Gloucester County, der Dächer und Fassaden von Häusern zerstörte. In verschiedenen Staaten wie New York und New Jersey wurde der Notstand ausgerufen.[92] Mindestens 52 Menschen starben an der US-Ostküste.[137] Insgesamt wurden vier Hauptursachen für die hohe Zahl an Toten ausgemacht:[133]
- die außergewöhnlichen Regenmengen in verhältnismäßig kurzer Zeit,
- die Anfälligkeit urbaner bzw. bebauter Gebiete für Überflutungen, da dort das Wasser nur schlecht abfließen kann,
- der Umstand, dass es kurze Zeit vorher bereits andere Starkregenereignisse in der Region gegeben hatte, wodurch Flüsse und Böden bereits am Rande ihrer Aufnahmefähigkeit angelangt waren,
- und der Klimawandel, der Starkregen verstärkt.[133]
Kanada
Auch an der Ostküste Kanadas verursachten die Ausläufer von Ida noch schwere Regenfälle. Für Nova Scotia, Prince Edward Island und Teile von New Brunswick, Neufundland und Québec wurden Warnungen herausgegeben. Es kam zu mehreren Stromausfällen.[138] Den stärkste Regen gab es in Charlottetown mit 128,8 Litern pro Quadratmeter. Dies war der höchste Wert, der seit Beginn der Aufzeichnungen im Jahr 1898 in der Region Summerside gemessen wurde.[139]
Tropischer Sturm Kate
| Tropischer Sturm | |||
|---|---|---|---|
| |||
| Dauer | 28. August – 1. September | ||
| Intensität | 40 kn (75 km/h) (1-minütig), 1004 hPa | ||
Am 28. August 2021 bildete sich im Atlantik das Tropische Tief Zehn. Erwartet wird, dass es sich zu einem tropischen Sturm entwickeln wird. Ein Landfall wird nicht prognostiziert.[140] Am 30. August verstärkte sich das System zum Tropischen Sturm Kate.[141] Einen Tag später wurde Kate wieder zum Tropischen Tief herabgestuft.[142] Am 1. September um 2100 UTC wurde Kate zu einem außertropischen System.[143]
Tropischer Sturm Julian
| Tropischer Sturm | |||
|---|---|---|---|
| |||
| Dauer | 29. August – 30. August | ||
| Intensität | 50 kn (95 km/h) (1-minütig), 995 hPa | ||
Am 29. August 2021 bildete sich im zentralen Atlantik etwa auf der Höhe von North Carolina das Tropische Tief Elf. Erwartet wird, dass es sich zu einem tropischen Sturm entwickeln wird. Ein Landfall wird nicht prognostiziert.[144] Am gleichen Tag verstärkte sich das Tief zum Tropischen Sturm Julian.[145] Am 30. August um 0300 UTC wurde das System zu einem extratropischen Sturm.[146]
Hurrikan Larry
| Kategorie-3-Hurrikan | |||
|---|---|---|---|
| |||
| Dauer | 31. August – 11. September | ||
| Intensität | 110 kn (205 km/h) (1-minütig), 958 hPa | ||
Am 31. August 2021 bildete sich vor der Küste Afrikas aus einer tropischen Welle das Tropische Tief Zwölf. Am 1. September wurde es zum tropischen Sturm Larry.[147] Nachdem er am 2. September Hurrikanstärke erreicht hatte, intensivierte sich Larry am 3. September zum Kategorie-2-Hurrikan.[148] Am 4. September wurde Larry als Kategorie-3-Hurrikan zum dritten schweren Hurrikan der Saison.[149] Am 8. September wurde Larry wieder zum Kategorie-2-Hurrikan zurückgestuft, einen Tag später zu einem Hurrikan der Stufe 1. Erwartet wird, dass er östlich an Bermuda vorbeiziehen wird, dort aber keine Hurrikanwindgeschwindigkeiten auftreten werden. Für die Insel wurde eine Tropensturmwarnung herausgegeben. Als Hurrikan mit großem Durchmesser verursachte er zudem an diversen Atlantikküsten hohe Wellen sowie reißende Strömungen, unter anderem auf den karibischen Inseln, den Bahamas, Bermuda und an der Atlantikküste Floridas. Mit weiterem Zug nach wurden ähnliche Wellen- und Strömungen auch an der Ostküste der USA und Kanadas erwartet.[150]
Nachdem Larry zwischen dem 4. und 8. September mit Zuggeschwindigkeiten im oberen einstelligen Knotenbereich nur langsam über den Atlantik zog, beschleunigte er vor der kanadischen Ostküste rasant und überquerte am 11. September als Kategorie-1-Hurikan mit Windgeschwindigkeiten von 70 Knoten den Osten Neufundlands mit einer Zuggeschwindigkeit von 41 Knoten. Auch nach dem Zug über Neufundland blieb Larry noch kurzzeitig ein Kategorie-1-Hurrikan[151], wandelte sich dann aber noch am 11. September in ein außertropisches System.[152] Statistisch trifft nur etwa alle ein bis zwei Jahrzehnte ein Hurrikan auf Neufundland, zuletzt Hurrikan Igor im Jahr 2010. Larry war zudem einer der wenigen Stürme, die noch nördlich des 50. Breitengrad Hurrikanstatus innehatten. Zuletzt war dies Hurrikan Helene im Jahr 1988 gelungen, der 50,3 ° N erreichte. Erst bei 50,7 ° nördlicher Breite wurde Larry zu einem posttropischen System und gelangte damit so weit nördlich wie zuletzt Hurrikan Debby 1982. Erwartet wird, dass die Reste von Larry für starken Schneefall auf Grönland sorgen; prognostiziert sind ca. 20 Mrd. Tonnen Schnee binnen drei Tagen, was etwa 3 % des gesamten jährlichen Schneefalls auf Grönland entspricht.[153]
Neben starken Winden und Starkregenfällen löste der Hurrikan auch eine für einen Kategorie-1-Hurrikan ungewöhnlich hohe Flutwelle aus, die etwa 1,5 Meter betrug. An Häusern in Neufundland wurden Sturmschäden festgestellt, mindestens 60.000 Menschen waren ohne Strom, Menschen wurden aus Sicherheitsgründen angewiesen, zu Hause zu bleiben. in St. John’s, wo ebenfalls der Strom ausgefallen war, lagen vielerorts Trümmer auf den Straßen, der Busverkehr wurde temporär eingestellt.[154]
Tropischer Sturm Mindy
| Tropischer Sturm | |||
|---|---|---|---|
| |||
| Dauer | 8. September – 10. September | ||
| Intensität | 40 kn (75 km/h) (1-minütig), 1002 hPa | ||
