Dallas Love Field
| Dallas Love Field | ||||
|---|---|---|---|---|
![]() | ||||
| Der Flughafen im Stadtbild von Dallas | ||||
| ||||
| Kenndaten | ||||
| ICAO-Code | KDAL | |||
| IATA-Code | DAL | |||
| Koordinaten | 32° 50′ 50″ N, 96° 51′ 6″ W | |||
| Höhe über MSL | 148 m (486 ft) | |||
| Verkehrsanbindung | ||||
| Entfernung vom Stadtzentrum | 9 km nordwestlich von Dallas | |||
| Straße | Dallas North Tollway | |||
| Nahverkehr | ||||
| Basisdaten | ||||
| Eröffnung | 19. Oktober 1917 | |||
| Betreiber | Dallas Department of Aviation | |||
| Fläche | 526[1] ha | |||
| Terminals | 2 | |||
| Passagiere | 17.591.609[2] (2023) | |||
| Luftfracht | 13.608 t[3] (2023) | |||
| Flug- bewegungen |
251.988[4] (2023) | |||
| Beschäftigte | 17.282[5] (2021) | |||
| Start- und Landebahnen | ||||
| 13L/31R | 2363 m × 46 m Beton | |||
| 13R/31L | 2682 m × 46 m Beton | |||
Dallas Love Field (IATA-Code: DAL, ICAO-Code: KDAL) ist ein öffentlicher Flughafen in Dallas, Texas in den Vereinigten Staaten. Love Field war der bedeutendste Flughafen in der Region, bis 1974 der Flughafen Dallas/Fort Worth eröffnet wurde. Heute ist Love Field eines der wichtigsten Drehkreuze der Fluggesellschaft Southwest Airlines. Nach langjährigen politischen und juristischen Streitereien konnten auch Virgin America und Delta Air Lines Flüge von und nach Love Field anbieten. Virgin America wurde zwischenzeitlich von Alaska Airlines übernommen.[2][6][7]
Lage und Verkehrsanbindung
Dallas Love Field liegt neun Kilometer nordwestlich des Stadtzentrums von Dallas. Die Interstate 35E verläuft einen bis drei Kilometer westlich des Flughafengeländes, während der Dallas North Tollway zwei Kilometer östlich des Flughafengeländes verläuft.[8]
Dallas Love Field wird durch Busse in den öffentlichen Personennahverkehr eingebunden, die Buslinie 5 der Dallas Area Rapid Transit verbindet das Passagierterminal mit der Station Inwood/Love Field der Stadtbahn Dallas.[9] Außerdem liegt die Station Burbank der Stadtbahn Dallas unmittelbar westlich des Flughafengeländes.
Geschichte
Bis 1960
Love Field wurde am 19. Oktober 1917 in der Nähe des Bachman Lake als Militärflugplatz eröffnet. Der Name des Flughafens geht auf First Lieutenant Moss Lee Love zurück, der bei einem Flugzeugabsturz in San Diego, Kalifornien ums Leben kam. Für die zivile Luftfahrt wurde Love Field 1927 freigegeben.
Love Fields erstes Terminalgebäude wurde am 20. Oktober 1957 eingeweiht und am 20. Januar 1958 für den allgemeinen Flugverkehr freigegeben. Das Terminal hatte ursprünglich drei Wartehallen mit 26 Flugsteigen. Der Flughafen wurde von den Fluggesellschaften American Airlines, Braniff Airlines, Continental Airlines, Delta Airlines und Trans-Texas Airways (später Texas International Airlines) bedient.
Die ersten Düsenflugzeuge bedienten den Flughafen ab dem 1. April 1959 mit der Verwendung des Turbopropflugzeugtyps Vickers Viscount durch Continental Airlines. Die ersten Flüge mit Strahltriebwerken begannen am 12. Juli 1959 durch American Airlines mit der Boeing 707 nach New York.
