Generalkarte

Als Generalkarte wird seit dem 19. Jahrhundert eine topografische Übersichtskarte bezeichnet. Gebräuchlichster Kartenmaßstab ist 1:200.000, bei dem die kartografische Darstellung des Geländes noch einigermaßen detailtreu sein kann. Dieser Artikel befasst sich auch mit Karten gleicher Art, die nicht unter dem Namen Generalkarte, sondern mit anderen Bezeichnungen erschienen und heute erscheinen.
Historische Generalkarte
Übersicht

In Europa gaben vor 1900 mehrere Staaten Kartenwerke dieses Namens heraus, u. a. Deutschland und Österreich-Ungarn als Generalkarte 1:200.000. Diese Kartenserie wurde von Österreich als Generalkarte von Mitteleuropa (etwa 300 Blätter, je 1 × 1° oder ca. 111 × 75 km) sogar auf halb Europa von Nizza bis Belarus ausgedehnt; Basis war die Franzisco-Josephinische Landesaufnahme von 1880 bis etwa 1890. Einige Staaten gaben auch Karten in den Maßstäben 1:100.000, 1:300.000 sowie 1:288.000 heraus, wobei letzterer auf dem früheren Zoll- und Klafter-Längenmaß beruht.
Im militärischen Bereich wurde der Terminus Generalkarte auch für die sogenannten Generalstabskarten benützt, die ähnliche Kartenmaßstäbe aufwiesen.
G. D. Reymann’s Topografische Specialkarte von Mitteleuropa (1806–1908)
Diese Karte erschien nicht unter dem Namen Generalkarte, stellt jedoch die Urform der modernen Generalkarte dar. Das Kartenwerk ist die erste vollständige topografische Landkarte für ganz Mitteleuropa; es ist als Vorläufer der amtlichen Topographischen Übersichtskarte 1:200.000 (TÜK 200) der Bundesrepublik Deutschland „und entfernt auch als Vorgänger der Deutschen Generalkarte von MairDumont zu sehen“.[1]
1806 begann Plankammerinspektor G. D. Reymann dieses riesige Kartenwerk zu erstellen. 1846 wurde Reymann’s Special Karte vom Verlag v. C. Flemming übernommen. Die Preußische Armee lobte die Detailgenauigkeit. Insgesamt sollten 796 Einzelblätter (34 × 23 cm) für ganz Mitteleuropa, von Alençon in der Normandie bis nach Minsk in Belarus, fertiggestellt werden, was für die Schweiz und Österreich-Ungarn nicht realisiert wurde.
„Die Reymann’s Special-Karte ist bei Kartographen und Historikern leider recht unbekannt. Das ist angesicht der kartographischen Leistung von Gottfried Reymann und dem Stellenwert der Karten im 19. Jahrhundert kaum zu glauben. Die Karten sind sehr genau und reichen von Paris bis Minsk. Für Historiker und für die Ahnenforschung kann man diese Karten als eine der wichtigsten Informationsquellen des 19. Jahrhundert bezeichnen. Das preußische Militär hatte durch Reymann und später Flemming einen großen militärischen Vorteil und übernahm die Kartographie ab 1874.“
Moderne Generalkarte
Überblick
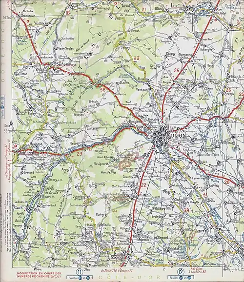
Die moderne Form der Generalkarte ist eine Kombination einer topografischen Karte mit einer Straßenkarte und besitzt deshalb auch einen ungleich höheren Informationsgehalt und ein viel qualitätsvolleres Kartenbild[2] als die schematischen Online-Straßenkarten.
In Österreich wurde das Kartenwerk ab etwa 1950 als Österreichische Karte ÖK 250 (ca. 20 Blätter, Blattschnitt nach geogr. Koordinaten 1 × 1°) modernisiert. Herausgeber ist das Bundesamt für Eich- und Vermessungswesen.
Bei der Landeskarte der Schweiz wird die Ausgabe im Maßstab 1:300 000 als Generalkarte bezeichnet.