Am 8. September 2021 bildete sich an der US-Golfküste nahe der Küste Floridas der Tropische Sturm Mindy. Für das Florida Panhandle wurde eine Tropensturmwarnung herausgegeben. Neben Winden in Tropensturmstärke werden Regenmengen von 50 bis 100 Liter pro Quadratmeter erwartet, lokal bis 150 Liter, zudem besteht die Gefahr von Tornados.[155] Wenige Stunden später traf der Sturm nach einer geringfügigen Verstärkung im Florida Panhandle auf Land und schwächte sich dann zu einem tropischen Tief ab. Der Sturm brachte schwere Regenfälle über die betroffenen Gebiete, zudem waren mehr als 7000 Kunden im Florida Panhandle ohne Strom.[156]
Hurrikan Nicholas
| Kategorie-1-Hurrikan | |||
|---|---|---|---|
| |||
| Dauer | 12. September – 16. September | ||
| Intensität | 65 kn (120 km/h) (1-minütig), 988 hPa | ||
Am 12. September 2021 bildete sich im Golf von Mexiko, nahe der Küste Mexikos der Tropische Sturm Nicholas. Nach Formierung zog der Sturm an der mexikanischen Küste entlang in nördlicher Richtung Texas. Erwartet wird, dass der Sturm große Regenmengen nach Texas und Louisiana bringen wird.[157] Das National Hurricane Center warnte vor Starkregen und Überflutungen, insbesondere in dicht bebauten Gebieten. Es warnte vor einer Flutwelle mit einer Höhe von bis etwa 1,5 Metern Höhe, reißenden Strömungen im Golf von Mexiko sowie möglichen Tornados. Auch das Auftreten von Winden mit Hurrikanstärke sei möglich.[158] Nach einer rapiden Intensivierung erreichte Nicholas in der Nacht vom 13. zum 14. September Hurrikanstärke und wurde entsprechend hochgestuft.[159] Nicholas war damit der fünfte von bisher insgesamt sechs Hurrikanen der Saison 2021, der eine rapide Intensivierung durchmachte.[160]
Am 14. September traf Nicholas als Kategorie-1-Hurrikan bei Matagorda Island in Texas auf Land.[161] Er ist der achte benannte Sturm, der in der Hurrikansaison 2021 auf das US-amerikanische Festland traf. Insgesamt trafen damit seit Mai 2020 19 Stürme auf das US-amerikanische Festland. Im Zeitraum 1950 bis 2020 trafen durchschnittlich 3 Stürme die USA, darunter ein Hurrikan.[160] Kurze Zeit nach dem Landfall befand sich Nicholas – nun wieder zum tropischen Sturm herabgestuft – ca. 50 km südsüdwestlich von Houston.[161] Für Texas wurden Regenmengen von 125 bis 250 Litern/m², stellenweise von bis zu 450 Litern/m² erwartet.[162] Ersten Berichten zufolge waren 500.000 Kunden in Texas ohne Strom.[160] In Louisiana wurde der Katastrophenfall ausgerufen. Hier wurden die stärksten Regenfälle in einem Gebiet, das zu diesem Zeitpunkt noch unter den von Hurrikan Ida vor zwei Wochen verursachten schweren Schäden litt, erwartet.[163] Unter anderem waren die Böden von den Hurrikanen "Elsa" und "Ida" wassergesättigt, was die Gefahr von Sturzfluten noch erhöhte.[162]
Am 16. September 2021 wurde Nicholas zu einem posttropischen System.[164]
Tropischer Sturm Odette
| Tropischer Sturm | |||
|---|---|---|---|
| |||
| Dauer | 17. September – 18. September | ||
| Intensität | 40 kn (75 km/h) (1-minütig), 1002 hPa | ||
Am 17. September 2021 bildete sich vor der US-Ostküste etwa auf Höhe von North Carolina der Tropische Sturm Odette. Odette zog nach Nordosten, ein Landfall wurde nicht erwartet.[165] Bereits einen Tag später wandelte sich Odette südlich der kanadischen Halbinsel Nova Scotia in ein posttropisches System um.[166]
Tropischer Sturm Peter
| Tropischer Sturm | |||
|---|---|---|---|
| |||
| Dauer | 19. September – 23 September | ||
| Intensität | 45 kn (85 km/h) (1-minütig), 1005 hPa | ||
Am 19. September 2021 um 0300 UTC bildete sich östlich der nördlichen Inseln über dem Winde das Tropische Tief 16.[167] Sechs Stunden später wurde das Tief zum Tropischen Sturm Peter heraufgestuft.[168]
Am 21. September wurde Peter wieder zu einem tropischen Tief herabgestuft[169], am Morgen des 23. September wurde es zu einem Resttief.[170]
Tropischer Sturm Rose
| Tropischer Sturm | |||
|---|---|---|---|
| |||
| Dauer | 19. September – 23. September | ||
| Intensität | 35 kn (65 km/h) (1-minütig), 1005 hPa | ||
Am 19. September 2021 bildete sich im tropischen Ostatlantik das Tropische Tief 17.[171] Am selben Tag verstärkte sich das Tief und wurde zum Tropischen Sturm "Rose".[172]
Am 21. September wurde Rose wieder zu einem tropischen Tief herabgestuft[173], am 23. September wurde es zu einem Resttief.[174]
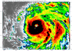
Hurrikan Sam
| Kategorie-4-Hurrikan | |||
|---|---|---|---|
| |||
| Dauer | 23. September – 5. Oktober | ||
| Intensität | 135 kn (250 km/h) (1-minütig), 929 hPa | ||
Am 22. September bildete sich im zentralen tropischen Atlantik das tropische Tief 18.[175] Am 23. September wurde es zum Tropischen Sturm Sam heraufgestuft.[176] Sam ist der zweitfrühste achtzehnte benannte Sturm im Atlantik seit Beginn der Aufzeichnung.[177] Nach einer rapiden Intensivierung wurde Sam schon am 24. September zum Kategorie-1-Hurrikan.[178] Sam ist damit der sechzehnte Sturm seit Beginn der Atlantischen Hurrikansaison 2020, der eine rapide Intensivierung durchmachte; im langjährigen Durchschnitt kam es zu ca. 4 rapiden Intensivierungen pro Saison. Erwartet wird eine weitere rapide Intensivierung zu einem Kategorie-4-Hurrikan.[177]
