Grünlicher Schilfkäfer
| Grünlicher Schilfkäfer | ||||||||||||
|---|---|---|---|---|---|---|---|---|---|---|---|---|
Grünlicher Schilfkäfer Donacia clavipes | ||||||||||||
| Systematik | ||||||||||||
| ||||||||||||
| Wissenschaftlicher Name | ||||||||||||
| Donacia clavipes | ||||||||||||
| Fabricius, 1793 |
Der Grünliche Schilfkäfer oder Keulenbeinige Schilfkäfer (Donacia clavipes) ist ein europaweit verbreiteter Käfer aus der Familie der Blattkäfer und der Unterfamilie der Schilfkäfer (Donaciinae). In Europa ist die Gattung Donacia mit 32 Arten vertreten,[1] die sich alle sehr ähnlich sehen. Weltweit werden bei GBIF 138 Arten der Gattung gelistet.[2]
Bemerkungen zum Namen
Der Käfer wird erstmals 1793 unter dem heute noch gültigen Namen Donacia clavipes von Fabricius beschrieben.[3] Der Gattungsname clavipes ist von lateinisch cláva für „Keule, Schenkel“ und pes für „Fuß“ abgeleitet.[4] In der Beschreibung des Käfers erklärt Fabricius den Namen: femoribus posticis clavatus inermibus (lat. mit den Schenkeln der Hinterbeine unbewaffnet (nämlich ohne Zahn)).[3] Die Gattung Donacia wurde von Fabricius schon 1775 aufgestellt.[5] Der Name ist von altgriechisch δόναξ, δόνακος (dónax, dónakos), deutsch ‚Rohr, Schilf‘ abgeleitet und bezieht sich auf den Lebensraum der Käfer am Ufer von Gewässern.[6] Gyllenhaal beschreibt den Käfer unter dem Namen Donacia menyanthidis, weil er ihn (auch) auf Menyanthes, dem Fieberklee, gefunden hat.[7]
Eigenschaften des Käfers
![]()
| |
| Abb. 1: links Männchen, rechts Weibchen | |
![]()
| |
| Abb. 2: Unterseite und Seitenansicht | |
| |
| Abb. 3: Vorderansichten | |
![]() | |
| Abb. 4: Ausschnitt Fühler, 1,2,3,4: Nummer des Fühler- glieds,grün: Länge des 3. Fühlerglieds, blau: Länge des 2. Fühlerglieds, rot: Dicke des 2. Glieds | |
|
|
| Abb. 5: Ausschnitt Unter- seite, gelb: Abstand der Mittelhüften, grün: zum Vergleich gleich lange Strecken über die Hüfte projiziert |
Abb. 6: Kopf von unten links teilweise getönt Lila: Oberkiefer grün: Unterkiefer mit gelb: Kiefertaster blau: Lippentaster |
![]()
| |
| Abb. 7: rechter Vorderfuß links von oben, rechts von un- ten, T Schiene, 1,2,3: 1. 2. 3. Tarsenglied, K: Klauen- glied blau: Länge des 3. Klauenglieds, grün: Betrag, um den das Klauenglied das 3. Glied überragt Pfeil auf Zähnchen am Schienenende | |
| |
| Abb. 8: Amphibische Lebensweise: Käfer, Larve und Puppenkokon nach Brehm[8] | |
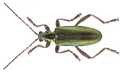
Der Käfer wird sieben bis zwölf Millimeter lang. Durch seine Fühler erinnert er an einen Bockkäfer, weswegen die Schilfkäfer ursprünglich auch zur Bockkäfergattung Leptura gestellt wurden. Die Oberseite ist grün, kupferfarben oder golden, meist jedoch metallisch grün mit einem schwachen Bronzeton. Die Unterseite ist dicht silberweiß behaart. Fühler und Beine sind gelbbraun, nicht schwarz. Die Männchen sind durchschnittlich etwas kleiner als die Weibchen und weniger bauchig (Abb. 1).
Der schütter behaarte Kopf wird gesenkt getragen, die Mundwerkzeuge zeigen nach unten (Abb. 3 und 6). Die elfgliedrigen, fadenförmigen Fühler entspringen einander genähert vor den annähernd runden und stark gewölbten Augen auf der Stirn. Sie sind beim Weibchen etwa halb so lang wie der Körper, beim Männchen deutlich länger. Das dritte Fühlerglied ist so lang oder länger als das erste, das zweite Fühlerglied ist mindestens doppelt so lang wie breit (Abb. 4). Die Oberlippe ist vorn abgerundet. Die kurzen Oberkiefer (Abb. 6 lila) enden gespalten. Die Unterkiefer (Abb. 6 grün) sind stark behaart. Die Kiefertaster (Abb. 6 gelb) sind viergliedrig, die Lippentaster (Abb. 6 blau) dreigliedrig.