1960er Jahre

Als die beiden Städte Dallas und Fort Worth in den späten 1960er Jahren ein Abkommen unterschrieben, gemeinsam den Dallas/Fort Worth Regional Airport (den späteren Flughafen Dallas/Fort Worth) zu errichten, war vorgesehen, den Passagierverkehr in den eigenen städtischen Flughäfen zu beschränken. Zusätzlich wurde der unweit vom neuen Flughafen gelegene Greater Southwest International Airport in Fort Worth geschlossen und in das CentrePort Gewerbegebiet umgewandelt. Love Field in Dallas blieb als wichtiger Bestandteil der Luftfahrtinfrastruktur in Nordtexas weiter geöffnet.
1970er Jahre
Im Jahr 1971 wurde Southwest Airlines mit Sitz in Love Field gegründet. Das Hauptgeschäft der neuen Fluggesellschaften waren Billigflüge zwischen Dallas, Houston und San Antonio. Ansatz war zu dem Zeitpunkt, dass die Vorteile der recht kurzen Flüge innerhalb von Texas durch die lange Anfahrt zum neuen Flughafen zunichtegemacht werden würden.
Nach einer Klage von Southwest Airlines gegen die Stadt Dallas entschieden die Richter, dass die Stadt der Fluggesellschaft nicht verbieten dürfte, Love Field zu bedienen, solange der Flughafen weiter geöffnet ist. Die anderen Fluggesellschaft unterzeichneten Verträge mit den Betreibern des neuen Flughafens, die eine weitere Bedienung von Love Field für sie ausschloss. Nach Eröffnung von Dallas/Fort Worth war Southwest damit die einzige Fluggesellschaft, die Flüge von und nach Love Field anbot.
Durch die drastische Verringerung des Flugverkehrs in Love Field war es nötig, neue Verwendungsmöglichkeiten für die nicht mehr genutzten Terminals zu finden. Von November 1975 bis Mai 1978 wurde einer der Wartehallen für ein als Llove Entertainment Complex bezeichneter Vergnügungspark verwendet, das aus Kinos, einer Eis- und Rollschuhbahn, einer großen Spielhalle, Restaurants und einer Bowlingbahn bestand.
Einige weitere Gebäude wurden im Zuge der nächsten Jahre verstärkt von Southwest zu Werk- und Ausbildungszwecken verwendet.
Wright-Amendment
Nachdem 1978 der Luftverkehr in den Vereinigten Staaten durch den Airline Deregulation Act dereguliert wurde, verkündete Southwest das Ziel, den Passagierverkehr in Love Field stark auszubauen und auch Flüge in andere Bundesstaaten anzubieten. Die Pläne der Fluggesellschaft wurden von den Betreiberstädten des neuen Flughafens Dallas/Fort Worth abgelehnt. Der Kongressabgeordnete und spätere Sprecher des Repräsentantenhauses Jim Wright legte ein neues Gesetz als Kompromisslösung zum Schutz von Dallas/Fort Worth vor, das auch vom Kongress verabschiedet und als Wright-Amendment bekannt wurde. Passagierflüge von Love Field mit mehr als 56 Fluggästen waren auf Ziele in Texas und den vier Nachbarstaaten Louisiana, Arkansas, Oklahoma und New Mexico beschränkt. Das Gesetz ist bis heute umstritten und hat mehrere Veränderungen erfahren, die Love Field als Flughafen wieder attraktiver machen sollten.
In den nächsten Jahren baute Southwest seine Flüge aus Love Field zu Orten in den fünf Bundesstaaten weiter aus und wurde eine der erfolgreichsten Billigfluggesellschaften in den Vereinigten Staaten.