Am 25. September verstärkte sich Sam rapide weiter bis zum Kategorie-4-Hurrikan.[179] Die folgenden Tage blieb der Sturm ein Major Hurrikan und hielt dabei fast durchgängig Kategorie-4-Stärke, wobei er zeitweilig mit 135 nur minimal unter Kategorie-5-Stärke blieb. Am 2. Oktober schließlich, nachdem er östlich an Bermuda vorbeigezogen war, schwächte er sich zum Kategorie-3-Hurrikan ab.[180] Am 3. Oktober schwächte er sich zum Kategorie-2-Hurrikan und verlor damit Major-Hurrikan-Status.[181] Einen Tag später wurde er östlich von Neufundland zum Kategorie-1-Hurrikan.[182] Am 4. Oktober wandelte sich Sam schließlich zwischen Neufundland und Island in einen posttropischen Sturm um, seine Windgeschwindigkeit lag dabei noch bei Hurrikanstärke.[183]
Subtropischer Sturm Teresa
| Subtropischer Sturm (SSHWS) | |||
|---|---|---|---|
| |||
| Dauer | 24. September – 25. September | ||
| Intensität | 40 kn (75 km/h) (1-minütig), 1008 hPa | ||
Am 24. September bildete sich im Atlantik nördlich von Bermuda der Subtropische Sturm Teresa.[184] Einen Tag später schwächte sich das System zu einem subtropischen Tief ab[185] und wurde noch am gleichen Tag zu einem Resttief.[186]
Tropischer Sturm Victor
| Tropischer Sturm | |||
|---|---|---|---|
| |||
| Dauer | 29. September – 4. Oktober | ||
| Intensität | 55 kn (100 km/h) (1-minütig), 997 hPa | ||
Am 29. September bildete sich im Ostatlantik südlich der Kapverdischen Inseln das tropische Tief 20.[187] Wenige Stunden später wurde das System zum Tropischen Sturm Victor heraufgestuft.[188] Am 2. Oktober schwächte sich das System zum tropischen Tief ab.[189] Am 4. Oktober degenerierte das System zu einem Trog.[190]
Tropischer Sturm Wanda
| Tropischer Sturm | |||
|---|---|---|---|
| |||
| Dauer | 31. Oktober – 7. November | ||
| Intensität | 45 kn (85 km/h) (1-minütig), 987 hPa | ||
Am 31. Oktober bildete sich im Atlantik der Subtropische Sturm Wanda.[191] Wanda entstand auf sehr unübliche Art und Weise: Der Sturm bildete sich aus einem Nor’easter, der zwischen dem 25. und dem 27. Oktober mit starken Winden und großen Regenmengen über nördliche Ostküste der Vereinigten Staaten zog und teils für Überschwemmungen sorgte, und sich anschließend über warmem Wasser zu einem subtropischen Sturm umbildete. Wanda ist der einundzwanzigste Sturm der Saison, nur zwei weitere Saisons (2005 und 2020) produzierten mehr benannte Stürme.[192] Am 1. November entwickelte Wanda tropische Eigenschaften und wurde damit vom subtropischen zum tropischen Sturm umdeklariert.[193] Am 7. November 2021 wurde Wanda posttropisch.[194]
Sturmnamen
Die nachfolgende Namensliste wurde für die tropischen und subtropischen Stürme verwendet, die sich 2021 im Nordatlantik bildeten.[195] Diese Liste war dieselbe wie die während der Saison 2015 verwendete, mit Ausnahme der Namen Elsa und Julian, die Erika und Joaquin ersetzt haben.
- Ana
- Bill
- Claudette
- Danny
- Elsa
- Fred
- Grace
- Henri
- Ida
- Julian
- Kate
- Larry
- Mindy
- Nicholas
- Odette
- Peter
- Rose
- Sam
- Teresa
- Victor
- Wanda
Falls sich während der Saison mehr als 21 benannte Stürme gebildet hätten, wären die weiteren Namen von einer Ersatznamensliste genommen worden.[195] Diese Praxis war neu, da zuvor in einem solchen Fall das griechische Alphabet verwendet wurde, wie das 2005 und 2020 geschah. Dieses Verfahren wurde nach der Saison 2020 beendet, weil damit verschiedene Nachteile verbunden waren, etwa die Ähnlichkeit der Namen Zeta, Eta und Theta im Rundfunk.[196]
Im April 2022 teilte die World Meteorological Organization (WMO) mit, dass Ida aufgrund der starken Auswirkungen des Sturms zukünftig nicht mehr als Sturmname verwendet wird.[197] Die nicht gestrichenen Namen werden in der Saison 2027 wiederverwendet.[195]
Saisonverlauf
Diese Tabelle gibt eine Übersicht aller tropischen Tiefdrucksysteme im nördlichen Atlantischen Ozean. Sie nennt Dauer, Namen, betroffene Landgebiete, Schadenssumme und Zahl der Opfer.[198]
| Name | Dauer | Spitzenklassifikation | andauernde Windgeschwindigkeiten |
Luftdruck | betroffene Gebiete | Schäden (Mrd. USD) |
Tote | Belege |
|---|---|---|---|---|---|---|---|---|
| Ana | 22. Mai bis 23. Mai | Tropischer Sturm | 75 km/h | 1004 hPa | Bermuda | ? | 0 | |
| Bill | 14. Juni bis 15. Juni | Tropischer Sturm | 100 km/h | 992 hPa | ||||
| Claudette | 19. Juni bis 22. Juni | Tropischer Sturm | 75 km/h | 1003 hPa | Halbinsel Yucatán, Louisiana, Alabama, North Carolina | 0,375 | 4 | |
| Danny | 27. Juni bis 29. Juni | Tropischer Sturm | 75 km/h | 1009 hPa | South Carolina, Georgia | ? | 0 | |
| Elsa | 30. Juni bis 9. Juli | Kategorie-1-Hurrikan | 140 km/h | 991 hPa | östliche karibische Inseln, Dominikanische Republik, Haiti, Jamaika, Kuba, Florida | 1,2 | 13 | |
| Fred | 11. Aug. bis 17. Aug. | Tropischer Sturm | 100 km/h | 991 hPa | Puerto Rico, Dominikanische Republik, US-Golfküste | 1,3 | 6 | |
| Grace | 13. Aug. bis 21. Aug. | Kategorie-3-Hurrikan | 195 km/h | 967 hPa | Hispaniola, Haiti, Cayman Islands, Mexiko | ? | 16 | |
| Henri | 15. Aug. bis 23. Aug. | Kategorie-1-Hurrikan | 120 km/h | 987 hPa | Bermuda, Ostküste der Vereinigten Staaten, New York, New Jersey, Neuengland | 0,7 | 0 | |
| Ida | 26. Aug. bis 1. Sep. | Kategorie-4-Hurrikan | 240 km/h | 929 hPa | Jamaika, Cayman Islands, Kuba, Louisiana, US-Golfküste, Südosten der USA, Mittelatlantikstaaten, New York, New Jersey, Ostküste der Vereinigten Staaten, Neuengland | 75 | 55 | |
| Kate | 28. Aug. bis 1. Sep. | Tropischer Sturm | 75 km/h | 1004 hPa | ||||
| Julian | 28. Aug. bis 30. Aug. | Tropischer Sturm | 95 km/h | 993 hPa | ||||