Wichtiges Hauptkennzeichen: der Maßstab 1:200.000
Zum Hauptkennzeichen der modernen Generalkarte wurde, zumindest in Deutschland, jedoch der Maßstab 1:200.000, weshalb dieser Maßstab zum Synonym für den Begriff Generalkarte wurde. Er ist deshalb für Straßenkarten von großer Bedeutung, weil erst ab dieser Größe in dicht besiedelten Gebieten, wie Mitteleuropa, eine Straßenkarte genügend Platz bietet, um jedes Dorf, jeden Weiler und jede Nebenstraße abzubilden. Eine der wenigen Ausnahmen ist beispielsweise das Westallgäu, mit einer extrem hohen Dichte an Weilern, Einöden und „Grüner-Plan-Straßen“, für die selbst dieser große Maßstab nicht mehr ausreicht. Neuerdings trifft dies auch für eng bebaute Städte, vorwiegend in Talkesseln, zu (Stuttgart, Würzburg), wo das immer dichtere Netz der rot eingezeichneten Umgehungs- und Durchgangsstraßen nicht mehr klar abgebildet werden kann.
Geschichte
ADAC-Straßenkarte Deutschland von Mittelbach (1930er Jahre)
Die erste Kartenserie erschien Anfang der 1930er Jahre als ADAC-Straßenkarte von Deutschland in 56 Blättern in einem modernen, heutigen Kartenbild, das seiner Zeit voraus war. Produziert wurde die neuartige Karte von der Kartographischen Anstalt Robert Mittelbach in Dresden.[3]
Generalkarte von MairDumont (1954–2007)
Unter dem Namen Deutsche Generalkarte wurde dieses moderne Format in heutiger Form erstmals von 1954 bis 1970 in einer Kartenserie von 31 Blättern für Deutschland von Mairs Geographischem Verlag herausgegeben, der 2005 in MairDumont umbenannt wurde. Seit 1978 wurde die Serie mit etwas größeren Blättern auf das Gebiet der DDR erweitert (26 + 8 Kartenblätter). Seit etwa 1985 erscheint dieses verbreitete Kartenwerk auch kombiniert mit Stadtplänen und touristischer Information. Auch touristisch beliebte Küstenregionen im Mittelmeerraum waren inzwischen erfasst worden. Schließlich wurden große Teile Europas abgedeckt, mit eigenen Kartenserien für einzelne Länder, wie beispielsweise für Italien mit 14 sehr großformatigen Blättern.
Qualitätsverlust durch computerbasierte Umarbeitung (ab 2000)
Die Karten entstanden zunächst weiterhin als detailgetreue topografische Übersichtskarten, die in herkömmlicher Weise von Kartografen gezeichnet wurden. Seit etwa der Jahrtausendwende wurde das gesamte Kartenwerk in computerbasierter Herstellung umgearbeitet und liegt seitdem in etwas vereinfachter Form vor, mit dem Vorteil der leichteren Lesbarkeit. Jedoch gab es, wie in Folge digitaler Herstellung nahezu überall, Einbußen bei der Genauigkeit und Zuverlässigkeit, mit Fehlern auch bezüglich der Aktualität. Die Karten wurden in dieser inzwischen üblichen, einfacheren Produktionsweise erstellt, lediglich mit grafischer Umwandlung der Kartenbildes und ohne ausreichende (örtliche) geografische Kenntnisse der Bearbeiter sowie Prüfungen vor Ort.
Die Karte besitzt aber immer noch eine wesentlich höhere Qualität als von Anfang an computerbasiert hergestellte Karten mit ihren nur noch schematischen, zweidimensionalen Darstellungen einer Online-Straßenkarte, ohne Relief und ausgeprägtes topografisches Kartenbild.
Gegenwart
Großer Umbruch 2007
2007 erfolgte ein großer Umbruch bei MairDumont. Der geografische Spezialverlag stieg überraschend aus seinem jahrzehntelangen Kerngeschäft, der Generalkarte im Maßstab 1:200.000, aus, die den deutschen Individualtourismus weithin geprägt hatte. MairDumont übernahm eine Kartenserie im Maßstab 1:200.000 und anderen Maßstäben vom RV-Verlag, einem Teil der Falk-Verlagsgruppe, die 1998 unter Auflösung der Marke RV-Verlag übernommen worden war.
Kartenserie von Marco Polo („neue Generalkarte“)
Unter der Marke Marco Polo, unter der von MairDumont bisher Reiseführer erschienen, wird seit 2007 zudem die gleichnamige, digital erstellte Kartenserie im Detailmaßstab 1:200.000 herausgegeben (siehe den Abschnitt Qualitätsverlust durch computerbasierte Umarbeitung). Die Karte ist in den Ortschaften sehr vereinfacht und erreicht hier nicht einmal mehr die Qualität der Generalkarten des 19. Jahrhunderts. Dafür ist sie, wenn auch ohne detailgetreue Darstellung, wieder sehr zuverlässig in den Verbindungsstraßen und -wegen, wo es in Folge der digitalen Umarbeitung bei der Generalkarte große Einbußen gab. Zudem sind touristisch sehenswerte Orte sehr ausführlich gekennzeichnet, was bisherige Onlinekarten nicht vermochten.