1980er und 1990er Jahre
Mit dem Erfolg von Southwest gab es von Seiten anderer Fluggesellschaften wieder verstärktes Interesse, Flüge von und nach Love Field anzubieten. Southwests Mitgründer Lamar Muse gründete 1982 Muse Air, der sich auf Kurzstreckenflüge mit DC-9 und MD-80 zwischen Love Field und Houston konzentrierte. Als Muse Air längerfristig erfolglos mit Southwest konkurrierte, kaufte Southwest die Fluggesellschaft 1985, benannte sie in TranStar Airlines um und stellte ihren Betrieb 1987 ein. Continental Airlines zeigte 1985 verstärkt Interesse, wieder Love Field anzufliegen, was zu langjährigen juristischen Auseinandersetzungen mit der Stadt Fort Worth und der Betreibergesellschaft von Dallas/Fort Worth über die Auslegung des Wright-Amendments führte. Die Stadt Dallas wiederum betrieb 1992 aktive Lobbyarbeit, um das Gesetz aufzuheben, weil sie in zusätzlichem Luftverkehr ein großes wirtschaftliches Potenzial sah. 1997 verabschiedete der Kongress das Shelby-Amendment, benannt nach dem Abgeordneten Richard Shelby, das von nun an auch Flüge aus Love Field nach Kansas, Mississippi und Alabama zuließ.
Infolge des Shelby-Amendments begannen Continental, Delta Airlines und Legend Airlines Vorbereitungen, Flüge von Love Field anzubieten. Fort Worth reichte Klage gegen Dallas ein, um die Umsetzung des neuen Gesetzes zu verhindern. American Airlines trat der Klage auf der Seite von Fort Worth bei, erklärte aber gleichzeitig, dass sie ebenfalls Flüge aus Love Field anbieten würde, wenn andere Fluggesellschaften dazu berechtigt wären. Nach einem Jahr weiterer juristischer Auseinandersetzungen nahm Continental 1998 als erste neue Fluggesellschaft seit 1974 Love Field in ihre Flugziele auf. American Airlines begann ebenso Love Field zu bedienen, versuchte aber weiterhin den Ausbau des Flughafens auf dem Rechtsweg zu verhindern. So verklagten Fort Worth und American Airlines zusammen das Verkehrsministerium der Vereinigten Staaten, um Zulassungen für weitere Flüge aus Love Field zu verhindern.
Seit 2000
Verschiedene United States Court of Appeals lehnten 2000 alle Berufungsanträge gegen das Shelby-Amendment ab, eine weitere Berufung zum Obersten Gerichtshof der Vereinigten Staaten scheiterte. Infolgedessen richteten auch Delta und Legend Flüge aus Love Field ein, wobei das Angebot aufgrund der weiterhin bestehenden Größenbeschränkungen von 56 Passagieren pro Flug hauptsächlich an Geschäftsreisende gerichtet war.
Nach den Terroranschlägen vom 11. September 2001 verringerte sich schlagartig die Nachfrage im amerikanischen Luftverkehr, insbesondere im Bereich der Geschäftsreisenden. In den nächsten Jahren beendeten die meisten Fluggesellschaften ihr Angebot in Love Field, zurück blieben 2003 nur noch Southwest und Continental Express.
2002 feierte Love Field sein 85-jähriges Jubiläum und wurde 2003 in die Liste der Texas State Historical Sites aufgenommen. Das Museum Frontiers of Flight wurde im Jahr 2004 im Südosten des Flughafens eröffnet, nachdem vorher ein kleineres Museum im Terminal eingerichtet wurde.[10]
Am 30. November 2005 wurde Missouri als zusätzlicher Bundesstaat hinzugefügt, der von Love Field direkt angeflogen werden darf. Diese neue Möglichkeit wurde von Southwest mit Flügen nach St. Louis und Kansas City genutzt. American Airlines kehrte am 2. März 2006 mit Flügen nach St. Louis, Kansas City, Austin und San Antonio nach Love Field zurück.