| Larry | 31. Aug. bis 11. Sep. | Kategorie-3-Hurrikan | 205 km/h | 953 hPa | Bermuda, Neufundland | ? | 5 | |
| Mindy | 8. Sep. bis 9. Sep. | Tropischer Sturm | 95 km/h | 1000 hPa | Florida, Georgia, South Carolina | ? | 0 | |
| Nicholas | 12. Sep. bis 15. Sep. | Kategorie-1-Hurrikan | 120 km/h | 988 hPa | Mexiko, Texas, Louisiana | 1 | 2 | |
| Odette | 17. Sep. bis 18. Sep. | Tropischer Sturm | 75 km/h | 1005 hPa | ||||
| Peter | 19. Sep. bis 22. Sep. | Tropischer Sturm | 85 km/h | 1005 hPa | ||||
| Rose | 19. Sep. bis 22. Sep. | Tropischer Sturm | 95 km/h | 1004 hPa | ||||
| Sam | 22. Sep. bis 5. Okt. | Kategorie-4-Hurrikan | 250 km/h | 927 hPa | ||||
| Teresa | 24. Sep. bis 25. Sept. | Subtropischer Sturm | 75 km/h | 1008 hPa | ||||
| Victor | 29. Sep. bis 4. Okt. | Tropischer Sturm | 100 km/h | 997 hPa | ||||
| Wanda | 30. Okt. bis 7. November | Tropischer Sturm | 95 km/h | 983 hPa | ||||
| Saison insgesamt | ||||||||
| 21 Systeme | 22. Mai bis 7. November | 250 km/h | 927 hPa | ? | 103 | |||
Siehe auch
- Pazifische Taifunsaison 2021
- Pazifische Hurrikansaison 2021
- Zyklonsaison im Nordindik 2021
- Zyklonsaisons im Südwestindik: 2020–21, 2021–22
- Australische Zyklonsaisons: 2020–21, 2021–22
- Südpazifische Zyklonsaisons: 2020–21, 2021–22
Weblinks
- National Hurricane Center Website
- National Hurricane Center Atlantic Tropical Weather Outlook
- Tropical Cyclone Formation Probability Guidance Product
Belege
- ↑ Update on National Hurricane Center Products and Services for 2017. (PDF) National Hurricane Center, 23. Mai 2017, abgerufen am 12. März 2017 (englisch).
- ↑ a b c National Hurricane Center: Atlantic hurricane best track (Hurdat). Hurricane Research Division. Atlantic Oceanographic and Meteorological Laboratory. National Oceanic and Atmospheric Administrations Office of Oceanic & Atmospheric Research, April 2022, abgerufen am 22. Mai 2022 (englisch).
- ↑ Greg Allen: Hurricane Forecasts Will Start Earlier In 2021. NPR, 26. Februar 2021, abgerufen am 13. Mai 2021 (englisch).
- ↑ a b c Background Information: The North Atlantic Hurricane Season. In: Climate Prediction Center. National Oceanic and Atmospheric Administration, 22. Mai 2019, abgerufen am 24. Oktober 2020 (englisch).
- ↑ a b c Marc Saunders, Adam Lea: Extended Range Forecast for Atlantic Hurricane Activity in 2021. In: TropicalStormRisk.com. Dept. of Space and Climate Physics, University College London, 9. Dezember 2020, abgerufen am 10. Mai 2021 (englisch).
- ↑ a b CSU researchers predicting above-average 2021 Atlantic hurricane season. Colorado State University, 8. April 2021, abgerufen am 10. Mai 2021 (englisch).
- ↑ a b Marc Saunders, Adam Lea: April Forecast Update for North Atlantic Hurricane Activity in 2021. In: TropicalStormRisk.com. Dept. of Space and Climate Physics, University College London, 13. April 2021, abgerufen am 10. Mai 2021 (englisch).
- ↑ a b Kyle Davis, Xubin Zeng: Forecast of the 2021 Hurricane Activities over the North Atlantic. Department of Hydrology and Atmospheric Sciences, University of Arizona, 13. April 2021, archiviert vom am 25. Juni 2021; abgerufen am 10. Mai 2021 (englisch). Info: Der Archivlink wurde automatisch eingesetzt und noch nicht geprüft. Bitte prüfe Original- und Archivlink gemäß Anleitung und entferne dann diesen Hinweis.
- ↑ a b Tracy Peake: 2021 Hurricane Season Will Be Active, NC State Researchers Predict. North Carolina State University, 14. April 2021, abgerufen am 13. Mai 2021 (englisch).
- ↑ Jonathan Belles, Jonathan Erdman: 2021 Atlantic Hurricane Season Expected to Be More Active Than Normal, The Weather Company Outlook Says. In: Hurricane Central. The Weather Channel, 15. April 2021, abgerufen am 13. Mai 2021 (englisch).
- ↑ a b Jonathan Belles, Jonathan Erdman: 2021 Atlantic Hurricane Season Storm Numbers Increase in Our Latest Outlook. In: Hurricane Central. The Weather Channel, 13. Mai 2021, abgerufen am 13. Mai 2021 (englisch).
- ↑ NOAA's Atlantic Hurricane Season Classifications. In: National Oceanic and Atmospheric Administration. National Hurricane Center, 22. Mai 2008, archiviert vom am 10. Mai 2020; abgerufen am 11. Mai 2020 (englisch). Info: Der Archivlink wurde automatisch eingesetzt und noch nicht geprüft. Bitte prüfe Original- und Archivlink gemäß Anleitung und entferne dann diesen Hinweis.
- ↑ a b Ana forms in the Atlantic, becoming the first named storm of the Atlantic hurricane season. In: CNN, 22. Mai 2021. Abgerufen am 22. Mai 2021.
- ↑ For seventh straight year, a named storm forms in Atlantic ahead of hurricane season. In: The Washington Post, 22. Mai 2021. Abgerufen am 22. Mai 2021.
- ↑ Tropical Storm Ana Advisory Number 5. National Hurricane Center. Abgerufen am 23. Mai 2021.
- ↑ Tropical Storm Ana Advisory Number 7. National Hurricane Center. Abgerufen am 24. Mai 2021.
- ↑ Post-tropical Storm Ana Advisory Number 8. National Hurricane Center. Abgerufen am 24. Mai 2021.
- ↑ Tropical Depression Two Advisory Number 1. National Hurricane Center. Abgerufen am 14. Juni 2021.
- ↑ Tropical Storm Bill Advisory Number 3. National Hurricane Center. Abgerufen am 15. Juni 2021.
- ↑ Post-Tropical Cyclone Bill Advisory Number 7.National Hurricane Center. Abgerufen am 18. Juni 2021.
- ↑ Potential Tropical Cyclone Three Advisory Number 1. National Hurricane Center. Abgerufen am 18. Juni 2021.
- ↑ Potential Tropical Cyclone Three Advisory Number 4. National Hurricane Center. Abgerufen am 18. Juni 2021.