Bis heute (2018) erscheinen im Maßstab 1:200.000 folgende Gebiete: Deutschland, Österreich, Schweiz, Italien, Tschechien, Slowakei, Benelux, Dänemark sowie Teile Nordfrankreichs, die kroatische Küste und einige spanische Küsten. Damit sind die Gebiete der einstigen Generalkarte wieder abgedeckt.
Kartenserie des ADAC
Seit dem Ausstieg aus der Generalkarte von MairDumont füllt für Deutschland zudem der ADAC die entstandene Marktlücke. Er bringt eine Karte, die mit der Generalkarte nahezu identisch ist, namenlos (nur mit der Bezeichnung Deutschland) als Kartenset im Maßstab 1:200.000 mit 20 Karten auf zehn Doppelblättern heraus. Zusätzlich liegt sie in Form eines Autoatlasses mit dem Namen ADAC Reiseatlas vor.
Freytag & Berndt
Der Wiener kartografische Verlag Freytag & Berndt gibt im Maßstab 1:200.000 oder größere Karten von diversen Ferienregionen heraus, insbesondere von Italien und nahezu flächendeckend vom Gebiet der einstigen Doppelmonarchie Österreich-Ungarn, dem Tätigkeitsschwerpunkt der österreichischen kartografischen Anstalt. Die Karten entsprechen nicht dem Deutschen Kartenbild. Sie sind, wie heute üblich, computerbasiert hergestellt, unter Verlust der Detailtreue. Die Topografie, insbesondere mit Bergen und Gebirgen, ist nur ansatzweise dargestellt. Schöne Landschaften, landschaftlich schöne Strecken, Wanderwege und Berggasthäuser sind im Gegensatz zu den Karten des ADAC im Maßstab 1:200.000 nicht gekennzeichnet.
Michelin

Der Reifenhersteller Michelin konzentriert sich bei seinen Straßenkarten in Detailmaßstäben, mit Ausnahme Italiens, auf sein kartografisches Kerngebiet Westeuropa und geriet damit weitgehend nicht in Konkurrenz zu den Generalkarten deutscher Herausgeber. Die Karten von Michelin sind noch aussagekräftiger als das Deutsche Kartenbild und werden von Kennern wegen ihrer großen Detailtreue besonders geschätzt.
Von Frankreich erscheinen derzeit im Maßstab 1:200.000 von Michelin 17 Regionalkarten. Zudem werden die Pyrenäen, Nordspanien, einige spanische Küsten und die Balearen abgedeckt, teilweise im noch detailtreueren Maßstab 1:150.000. Außerdem erscheinen die Karten auch in Form von Autoatlanten: für Frankreich und Italien im Maßstab 1:200.000, für Benelux im Maßstab 1:150.000 sowie für Spanien/Portugal.[4]
Für Länder, die von obigen Herausgebern nicht abgedeckt werden, ist es für Auto- und Motorradfahrer, die Ansprüche an ihre Reise stellen, oftmals nicht möglich, detailgetreue Straßenkarten zu finden.
Literatur
- V. Heissler, G. Hake: Kartographie, Band I (S. 167–214) und Band II (S. 76ff, 187ff). Sammlung Göschen, de Gruyter, Berlin 1970.
- Johannes Frischauf: Grundlagen der Landesaufnahme und Kartographie. K. Wittwer, Wien/Stuttgart 1913.
- Die Generalkarte – Deutschland. Mairs Geogr. Verlag, Ostfildern 1982–1995.
- Ingrid Kretschmer: Atlantes Austriaci. 2. Band, 1919–1994, Böhler-Verlag, Wien/Köln 1995.
Weblinks
Einzelnachweise
- ↑ a b Landkartenarchiv.de: G. D. Reymann's Topografische Specialkarte von Mitteleuropa (1806–1908) 1: 200.000. Abgerufen am 10. April 2018.
- ↑ Kartenausschnitt aus der ADAC Straßenkarte M=1:200.000, Nachfolger der bis 2007 von MairDumont herausgebrachten Deutschen Generalkarte. Abgerufen am 12. April 2018.
- ↑ ADAC-Straßenkarte von Deutschland 1930er Jahre. Abgerufen am 10. April 2018.
- ↑ Michelin Travel Partner (Firm): España & Portugal : atlas de carreteras y turístico = atlas rodoviário e turístico = atlas routier et touristique = tourist and motoring atlas = strassen- und resiseatlas = toeristische wegenatlas. Abgerufen am 27. Oktober 2018.