Auf Betreiben der texanischen Senatorin Kay Bailey Hutchison und der Kongressabgeordneten Kay Granger wurden die Beschränkungen des Wright-Amendment am 13. Oktober 2006 durch ein neues Gesetz weiter reduziert.[11] Direktflüge von Love Field zu Orten außerhalb der bisher erlaubten Bundesstaaten werden ab 2014 uneingeschränkt möglich sein. Fluggäste können bereits vor 2014 Tickets von Love Field zu Orten außerhalb der „Wright-Zone“ buchen, sofern die Flüge einen Zwischenhalt in einem der genannten Bundesstaaten machen oder ein Flugzeugwechsel dort notwendig ist. Die Höchstzahl der verfügbaren Flugsteige in Love Field wurde von 32 auf 20 reduziert, wovon zunächst Southwest 16 und American Airlines und Continental Airlines beziehungsweise United Airlines jeweils zwei zustanden.[12] Keine weitere Fluggesellschaft durfte Flüge von oder nach Love Field anbieten, außerdem dürfen keine internationalen Ziele von kommerziellen Fluggesellschaften angeflogen werden.[13] Southwest erklärte am 17. Oktober 2006, dass sie binnen zwei Tagen Flüge zu 25 Orten außerhalb der bisher gestatteten Bundesstaaten anbieten würden.[14]
2010 wurde ein temporäres Passagierterminal eröffnet, während der Umbauarbeiten des eigentlichen Passagierterminals wurden die Flüge von Continental Airlines und Delta Air Lines in das temporäre Terminal verlegt. Das temporäre Terminal erhielt die Bezeichnung Terminal One (T1), während das andere Passagierterminal als Terminal Two (T2) bezeichnet wurde.[15][16][17] Aufgrund der Fusion mit US Airways musste American Airlines die Flugsteige am Dallas Love Field abgeben.[18] Die beiden Flugsteige wurden anschließend an Virgin America vergeben.[19] Bis 2014 wurde das Passagierterminal umgebaut und ein neuer, einzelner Concourse errichtet.[20][21][15]
2015 zog sich United Airlines vom Dallas Love Field zurück, da die beiden Flugsteige an Southwest Airlines vermietet wurden. Zuvor hatte United Airlines Delta Air Lines gestattet, an den Flugsteigen täglich einige Flüge durchzuführen. Da sich Delta Air Lines weigerte, die Flüge einzustellen, kam es zu einem langjährigen Rechtsstreit mit Southwest Airlines, zeitweise mussten sich beide Fluggesellschaften einen Flugsteig teilen.[22][23] 2017 wurde die Start- und Landebahn 18/36 geschlossen und anschließend entfernt.[24][25] Sie wurde seit April 2011 nur noch als Rollbahn genutzt, da sie unter anderem nicht mehr den Sicherheitsstandards der FAA für Start- und Landebahnen entsprach.[15] Seit 2022 führt Delta Air Lines ihre Flüge an einem von Alaska Airlines gemieteten Flugsteig durch.[7]
Flughafenanlagen

Dallas Love Field erstreckt sich über eine Fläche von 526 Hektar.[1][26]
Start- und Landebahnen
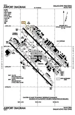
Dallas Love Field verfügt über zwei parallele Start- und Landebahnen. Die längere Start- und Landebahn trägt die Kennung 13R/31L, ist 2682 Meter lang und 46 Meter breit. Die andere Start- und Landebahn trägt die Kennung 13L/31R, ist 2363 Meter lang und 46 Meter breit. Beide Bahnen sind mit einem Belag aus Beton ausgestattet.[15][26]
Passagierterminal
Dallas Love Field verfügt über ein Passagierterminal mit 20 Flugsteigen und ebenso vielen Fluggastbrücken.[21][27] 18 Flugsteige werden von Southwest Airlines genutzt.[28] Die restlichen zwei Flugsteige wurden an Alaska Airlines vergeben, welche einen Flugsteig an Delta Air Lines vermietet.[29][7][30]
Sonstige Einrichtungen
Nordwestlich des Flughafens befindet sich der Hauptsitz von Southwest Airlines, zudem wird auch eine Wartungsbasis betrieben.