- ↑ Tropical Storm Claudette forms over southeast Louisiana. In: Yale Climate Connections, 19. Juni 2021. Abgerufen am 22. Juni 2021.
- ↑ Claudette regains tropical storm status, heads out to sea after killing at least 14 in Alabama. In: USA Today, 21. Juni 2021. Abgerufen am 22. Juni 2021.
- ↑ Claudette regains tropical storm strength as it departs North Carolina Outer Banks. In: The Washington Post, 21. Juni 2021. Abgerufen am 22. Juni 2021.
- ↑ Remnants Of Claudette Advisory Number 18. National Hurricane Center. Abgerufen am 22. Juni 2021.
- ↑ Tropical Depression Four Advisory Number 1. National Hurricane Center. Abgerufen am 28. Juni 2021.
- ↑ Tropical Storm Danny Advisory Number 2. National Hurricane Center. Abgerufen am 28. Juni 2021.
- ↑ Danny Makes Landfall Over South Carolina and Weakens Into Tropical Depression. In: The New York Times, 29. Juni 2021. Abgerufen am 29. Juni 2021.
- ↑ Remnants Of Danny Advisory Number 4. National Hurricane Center. Abgerufen am 29. Juni 2021.
- ↑ Potential Tropical Cyclone Five Advisory Number 1. National Hurricane Center. Abgerufen am 30. Juni 2021.
- ↑ Tropical Storm Elsa, 5th named storm, forms in Atlantic. In: The Washington Post, 1. Juli 2021. Abgerufen am 1. Juli 2021.
- ↑ BULLETIN Tropical Storm Elsa Intermediate Advisory Number 6A NWS National Hurricane Center Miami FL AL052021 abgerufen am 3. Juli 2021
- ↑ BULLETIN Tropical Storm Elsa Advisory Number 7 NWS National Hurricane Center Miami FL AL052021 abgerufen am 3. Juli 2021
- ↑ BULLETIN Hurricane Elsa Special Advisory Number 8 NWS National Hurricane Center Miami FL AL052021 abgerufen am 3. Juli 2021
- ↑ Elsa, First Hurricane of Atlantic Season, Batters Caribbean. In: The New York Times, 2. Juli 2021. Abgerufen am 2. Juli 2021.
- ↑ Tropical Storm Elsa Advisory Number 13. National Hurricane Center. Abgerufen am 3. Juli 2021.
- ↑ Tropical Storm Elsa weakens and slows, but a tropical storm watch is in effect for South Florida. In: CNN, 4. Juli 2021. Abgerufen am 5. Juli 2021.
- ↑ Tropical Storm Elsa: Cuba reels as storm moves towards Florida. In: BBC, 6. Juli 2021. Abgerufen am 6. Juli 2021.
- ↑ Wegen Tropensturm „Elsa“: Kuba bringt 180.000 Menschen in Sicherheit. In: Redaktionsnetzwerk Deutschland, 5. Juli 2021. Abgerufen am 5. Juli 2021.
- ↑ Reste des eingestürzten Hauses in Florida gesprengt. In: Frankfurter Allgemeine Zeitung, 5. Juli 2021. Abgerufen am 5. Juli 2021.
- ↑ Tropical Storm Elsa makes landfall in Cuba and forecasted to take aim at Florida next. In: CBS, 5. Juli 2021. Abgerufen am 5. Juli 2021.
- ↑ a b Tropical Storm Elsa Makes Landfall in Florida. In: The New York Times, 7. Juli 2021. Abgerufen am 7. Juli 2021.
- ↑ Tropical Storm Elsa strengthening as rain and wind begin to lash Florida. In: The Washington Post, 6. Juli 2021. Abgerufen am 6. Juli 2021.
- ↑ Tropical Storm Elsa hitting Florida's west coast with heavy rain and dangerous gusts as it nears landfall. In: CNN, 7. Juli 2021. Abgerufen am 7. Juli 2021.
- ↑ Post-Tropical Cyclone Elsa Intermediate Advisory Number 38A. National Hurricane Center. Abgerufen am 11. Juli 2021.
- ↑ Tropical Storm Elsa Brings Flooding Threat to New York Area. In: The New York Times, 7. Juli 2021. Abgerufen am 11. Juli 2021.
- ↑ Power returns after Elsa causes thousands of outages in the Maritimes. In: CBC, 10. Juli 2021. Abgerufen am 11. Juli 2021.
- ↑ Tropical Storm Elsa moves back over water and forecasted to take aim at Florida next. In: CBS, 6. Juli 2021. Abgerufen am 6. Juli 2021.
- ↑ Potential Tropical Cyclone Six Discussion Number 1. National Hurricane Center. Abgerufen am 11. August 2021.
- ↑ Potential Tropical Cyclone Six Discussion Number 6. National Hurricane Center. Abgerufen am 11. August 2021.
- ↑ Tropical Storm Fred makes landfall in Dominican Republic. In: The Washington Post, 11. August 2021. Abgerufen am 11. August 2021.
- ↑ Fred is now a tropical depression but may restrengthen before hitting Florida. In: CNN, 12. August 2021. Abgerufen am 12. August 2021.
- ↑ Florida issues tropical storm warning for Panhandle region as Fred approaches. In: The Guardian, 15. August 2021. Abgerufen am 15. August 2021.
- ↑ Fred makes landfall along Florida Panhandle as a strong tropical storm. In: The Washington Post, 16. August 2021. Abgerufen am 17. August 2021.
- ↑ Strengthening Tropical Storm Grace expected to become a hurricane. In: Yale Climate Connections, 17. August 2021. Abgerufen am 17. August 2021.
- ↑ a b c d Hurricane Grace batters the Caymans, heads for Mexico; Henri a growing concern for northeastern U.S. . In: Yale Climate Connections, 18. August 2021. Abgerufen am 18. August 2021.
- ↑ 5 Dead and 1 Missing in North Carolina Flooding. In: The New York Times, 22. August 2021. Abgerufen am 27. August 2021.
- ↑ Tropical Depression SEVEN Public Advisory. National Hurricane Center. Abgerufen am 14. August 2021.
- ↑ Tropical Storm Grace Advisory Number 4. National Hurricane Center. Abgerufen am 14. August 2021.
- ↑ Tropical Depression Grace Discussion Number 10. National Hurricane Center. Abgerufen am 15. August 2021.
- ↑ Tropical Depression Grace drenching Haiti days after major earthquake. In: The Washington Post, 16. August 2021. Abgerufen am 17. August 2021.
- ↑ Grace Restrengthens Into Tropical Storm After Dumping Heavy Rain on Haiti. In: The New York Times, 17. August 2021. Abgerufen am 17. August 2021.
- ↑ Hurricane Grace Makes Landfall on Mexico’s Yucatán Peninsula, With Dangerous Winds and Storm Surge. In: The New York Times, 19. August 2021. Abgerufen am 19. August 2021.
