Flughafen Paso Robles
| Paso Robles Municipal Airport | ||||
|---|---|---|---|---|
![]() | ||||
| ||||
| Kenndaten | ||||
| ICAO-Code | KPRB | |||
| IATA-Code | PRB | |||
| Koordinaten | 35° 40′ 22″ N, 120° 37′ 37″ W | |||
| Höhe über MSL | 256 m (840 ft) | |||
| Verkehrsanbindung | ||||
| Entfernung vom Stadtzentrum | 4 km nordöstlich von El Paso de Robles, San Luis Obispo County Kalifornien, | |||
| Basisdaten | ||||
| Eröffnung | 1942 | |||
| Betreiber | Stadt Paso Robles | |||
| Fläche | 526 ha | |||
| Flug- bewegungen |
36.250 (2022) | |||
| Start- und Landebahnen | ||||
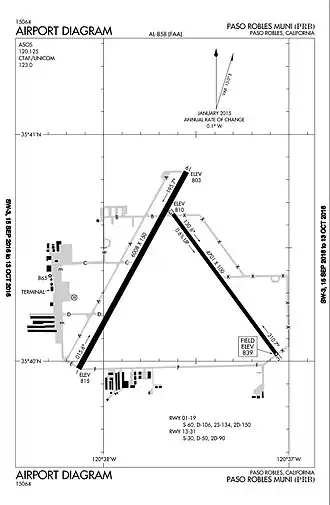
| 01/19 | 3048 m × 46 m Asphalt | |||
| 13/31 | 1433 m × 30 m Asphalt | |||
| H1 | 30 m × 30 m Asphalt | |||
| Webseite | ||||
| prcity.com | ||||
Der Paso Robles Municipal Airport (IATA-Code: PRB, ICAO-Code: KPRB) ist ein öffentlicher Flughafen 4 km nordöstlich von El Paso de Robles im San Luis Obispo County, Kalifornien, in den Vereinigten Staaten.[1]
Flughafendaten
Er hat zwei Asphaltpisten, eine mit 1831 m Länge und 46 m Breite und eine mit 1433 m × 30 m Breite sowie einen Hubschrauberlandeplatz mit 30 × 30 m. Die Fläche des Flughafens beträgt 526 ha. Die Seehöhe beträgt 256 m.[1]
Geschichte
Im Jahr 1933 führte Pacific Seaboard Air Lines planmäßige Passagierflüge mit einmotorigen Bellanca CH-300 durch, zwei tägliche Hin- und Rückflüge Los Angeles – Santa Barbara – Santa Maria – San Luis Obispo – Paso Robles – Regionalflughafen Monterey – Salinas – San Jose – San Francisco.[2] Später verlegte Pacific Seaboard ihren Betrieb in den Osten der USA, wurde in Chicago and Southern Air Lines umbenannt und entwickelte sich zu einer inländischen und internationalen Fluggesellschaft, die 1953 von Delta Air Lines übernommen und mit dieser fusioniert wurde.[3]
Im September 1942 begann der Bau des Flugplatzes, der als Bomberbasis des Marine Corps genutzt werden sollte. Im April 1943 wurde das Feld als Estrella Army Airfield zur Nutzung durch das Army Air Corps eingeweiht. Das Estrella Army Airfield verfügte über 1259 Acres (509 ha) Land, zwei 4700 Fuß (1400 m) lange Start- und Landebahnen, ein Betriebsgebäude und eine Feuerwache mit drei Feldern. Am 29. August 1947 übertrug die Bundesregierung 1057 Acres (4,28 km²) an den Landkreis San Luis Obispo, um sie als Verkehrsflughafen zu nutzen, und 202 Acres (0,82 km²) und Gebäude an den Bundesstaat Kalifornien, um sie als Justizvollzugsanstalt zu nutzen. Der Landkreis San Luis Obispo verlängerte die Landebahn 01/19 von 4700 Fuß auf 6009 Fuß, installierte eine stärkere Beleuchtung und baute zwischen 1949 und 1952 einen großen Hangar, zehn T-Hangars und ein Terminalgebäude.[4]
Im Jahr 1956 begannen die Flüge von Southwest Airways mit Martin 4-0-4. Southwest Airways änderte ihren Namen in Pacific Air Lines, die später Paso Robles mit Fairchild F-27 nach Los Angeles, San Francisco und in andere kalifornische Städte flog. 1968 fusionierte Pacific Air Lines mit Bonanza Air Lines und West Coast Airlines zur Air West, die den Flughafen weiterhin mit F-27-Flugzeugen bediente. 1970 wurde Air West in Hughes Airwest umbenannt und bediente Paso Robles bis 1974 weiterhin mit F-27. Pacific, Air West und Hughes Airwest führten San Luis Obispo in ihren Flugplänen alle als über den Flughafen Paso Robles angeflogen an.[5][6]