Im Südosten des Flughafens befindet sich das Frontiers of Flight Museum.[10]
Fluggesellschaften und Ziele
Dallas Love Field wird von den Fluggesellschaften Alaska Airlines, Delta Air Lines und Southwest Airlines genutzt.[6] Southwest Airlines hat dabei einen Marktanteil von rund 96 Prozent. Es werden 72 zum Teil saisonale Ziele in den Vereinigten Staaten von kommerziellen Fluggesellschaften angeflogen.[30][28] Flüge zu internationalen Zielen dürfen von den kommerziellen Fluggesellschaften nicht angeflogen werden.[13][21] Daneben fliegt auch JSX einige weitere Ziele an, im Gegensatz zu den kommerziellen Fluggesellschaften werden von JSX auch internationale Ziele in Mexiko angeflogen.[31]
Verkehrszahlen

| Jahr | Fluggastaufkommen | Flugbewegungen |
|---|---|---|
| 2023 | 17.591.609 | 251.988 |
| 2022 | 15.969.541 | 230.529 |
| 2021 | 13.315.498 | 211.330 |
| 2020 | 7.684.653 | 170.162 |
| 2019 | 16.780.158 | 231.879 |
| 2018 | 16.229.151 | 231.110 |
| 2017 | 15.723.627 | 227.533 |
| 2016 | 15.562.738 | 224.193 |
| 2015 | 14.497.498 | 216.099 |
| 2014 | 9.413.636 | 182.949 |
| 2013 | 8.470.586 | 177.417 |
| 2012 | 8.173.927 | 177.608 |
| 2011 | 7.980.020 | 179.196 |
| 2010 | 7.960.809 | 168.544 |
| 2009 | 7.744.522 | 172.962 |
| 2008 | 8.060.792 | 218.640 |
| 2007 | 7.953.385 | 244.609 |
| 2006 | 6.874.717 | 248.805 |
| 2005 | 5.896.765 | 234.615 |
| 2004 | 5.889.756 | 249.400 |
| 2003 | 5.588.930 | 249.085 |
| 2002 | 5.622.754 | 245.564 |
| 2001 | 6.685.618 | 243.884 |
| 2000 | 7.077.549 | 256.790 |
| 1999 | 6.820.867 | 249.440 |
| 1998 | 6.715.596 | 236.907 |
| 1997 | 6.807.894 | 228.429 |
| 1996 | 7.064.515 | 222.726 |
| 1995 | - | 211.707 |
| 1994 | - | 215.057 |
| 1993 | - | 213.227 |
| 1992 | - | 213.527 |
| 1991 | - | 207.324 |
| 1990 | - | 213.970 |
| 1989 | - | 211.984 |
| 1988 | - | 216.473 |
| 1987 | - | 226.225 |
| 1986 | - | 247.288 |
| 1985 | - | 294.999 |
| 1984 | - | 313.880 |
| 1983 | - | 307.275 |
| 1982 | - | 298.779 |
| 1981 | - | 318.064 |
| 1980 | - | 317.925 |
| 1979 | - | 308.791 |
| 1978 | - | 291.860 |
| 1977 | - | 309.932 |
| 1976 | - | 289.578 |
| 1975 | - | 262.172 |
| 1974 | - | 264.883 |
| 1973 | - | 446.160 |
Verkehrsreichste Strecken
| Rang | Stadt | Passagiere | Fluggesellschaft |
|---|---|---|---|
| 1 | Houston–Hobby, Texas | 415.860 | Southwest |
| 2 | Denver, Colorado | 399.730 | Southwest |
| 3 | Atlanta, Georgia | 386.790 | Delta, Southwest |
| 4 | Las Vegas, Nevada | 363.730 | Southwest |
| 5 | Phoenix, Arizona | 356.240 | Southwest |
| 6 | Orlando, Florida | 320.190 | Southwest |
| 7 | San Antonio, Texas | 292.450 | Southwest |
| 8 | Chicago–Midway, Illinois | 288.770 | Southwest |
| 6 | Los Angeles, Kalifornien | 257.290 | Southwest |
| 10 | New Orleans, Louisiana | 250.650 | Southwest |
Zwischenfälle
- Am 29. November 1949 musste an einer Douglas DC-6 der US-amerikanischen American Airlines (Luftfahrzeugkennzeichen N90728) im Anflug auf den Flughafen Dallas Love Field das Triebwerk Nr. 1 (links außen) abgestellt werden. Im Endanflug fiel auch das Triebwerk Nr. 4 (rechts außen) aus, woraufhin der Kapitän das Kommando zum Einfahren von Ladeklappen und Fahrwerk gab. Der Erste Offizier fuhr zwar das Fahrwerk ein, nicht aber die Landeklappen. Es kam daher zum Strömungsabriss und die Maschine kollidierte mit einem Hangar auf der einen und Hindernissen auf der anderen Seite. Beim Überqueren einer Straße hinter dem Flughafen brach zunächst das gesamte Cockpit ab, danach auch das Heck beim Zusammenstoß mit einem weiteren Gebäude. Von den 46 Insassen kamen 28 ums Leben, zwei Besatzungsmitglieder und 26 Passagiere (siehe auch American-Airlines-Flug 157).[33]