- ↑ Hurricane Grace Makes Landfall in Mexico. In: The New York Times, 21. August 2021. Abgerufen am 21. August 2021.
- ↑ Remnants of Grace/Forcast Advisory 34. National Hurricane Center. Abgerufen am 22. August 2021.
- ↑ Grace makes landfall as a category 3 hurricane in Mexico. In: CNN, 21. August 2021. Abgerufen am 22. August 2021.
- ↑ Tropical Depression Eight Advisory Number 1. National Hurricane Center. Abgerufen am 17. August 2021.
- ↑ Tropical Depression Eight Advisory Number 4. National Hurricane Center. Abgerufen am 17. August 2021.
- ↑ Henri Upgraded to Hurricane as It Takes Aim at Long Island. In: The New York Times, 21. August 2021. Abgerufen am 21. August 2021.
- ↑ Nordosten der USA bereitet sich auf Hurrikan "Henri" vor. In: Die Zeit, 21. August 2021. Abgerufen am 22. August 2021.
- ↑ Tropical Storm Henri slides into New England as prodigious rainmaker . In: Yale Climate Connections, 22. August 2021. Abgerufen am 22. August 2021.
- ↑ Live Updates: Tropical Storm Henri Makes Landfall in Rhode Island. In: The New York Times, 22. August 2021. Abgerufen am 22. August 2021.
- ↑ Posttropical Cyclone Henri Advisory Number 32. National Hurricane Center. Abgerufen am 25. August 2021.
- ↑ Tropical Depression Nine Advisory Number 1. National Hurricane Center. Abgerufen am 26. August 2021.
- ↑ Tropical Storm Ida Tropical Cyclone Update. National Hurricane Center. Abgerufen am 26. August 2021.
- ↑ a b c d Intensifying Hurricane Ida expected to strike Louisiana Sunday as a major hurricane. In: Yale Climate Connections, 27. August 2021. Abgerufen am 28. August 2021.
- ↑ Hurricane Ida Intermediate Advisory Number 9A. National Hurricane Center. Abgerufen am 28. August 2021.
- ↑ Hurricane Ida nearing Category 5 strengt with 150 mph winds. WDSU 6, 29. August 2021.
- ↑ Hurricane Ida Tropical Cyclone Update. National Hurrican Center. Abgerufen am 29. August 2021.
- ↑ Catastrophic Hurricane Ida hits Louisiana with 150 mph winds. In: Yale Climate Connections, 29. August 2021. Abgerufen am 30. August 2021.
- ↑ a b c Hurricane Ida makes landfall in Louisiana with winds stronger than Katrina’s . In: Los Angeles Times, 29. August 2021. Abgerufen am 29. August 2021.
- ↑ a b c Ida’s impact from the Gulf Coast to Northeast — by the numbers. In: The Washington Post, 4. September 2021. Abgerufen am 5. September 2021.
- ↑ Hurricane Ida Tropical Cyclone Update. National Hurricane Center. Abgerufen am 29. August 2021.
- ↑ Hurricane Ida Advisory Number 15. National Hurricane Center. Abgerufen am 29. August 2021.
- ↑ Hurricane Ida Tropical Cyclone Update. National Hurricane Center. Abgerufen am 30. August 2021.
- ↑ Karte mit dem Track
- ↑ a b c d e f g New Orleans’ levees hold against Ida’s onslaught, but hurricane leaves major damage. In: Yale Climate Connections, 30. August 2021. Abgerufen am 30. August 2021.
- ↑ Tropical Storm Ida Intermediate Advisory Number 18A. National Hurricane Center. Abgerufen am 30. August 2021.
- ↑ Tropical Depression Ida Advisory Number 19. National Hurricane Center. Abgerufen am 30. August 2021.
- ↑ a b ‘Widespread and potentially life-threatening’ flooding expected in Northeast U.S. In: The Washington Post, 1. September 2021. Abgerufen am 1. September 2021.
- ↑ a b c d e f Rekordregen von Hurrikan «Ida» setzt New York unter Wasser – Zahl der Toten in der Region um die Stadt steigt auf 20. In: Neue Zürcher Zeitung, 2. September 2021. Abgerufen am 2. September 2021.
- ↑ Tropical Storm Ida Advisory Number 5. National Hurricane Center. Abgerufen am 27. August 2021.
- ↑ Tropical Storm Ida Forms in the Caribbean. In: The New York Times, 26. August 2021. Abgerufen am 27. August 2021.
- ↑ 16 Jahre nach "Katrina" - New Orleans rüstet sich für Hurrikan "Ida". In: ZDF heute, 28. August 2021. Abgerufen am 28. August 2021.
- ↑ a b Gefährlicher Hurrikan nähert sich den USA – Krankenhäuser zu voll für Evakuierung. In: Spiegel Online, 29. August 2021. Abgerufen am 29. August 2021.
- ↑ Hurricane Ida Intermediate Advisory Number 13. National Hurricane Center. Abgerufen am 29. August 2021.
- ↑ a b c US-Südküste vor Hurrikan Louisiana rüstet sich für "Ida". In: Tagesschau.de, 29. August 2021. Abgerufen am 29. August 2021.
- ↑ Hurrikan „Ida“ kurz vor Kategorie 5 und auf dem Weg nach New Orleans. 29. August 2021, abgerufen am 29. August 2021.
- ↑ Ida, expected to hit Gulf Coast as a Category 3 hurricane, is a significant threat to New Orleans. In: NBC, 27. August 2021. Abgerufen am 27. August 2021.
- ↑ a b Intensifying Hurricane Ida a significant threat to key infrastructure. In: Yale Climate Connections, 28. August 2021. Abgerufen am 29. August 2021.
- ↑ a b Hurrikan trifft mit 241 km/h auf US-Küste. In: Tagesschau.de, 29. August 2021. Abgerufen am 30. August 2021.
- ↑ Derivate. Abgerufen am 31. August 2021.
- ↑ IBISWorld - Industry Market Research, Reports, and Statistics. Abgerufen am 30. August 2021.
- ↑ Hurricane Ida leaves trail of destruction as road collapse raises death toll to four. In: The Guardian, 31. August 2021. Abgerufen am 1. September 2021.
- ↑ Hurricane Ida death toll rises to 4 and could continue to rise: Live updates. In: NBC News, 31. August 2021. Abgerufen am 1. September 2021.
- ↑ New Orleans hospitals brace for Hurricane Ida amid Covid-19 surge. In: CNBC, 28. August 2021. Abgerufen am 28. August 2021.
- ↑ New Orleans hospitals prepare for Hurricane Ida while near capacity with COVID-19 cases. In: Axios, 28. August 2021. Abgerufen am 28. August 2021.