Der Halsschild ist etwa so breit wie der Kopf und deutlich schmaler als die Flügeldecken zusammen. Er ist ungerandet, annähernd rechteckig, etwas breiter als lang und an der Basis etwas schmaler als am Kopf. Nahe den Vorderecken ist oben je ein kleiner Höcker ausgebildet. Nahe der Basis findet sich außen je eine sehr flache Erhöhung. Dazwischen liegt mittig eine vertiefte Längsrinne. Der Halsschild ist stark glänzend und unbehaart. Auf der Scheibe ist er nur fein und weitläufig, aber deutlich punktiert.
Das Schildchen ist dreieckig und behaart.
Die Flügeldecken sind wie der Halsschild unbehaart. Sie sind matt glänzend, oben abgeflacht, relativ lang und ihre Seiten annähernd parallel. Bei den Weibchen sind sie etwas bauchiger und die größte Breite liegt in der Mitte der Flügeldecken oder kurz dahinter. An den Enden sind die Flügeldecken einzeln gerundet bis abgestutzt. Entlang der Naht zeigen sie keine Eindrücke und die obere Nahtkante verläuft gerade nach hinten und ist nicht seitlich aufgebogen. Die Punktreihen der Flügeldecken sind deutlich, die Intervalle sind quer gerunzelt und sehr fein punktiert.
Die Hinterschenkel sind schlank und kurz, sie erreichen beim Männchen knapp den Hinterrand des Hinterleibs, beim Weibchen sind sie kürzer. Sie sind in beiden Geschlechtern ungezähnt. Die Hinterschienen haben keinen nach innen gerichteten Zahn. Die Vorderschienen enden in einem nach außen gerichteten Zähnchen (schwarze Pfeilspitze in Abb. 7). Das dritte Tarsenglied (Abb. 7) ist breit, lang zweilappig und unterseits dicht behaart. Das Klauenglied überragt das dritte Glied nur wenig (Abb. 7). Die walzenförmigen Vorderhüften berühren sich (Abb. 2 links). Der Abstand zwischen den Mittelhüften ist etwa halb so breit wie eine Hüfte (Abb. 5).[9] Kippenberg schlägt für die beiden an Schilf (Phragmites) lebenden Arten die Untergattung Arundonacia vor (Phragmites communis hieß früher Arundo phragmites).[10][11]
Larve
Die Larve ist an das Leben im Wasser angepasst. Sie erinnert im Aussehen an eine Raupe (in Abb. 8 mehrere Exemplare), gräbt im Schlamm oder kriecht auf den untergetauchten Teilen der Wasserpflanzen herum. Im letzten Stadium misst sie elf bis dreizehn Millimeter bei einer Dicke von etwa drei Millimetern. Sie ist blind und blass grünlichgrau. Die Oberseite ist gerundet, die Unterseite leicht konkav. Der Kopf kann zurückgezogen werden. Die Larve hat sechs Beine. Am elften Hinterleibssegment sitzen zwei nach unten gerichtete, stark chitinisierte Dornen. Diese dienen während der Fortbewegung als Hilfsbeine. Außerdem haben sie eine Rinne, die mit dem Tracheensystem in Verbindung steht und über die Sauerstoff aus Wasserpflanzen aufgenommen werden kann.[12][8]
Biologie
Die Käfer überwintern unter Wasser an Schilfpflanzen. Sie erscheinen im Mai für ein bis zwei Monate. Während dieser Zeit wird auch die Paarung vollzogen. Während der kühleren Tageszeit verstecken sich die Käfer gern in den Blattachseln der jungen Triebe der Schilfpflanze. Derart verborgene Käfer verraten sich gelegentlich durch die Anwesenheit von Blattläusen.[13] Während der warmen Tageszeit laufen sie auf den Schilfblättern umher und fliegen auch gerne kleinere Strecken, wobei sie nicht nur auf Schilfpflanzen, sondern auch gerne auf den Blüten der Sumpf-Schwertlilie landen. Manchmal wird als weitere Wirtspflanze das Rohrglanzgras angegeben.[14][15]