- Am 19. Juli 1953 schlug eine Curtiss C-46F-1-CU Commando der US-amerikanischen Southern Air Transport (N1679M) kurz vor der Landung auf dem Dallas Love Field auf einer Böschung auf. Die Maschine sprang hoch und stürzte ab. In der Absturzsequenz brach die rechte Tragfläche ab, woraufhin das Flugzeug sich auf den Rücken drehte. Beide Piloten, die einzigen Insassen auf dem Frachtflug, überlebten den Unfall.[34]
- Am 14. September 1960 wurde eine Douglas DC-7C der US-amerikanischen Braniff International Airways (N5900) auf dem Flughafen Dallas Love Field von einem Wartungsinspektor zum Gelände für Motoren-Probeläufe gerollt. Er hatte das Hydrauliksystem für die Bremsen nicht zugeschaltet. Das Flugzeug rollte in ein Gebäude, wobei der vordere Rumpf stark beschädigt wurde. Der Wartungstechniker wurde getötet, die anderen 5 Mechaniker an Bord überlebten. Die Maschine konnte repariert werden.[35]
- Am 14. November 1961 wurde eine geparkte Douglas DC-7C der Braniff International Airways (N5905) auf dem Flughafen Dallas Love Field durch ein Feuer zerstört. Personen kamen nicht zu Schaden.[36]
Weblinks
- Webpräsenz von Dallas Love Field (englisch)
- Dallas Transportation Service at Love Field (englisch)
Einzelnachweise
- ↑ a b Dallas Love Field Master Plan. Dallas-LoveField.com, archiviert vom am 18. Dezember 2002; abgerufen am 16. August 2024 (englisch). Info: Der Archivlink wurde automatisch eingesetzt und noch nicht geprüft. Bitte prüfe Original- und Archivlink gemäß Anleitung und entferne dann diesen Hinweis.
- ↑ a b c d Passenger Statistics. Dallas-LoveField.com, abgerufen am 16. August 2024 (englisch).
- ↑ a b Dallas, TX: Dallas Love Field (DAL). Transtats.BTS.gov, abgerufen am 16. August 2024 (englisch).
- ↑ a b Aircraft Operations Statistics. Dallas-LoveField.com, abgerufen am 16. August 2024 (englisch).
- ↑ Airport Business. Dallas-LoveField.com, abgerufen am 16. August 2024 (englisch).
- ↑ a b Airlines. Dallas-LoveField.com, abgerufen am 16. August 2024 (englisch).
- ↑ a b c Delta will keep flights at Dallas Love Field after settlement in gate dispute lawsuit. DallasNews.com, 21. Juni 2022, archiviert vom am 21. März 2023; abgerufen am 16. August 2024 (englisch). Info: Der Archivlink wurde automatisch eingesetzt und noch nicht geprüft. Bitte prüfe Original- und Archivlink gemäß Anleitung und entferne dann diesen Hinweis.
- ↑ Directions. Dallas-LoveField.com, abgerufen am 16. August 2024 (englisch).
- ↑ DART Love Link. Dallas-LoveField.com, abgerufen am 16. August 2024 (englisch).
- ↑ a b About us. Flightmuseum.com, abgerufen am 16. August 2024 (englisch).
- ↑ Bill Summary & Status 109th Congress (2005 - 2006) S.3661 Major Congressional Actions ( vom 12. Januar 2016 im Internet Archive) abgerufen am 20. Mai 2023
- ↑ Wright Amendment Reform Act. Congress.gov, 15. September 2006, abgerufen am 16. August 2024 (englisch).