- ↑ Ida strengthens into Category 2 hurricane: Latest forecast. In: ABC News, 28. August 2021. Abgerufen am 28. August 2021.
- ↑ Waters with high heat content expected in Gulf of Mexico this hurricane season. In: Yale Climate Connections, 17. Mai 2022. Abgerufen am 17. Mai 2022.
- ↑ "Katastrophale Schäden" in Louisiana. In: Tagesschau.de, 30. August 2021. Abgerufen am 1. September 2021.
- ↑ a b Erhebliche Schäden durch Hurrikan »Ida« – mindestens ein Toter. In: Spiegel Online, 30. August 2021. Abgerufen am 30. August 2021.
- ↑ New Orleans battered by Hurricane Ida as storm claims first victim in Louisiana. In: The Guardian, 30. August 2021. Abgerufen am 30. August 2021.
- ↑ ORF at/Agenturen red: „Schäden katastrophal“: Bilder der Zerstörung durch Hurrikan „Ida“. 30. August 2021, abgerufen am 31. August 2021.
- ↑ ORF at/Agenturen red: „Gefahr nicht vorbei“: „Ida“ zieht Schneise durch Mississippi. 30. August 2021, abgerufen am 30. August 2021.
- ↑ a b c Louisiana gets a first look at the devastation caused by Hurricane Ida. In: The Washington Post, 31. August 2021. Abgerufen am 31. August 2021.
- ↑ Power Reactor Status Report For Day. Abgerufen am 9. September 2021.
- ↑ Current Power Reactor Status Report. Abgerufen am 15. September 2021.
- ↑ Lack of Power Hinders Assessment of Toxic Pollution Caused by Ida. In: The New York Times, 1. September 2021. Abgerufen am 2. September 2021.
- ↑ Darum weiten die Ölpreise ihre Gewinne aus. Abgerufen am 27. August 2021.
- ↑ So reagieren die Ölpreise auf den Hurrikan Ida. Abgerufen am 30. August 2021.
- ↑ a b c Hurricane Ida: up to 2 million without power as New Orleans assesses damage. In: The Guardian, 30. August 2021. Abgerufen am 30. August 2021.
- ↑ Deshalb geben die Ölpreise nach. Abgerufen am 6. September 2021.
- ↑ Darum legen die Ölpreise auf den höchsten Stand seit Anfang August zu. Abgerufen am 14. September 2021.
- ↑ Darum legen die Ölpreise auf den höchsten Stand seit Anfang August zu. Abgerufen am 14. September 2021.
- ↑ Hurricane Ida: nearly 350 reported oil spills investigated in Gulf – Coast Guard. In: The Guardian, 6. September 2021. Abgerufen am 6. September 2021.
- ↑ Satellite Images Find ‘Substantial’ Oil Spill in Gulf After Ida. In: The New York Times, 4. September 2021. Abgerufen am 6. September 2021.
- ↑ Hurricanes Raise Risk Of Oil Spills In Gulf Of Mexico. Abgerufen am 15. September 2021 (englisch).
- ↑ It could be days or weeks before power is restored in New Orleans. In: The Washington Post, 30. August 2021. Abgerufen am 30. August 2021.
- ↑ Hurricane Ida took down more power poles in 2 states than Katrina, Ike, Delta and Zeta combined, power company says. In: CNN, 8. September 2021. Abgerufen am 8. September 2021.
- ↑ The Greatest Killer in New Orleans Wasn’t the Hurricane. It Was the Heat. In: The New York Times, 15. September 2021. Abgerufen am 17. September 2021.
- ↑ Hurrikan »Ida«: New York meldet stärksten Regen seit Beginn der Aufzeichnungen. In: Der Spiegel. Abgerufen am 2. September 2021.
- ↑ a b c Here’s what made the New York City flooding so devastating. In: The Washington Post, 2. September 2021. Abgerufen am 3. September 2021.
- ↑ „Wir haben jetzt neun New Yorker durch diesen Sturm verloren“. In: Frankfurter Allgemeine Zeitung, 2. September 2021. Abgerufen am 2. September 2021.
- ↑ Philadelphia is inundated by floodwaters as Ida leaves a trail of destruction in the Mid-Atlantic. In: The New York Times, 2. September 2021. Abgerufen am 3. September 2021.
- ↑ Millions in the Northeast remain under flood warnings Friday morning. In: CNN, 3. September 2021. Abgerufen am 3. September 2021.
- ↑ Ida latest: 71 dead in 8 states, power slowly returns after storm. In: ABC News, 8. September 2021. Abgerufen am 8. September 2021.
- ↑ Heavy rainfall continues as remnants of Ida soak Maritimes. In: CBC, 2. September 2021. Abgerufen am 5. September 2021.
- ↑ Cleanup efforts underway following one of the rainiest days ever on P.E.I. In: CBC, 3. September 2021. Abgerufen am 5. September 2021.
- ↑ Tropical Depression Ten Forcast/Advisory Number 1. National Hurricane Center. Abgerufen am 28. August 2021.
- ↑ Tropical Storm Kate Tropical Cyclone Update. National Hurricane Center. Abgerufen am 30. August 2021.
- ↑ Tropical Depression Kate Advisory Number 14. National Hurricane Center. Abgerufen am 1. September 2021.
- ↑ Remnants Of Kate Advisory Number 19. National Hurricane Center. Abgerufen am 1. September 2021.
- ↑ Tropical Depression Eleven Advisory Number 1. National Hurricane Center. Abgerufen am 29. August 2021.
- ↑ Tropical Storm Julian Advisory Number 3. National Hurricane Center. Abgerufen am 29. August 2021.
- ↑ Post-Tropical Cyclone Julian Advisory Number 5. National Hurricane Center. Abgerufen am 30. August 2021.
- ↑ Tropical Depression Twelve Advisory Number 1. National Hurricane Center. Abgerufen am 1. September 2021.
- ↑ Hurricane Larry Advisory Number 13. National Hurricane Center. Abgerufen am 3. September 2021.
- ↑ Hurricane Larry becomes a Category 3 storm -- this season's third major cyclone in the Atlantic. In: CNN, 4. September 2021. Abgerufen am 4. September 2021.
- ↑ As Cat 2 Hurricane Larry churns the Atlantic, Chanthu hits Cat 5 strength east of the Philippines . In: Yale Climate Connections, 8. September 2021. Abgerufen am 8. September 2021.
- ↑ Hurricane Larry Advisory Number 43. National Hurricane Center. Abgerufen am 11. September 2021.
- ↑ Post-Tropical Cyclone Larry Advisory Number 44. National Hurricane Center. Abgerufen am 11. September 2021.
- ↑ Peak tropics: Two noteworthy landfalls and four other areas to watch . In: Yale Climate Connections, 11. September 2021. Abgerufen am 12. September 2021.