Zu dieser Jahreszeit sind noch mehrere Blätter übereinander eng um den Schilfstängel gewickelt. Wenn die Käfer fressen, nagen sie sich durch mehrere Lagen der aufgerollten Blattspreiten, so dass die Blätter, nachdem sie sich entfaltet haben, durch das Benagen Serien von länglichen unregelmäßigen Löchern aufweisen.[16]
Einige Tage nach der Begattung begeben sich die Weibchen wieder unter Wasser. Über etwa zwei Wochen werden vierzig bis fünfzig Eier einzeln an den Wurzeln von Schilfpflanzen der Gattung Phragmites abgelegt.[8] Jedes Ei wird nach dem Ablegen mit einem Sekret umgeben, das zu einem Sekretmantel erstarrt und das Ei an die Wirtspflanze klebt. Die länglichen Eier haben einen spitzeren und einen stumpferen Pol. Unter dem spitzeren Pol bildet sich der Kopf der Larve. Das Weibchen platziert über diesem Eipol ein kleines Häufchen Bakterien aus seinem Verdauungstrakt. Wenn sich die Larve entwickelt hat und nach zehn bis zwanzig Tagen aus der Eihülle schlüpft, verspeist sie dabei die Bakterien. Diese ermöglichen dann in ihrem Darm das Verdauen der aufgenommenen Nahrung.[17][18]
Die Larve frisst anfangs kleine Haarwurzeln an den Unterwassertrieben der Schilfplanze. Durch die dichte Behaarung können die Larven genügend im Wasser gelösten Sauerstoff aufnehmen. Ab der dritten Häutung sind die Haken am Körperende kräftig genug, um in die Wirtspflanze hineingedrückt zu werden. Sie dienen jetzt einem doppelten Zweck. Einmal tragen sie zur sicheren Fortbewegung auf den unter Wasser liegenden Teilen der Wirtspflanze bei, zum anderen können damit die Luft führenden Interzellularräume der Wirtspflanze angestochen werden. Durch das System von Spalten entlang der Dornen gelangt die Luft in das Tracheensystem der Larve, das sie über die seitlich gelegenen Spaltöffnungen wieder verlässt. Gleichzeitig frisst sich der gesamte Kopf in die Wirtspflanze, wird durch das erste Brustsegment abgedichtet und widmet sich der Nahrungsaufnahme.[19] Die Verpuppung erfolgt nach 5 Larvenstadien nach etwa zwei Jahren, eine Generation umfasst drei Jahre.[20]
Zur Verpuppung scheidet die Larve ein zähflüssiges Sekret aus, das sich zu einem Kokon erhärtet. Der Kokon ist ein pergamentartiges, außen schwarzviolettes, inwändig weißes eiförmiges Gehäuse. Durch feine Einstiche besteht eine Verbindung zum Luftsystem der Wirtspflanze, über die der Sauerstoff, der zur Verwandlung zum Käfer nötig ist, bezogen wird. Der Luftdruck innerhalb der Pflanze presst das Wasser aus dem Kokon heraus. Darüber hinaus bleibt die Luft im Kokon mit der Luft in der Pflanze in Verbindung und wird dadurch ständig erneuert. Die Verpuppung sowie die Entwicklung und der Schlupf zum Jungkäfer geschehen so in einem mit Luft gefüllten, wasserfreien Raum. Will der Käfer nach abgeschlossener Entwicklung den Kokon verlassen, beißt er ein Loch hinein, schlüpft dadurch hinaus und wird von der an der Bauchbehaarung haftenden Luft an die Wasseroberfläche hochgetragen.[21]
Manche Käfer verlassen noch im Herbst den Kokon und sind dann auch außerhalb des Wassers zu finden, die meisten Käfer überwintern jedoch im Kokon und erscheinen erst im nächsten Frühjahr.[8]
Verbreitung
Die Unterart Donacia clavipes clavipes ist in Europa weit verbreitet, aber ihr Vorkommen erstreckt sich auch bis Zentralasien und West- und Südsibirien. Innerhalb Europas findet man den Käfer von Irland, Großbritannien, Norwegen, Schweden und Finnland im Norden bis nach Portugal, Spanien, Frankreich, Italien, die Balkanländer, Griechenland und die Türkei im Süden.