Am 7. Mai 1973 verkaufte das County San Luis Obispo den Flughafen für 1 Dollar an die Stadt Paso Robles.[4]
Nach der Einstellung des Dienstes von Hughes Airwest war Swift Aire Lines mit Sitz in San Luis Obispo 1976 die einzige Fluggesellschaft, die Paso Robles mit Nonstop-Flügen von San Francisco (SFO) und San Jose (SJC) sowie Direktflügen von Los Angeles (LAX) bediente, wobei letztere Flüge sowohl in Santa Maria als auch in San Luis Obispo Zwischenstopps einlegten. Alle diese Flüge wurden mit de Havilland Heron durchgeführt.[7][8] Mehrere Zubringerfluggesellschaften wie Golden Carriage Air und Eagle Airlines bedienten Paso Robles Ende der 1970er Jahre, aber keine erwies sich als erfolgreich.[9]
Aktuelle Aktivitäten
Am Flughafen gibt es keine Linienflüge, es gibt jedoch Charterflüge. Das California Department of Forestry and Fire Protection (CalFire) verfügt am Flughafen über eine Luftangriffsbasis für den großflächigen Brandschutz in drei Landkreisen (San Luis Obispo County, Kern County und Monterey County) und dem 5.800.000 Acres (23.000 km²) großen Wildlandgebiet in diesem Teil Zentralkaliforniens. An der Basis werden Flugzeuge mit feuerhemmenden Chemikalien wie Phos Chek beladen, die bei Busch- und Waldbränden abgeworfen werden. Die Air Operations Division der California Highway Patrol (CHP) verfügt über ein Flugzeug zur Geschwindigkeitskontrolle sowie einen Hubschrauber für Such- und Rettungseinsätze. Diese örtliche Flugbetriebsabteilung bietet auch verschiedene Such- und Patrouillendienste für die örtlichen Gemeinden an. Der Flughafen ist eine Unterstützungseinrichtung für drei örtliche Militäreinrichtungen: Camp Roberts, Fort Hunter-Liggett und Camp San Luis Obispo.

Flugbetrieb
Im Jahre 2022 haben 36.250 Flugbewegungen stattgefunden, davon 21.500 lokale Bewegungen, 11.000 Zwischenlandungen, 2.500 Air-Taxi-Flüge und 1.250 militärische Flüge. 9 einmotorige und 5 zweimotorige Turboprop-Flugzeuge und 1 Hubschrauber waren 2022 hier stationiert.[1]
Die wichtigsten Airlines für den Flughafen sind Southwest Airlines und United Airlines.[10]
Siehe auch
Liste der Verkehrsflughäfen in den Vereinigten Staaten
Weblinks
Einzelnachweise
- ↑ a b c PRB Airport Master Record. (PDF) FAA, abgerufen am 14. Oktober 2023 (englisch).
- ↑ Pacific Seaboard Air Lines Timetable Sommer 1933 timetableimages.com; (englisch); abgerufen am 13. Oktober 2023
- ↑ Family Tree deltamuseum.org; (englisch); abgerufen am 13. Oktober 2023
- ↑ a b History prcity.com; (englisch); abgerufen am 14. Oktober 2023
- ↑ Pacific Air Lines Timetable 28. April 1968 timetableimage.com; (englisch); abgerufen am 14. Oktober 2023
- ↑ Hughes Airlines July 1, 1972 System Timetable timetableimage.com; (englisch); abgerufen am 14. Oktober 2023
- ↑ Swift Aire Lines Timetable 1. August 1976 timetableimage.com; (englisch); abgerufen am 14. Oktober 2023
- ↑ Swift Aire - Swift Airlines, Heron jjpostcards.com; (englisch); abgerufen am 14. Oktober 2023
- ↑ Paso Robles Timetable 15. November 1975 timetableimage.com; (englisch); abgerufen am 14. Oktober 2023
- ↑ History prcity.com; (englisch); abgerufen am 14. Oktober 2023


_location_map.svg.png)