- ↑ Hurricane Larry wallops eastern Newfoundland with strong winds, storm surge. In: CBC, 11. September 2021. Abgerufen am 11. September 2021.
- ↑ Tropical Storm Mindy Advisory Number 1. National Hurricane Center. Abgerufen am 8. September 2021.
- ↑ Fast-Moving Mindy Loses Strength but Will Drench Parts of Southeast. In: The New York Times, 9. September 2021. Abgerufen am 9. September 2021.
- ↑ Tropical Storm Nicholas to douse Texas coast with torrential rains. In: Yale Climate Connections, 12. September 2021. Abgerufen am 13. September 2021.
- ↑ Tropical Storm Nicholas Intermediate Advisory Number 5A. National Hurricane Center. Abgerufen am 13. September 2021.
- ↑ Hurricane Nicholas Advisory Number 8. National Hurricane Center. Abgerufen am 14. September 2021
- ↑ a b c Nicholas brings debris, storm surge to Texas as Cat 1 hurricane. In: Yale Climate Connections, 14. September 2021. Abgerufen am 14. September 2021.
- ↑ a b Tropical Storm Nicholas Hits Houston Area, With Threat of Foot of Rain. In: The New York Times, 14. September 2021. Abgerufen am 14. September 2021.
- ↑ a b Half A Million Texans Without Power As Hurricane Nicholas Slams The Coast. Abgerufen am 14. September 2021 (englisch).
- ↑ Nicholas drenches Louisiana with torrential rainfall after striking Texas. In: The Washington Post, 14. September 2021. Abgerufen am 14. September 2021.
- ↑ Post-Tropical Cyclone Nicholas Advisory Number 17. National Hurricane Center. Abgerufen am 16. September 2021.
- ↑ Tropical Storm Odette Advisory Number 1. National Hurricane Center. Abgerufen am 17. September 2021.
- ↑ Post-Tropical Cyclone Odette Advisory Number 5. National Hurricane Center. Abgerufen am 18. September 2021.
- ↑ Tropical Depression Sixteen Advisory Number 1. National Hurricane Center. Abgerufen am 19. September 2021.
- ↑ Tropical Storm Peter Advisory Number 2. National Hurricane Center. Abgerufen am 19. September 2021.
- ↑ Tropical Depression Peter Advisory Number 13. National Hurricane Center. Abgerufen am 23. September 2021.
- ↑ Remnants Of Peter Advisory Number 18. National Hurricane Center. Abgerufen am 23. September 2021.
- ↑ Tropical Depression Seventeen Advisory Number 1. National Hurricane Center. Abgerufen am 19. September 2021.
- ↑ Tropical Storm Rose Advisory Number 3 National Hurricane Center. Abgerufen am 19. September 2021.
- ↑ Tropical Depression Rose Advisory Number 12. National Hurricane Center. Abgerufen am 23. September 2021.
- ↑ Post-Tropical Cyclone Rose Advisory Number 17. National Hurricane Center. Abgerufen am 23. September 2021.
- ↑ Tropical Depression Eighteen Advisory Number 1…Corrected. National Hurricane Center. Abgerufen am 23. September 2021.
- ↑ Tropical Storm Sam Advisory Number 4. National Hurricane Center. Abgerufen am 23. September 2021.
- ↑ a b Hurricane Sam forecast to rapidly intensify into a Category 4 in the Atlantic. In: CBS, 24. September 2021. Abgerufen am 24. September 2021.
- ↑ Hurricane Sam Advisory Number 7. National Hurricane Center. Abgerufen am 24. September 2021.
- ↑ Hurricane Sam Advisory Number 13. National Hurricane Center. Abgerufen am 25. September 2021.
- ↑ Hurricane Sam Advisory Number 41. National Hurricane Center. Abgerufen am 2. Oktober 2021.
- ↑ Hurricane Sam Advisory Number 43. National Hurricane Center. Abgerufen am 3. Oktober 2021.
- ↑ Hurricane Sam Advisory Number 49. National Hurricane Center. Abgerufen am 4. Oktober 2021.
- ↑ Post-Tropical Cyclone Sam Advisory Number 51. National Hurricane Center. Abgerufen am 7. Oktober 2021.
- ↑ Subtropical Storm Teresa Advisory Number 1. National Hurricane Center. Abgerufen am 24. September 2021.
- ↑ Subtropical Depression Teresa Advisory Number 4. National Hurricane Center. Abgerufen am 25. September 2021.
- ↑ Post-Tropical Cyclone Teresa Advisory Number 5. National Hurricane Center. Abgerufen am 25. September 2021.
- ↑ Tropical Depression Twenty Advisory Number 1. National Hurricane Center. Abgerufen am 29. September 2021.
- ↑ Tropical Storm Victor Advisory Number 2. National Hurricane Center. Abgerufen am 30. September 2021.
- ↑ Tropical Depression Victor Advisory Number 14. National Hurricane Center. Abgerufen am 2. Oktober 2021.
- ↑ Remnants Of Victor Advisory Number 21. National Hurricane Center. Abgerufen am 4. Oktober 2021.
- ↑ Subtropical Storm Wanda Advisory Number 1. National Hurricane Center. Abgerufen am 31. Oktober 2021.
- ↑ Subtropical Storm Wanda forms, exhausting the Atlantic list of storms. In: YaleClimateConections, 31. Oktober 2021. Abgerufen am 1. November 2021.
- ↑ Tropical Storm Wanda Advisory Number 8. National Hurricane Center. Abgerufen am 2. November 2021.
- ↑ Post-Tropical Cyclone Wanda Advisory Number 31. National Hurricane Center. Abgerufen am 7. November 2021.
- ↑ a b c Tropical Cyclone Names. National Hurricane Center and Central Pacific Hurricane Center, abgerufen am 13. Mai 2021 (englisch).
- ↑ WMO Hurricane Committee retires tropical cyclone names and ends the use of Greek alphabet. World Meteorological Organization, 17. März 2021, archiviert vom am 17. September 2021; abgerufen am 13. Mai 2021 (englisch). Info: Der Archivlink wurde automatisch eingesetzt und noch nicht geprüft. Bitte prüfe Original- und Archivlink gemäß Anleitung und entferne dann diesen Hinweis.
- ↑ Hurricane Committee retires Ida, prepares for 2022 season. World Meteorological Organization, 27. April 2022, archiviert vom (nicht mehr online verfügbar) am 3. Juni 2022; abgerufen am 31. August 2022. Info: Der Archivlink wurde automatisch eingesetzt und noch nicht geprüft. Bitte prüfe Original- und Archivlink gemäß Anleitung und entferne dann diesen Hinweis.
- ↑ 2021 Atlantic Hurricane Season Summary Table. (PDF) In: National Hurricane Center. Abgerufen am 13. Juni 2022.











