Eine weitere Unterart Donacia clavipes glabrata findet man in der Ostpaläarktik in Ostsibirien bis nach Ostchina.[22][23]
Literatur
- Heinz Freude, Karl Wilhelm Harde, Gustav Adolf Lohse (Hrsg.): Die Käfer Mitteleuropas. Band 9: Cerambycidae Chrysomelidae. Spektrum Akademischer Verlag, München 1999, ISBN 3-8274-0683-8 (Erstausgabe: Goecke & Evers, Krefeld 1966). S. 104
- Klaus Koch: Die Käfer Mitteleuropas. Hrsg.: Heinz Freude. Band 3: Ökologie. Goecke & Evers, Krefeld 1992, ISBN 3-87263-042-3. S. 51
- Gustav Jäger (Hrsg.): C. G. Calwer’s Käferbuch. K. Thienemanns, Stuttgart 1876, 3. Auflage S. 544 als Donacia menyanthidis
Einzelnachweise
- ↑ Donacia clavipes bei Fauna Europaea, abgerufen am 9. Feb. 2022
- ↑ Gattung Donacia bei GBIF abgerufen am 9. Februar 2022
- ↑ a b Joh. Chr. Fabricius: Entomologiae systematicae, emmendatae et auctae Band 1, Teil 2, Hafnia (Kopenhagen) 1793 S. 117 Nr. 7
- ↑ Sigmund Schenkling: Erklärung der wissenschaftlichen Käfernamen (Art)
- ↑ Johann Christian Fabricius: Systema entomologiae, sistens insectorvm classes, ordines, genera, species, adiectis synonymis, locis, descriptionibvs, observationibvs Flensburg, Leipzig 1775 S. 195, 51. Gattung
- ↑ Sigmund Schenkling: Erklärung der wissenschaftlichen Käfernamen (Gattung)
- ↑ Leonardo Gyllenhal: Insecta svecica Tom. I, Pars III 1813 S. 662 Donacia menyanthidis
- ↑ a b c d Brehms Tierleben, 3. gänzlich neubearbeitete Auflage -Insekten Leipzig, Wien 1892S.192 Bild + Biologie
- ↑ Bei coleonet Schlüssel für Donacia
- ↑ H. Kippenberg: Strukturierung von artenreichen Gattungen, am Beispiel von Donacia Fabricius (Coleoptera: Chrysomelidae) in Koleopterologische Rundschau Nr. 85, S. 249 – 282, Wien September 2015 S. 257
- ↑ W. F. Erichson et al.:Naturgeschichte der Insecten Deutschlands 1. Abteilung: Coleoptera – 6. Band Berlin 1893 S. 34 clavipes
- ↑ Goury, Gouignon, J: Les insectes parasites de Nymphéacées in La Feuille des jeunes Naturalistes 35. Jahr, IV. Serie, 5. Jahr, Paris 1904-1905 S. 37
- ↑ Claude Morley als Beobachtung in The Entomologist's monthly magazin Vol. LIV (third series Vol. IV) London 1918 S. 183 mit Blattläusen
- ↑ Maurice Lambertie: Des époques d'évolution et de l'habitat des espèces du genre Donacia Fabr. Dans le département de la Gironde in Actes de la Société Linnéenne de Bordeaux Vol. LXII (7.te série, tome II) Bordeaux 1907 S. CXL Aktivität
- ↑ Hans Ullrich Kostenbader: Beitrag zur Koleopterenfauna Baden-Württembergs in Mitteilungen des Entomologischen Vereins Stuttgart S. 7 auch auf Glanzgras (Baldingera)
- ↑ Jan S. Menzies, Michel M. Cox: Notes on the natural history, distribution and identification of Britisch Reed Beetles in British Journal of Entomology and natural history Vol. 9, part 1, January 1996 S. 141 Fraßspuren
- ↑ Bernhard Klausnitzer: Wunderwelt der Käfer. Herder Verlag, Freiburg, ISBN 3-451-19630-1, S. 121
- ↑ Adolf Horion: Käferkunde für Naturfreunde. Vittorio Klostermann, Frankfurt am Main 1949, S. 200
- ↑ Jonas Hagge: Atmung bei aquatischen Käfern – Lebensweise und morphologische Anpassungen bei Schilfkäfern Donacia (Coleoptera, Chrysomelidae), Naturkundliche Beiträge de DJN 38, 2016 als PDF
- ↑ A. O. Bienkowsky: Life cycles of Donaciinae S. 161
- ↑ Kurt Lampert: Das Leben der Binnengewässer Leipzig 1899 S. 107
- ↑ E. Geiser, M.A. Jäch: Explanatory notes on the updates concerning the genus Donacia Fabricius, 1775 in the second edition of the Catalogue of Palaearctic Coleoptera, Vol. 6/2 (Coleoptera: Chrysomelidae) in Koleopterologische Rundschau, 91, Wien Oktober 2021 S. 161
- ↑ Ebru Gül Aslan, Hassan Ghahari: Contribution to the Chrysomelidae (Coleoptera) Fauna of Guilan Province (Northern Iran) with New Records J. Entomol. Res. Soc., 19(3): 85-94, 2017 ISSN 1302-0250 (Kann über Google-Scholar heruntergeladen werden)

.png)