- ↑ a b Why Southwest Airlines only flies out of an undersized Dallas Love Field. DallasNews.com, 22. Juli 2022, archiviert vom am 1. August 2023; abgerufen am 16. August 2024 (englisch). Info: Der Archivlink wurde automatisch eingesetzt und noch nicht geprüft. Bitte prüfe Original- und Archivlink gemäß Anleitung und entferne dann diesen Hinweis.
- ↑ Wright Amendment Reform Act of 2006 Enacted Into Law; Southwest Airlines Offers Customers $99 One-Way Fares and Increased Travel Options From Dallas Love Field. SWAMedia.com, 17. Oktober 2006, abgerufen am 16. August 2024 (englisch).
- ↑ a b c d Documents and Resources. Dallas-LoveField.com, abgerufen am 16. August 2024 (englisch).
- ↑ Love Field's temporary terminal for Continental, Delta opens today. DallasNews.com, 27. September 2010, abgerufen am 16. August 2024 (englisch).
- ↑ Dallas Love Field Airport now has two Terminals for the next four years. Dallas-LoveField.com, archiviert vom am 15. Mai 2011; abgerufen am 16. August 2024 (englisch). Info: Der Archivlink wurde automatisch eingesetzt und noch nicht geprüft. Bitte prüfe Original- und Archivlink gemäß Anleitung und entferne dann diesen Hinweis.
- ↑ AMR Corporation and US Airways Announce Settlement with U.S. Department of Justice and State Attorneys General. AA.com, 12. November 2013, abgerufen am 16. August 2024 (englisch).
- ↑ City Of Dallas Awards Contested Love Field Gates To Virgin America. CBSNews.com, 12. Mai 2014, abgerufen am 16. August 2024 (englisch).
- ↑ Dallas Love Field Opens New Terminal. CBSNews.com, 16. April 2013, abgerufen am 16. August 2024 (englisch).
- ↑ a b c Dallas Love Field Master Plan. DALLoveWhatsNext.com, abgerufen am 16. August 2024 (englisch).
- ↑ Documents and Resources. ch-aviation.com, 3. Februar 2015, abgerufen am 16. August 2024 (englisch).
- ↑ Southwest-Delta lawsuit takes turn, other airlines could enter Dallas Love Field. BizJournals.com, 2. Dezember 2018, archiviert vom am 8. November 2020; abgerufen am 16. August 2024 (englisch). Info: Der Archivlink wurde automatisch eingesetzt und noch nicht geprüft. Bitte prüfe Original- und Archivlink gemäß Anleitung und entferne dann diesen Hinweis.
- ↑ Airport News. Dallas-LoveField.com, archiviert vom am 2. Dezember 2017; abgerufen am 16. August 2024 (englisch). Info: Der Archivlink wurde automatisch eingesetzt und noch nicht geprüft. Bitte prüfe Original- und Archivlink gemäß Anleitung und entferne dann diesen Hinweis.
- ↑ Crossfield Taxiways. Dallas-LoveField.com, abgerufen am 16. August 2024 (englisch).
- ↑ a b AirportIQ 5010: Dallas Love Fld. GCR1.com, abgerufen am 16. August 2024 (englisch).
- ↑ Terminal Map. Dallas-LoveField.com, abgerufen am 16. August 2024 (englisch).
- ↑ a b c Details about Dallas Love Field. Southwest.com, abgerufen am 16. August 2024 (englisch).
- ↑ Dallas (DAL) - Dallas Love Field. AlaskaAir.com, abgerufen am 16. August 2024 (englisch).
- ↑ a b c Flight Status. Dallas-LoveField.com, abgerufen am 16. August 2024 (englisch).
- ↑ Where We Fly. JSX.com, abgerufen am 16. August 2024 (englisch).
- ↑ Love Field Statistics. Dallas-LoveField.com, archiviert vom am 10. Juni 2003; abgerufen am 16. August 2024 (englisch). Info: Der Archivlink wurde automatisch eingesetzt und noch nicht geprüft. Bitte prüfe Original- und Archivlink gemäß Anleitung und entferne dann diesen Hinweis.
- ↑ Flugunfalldaten und -bericht DC-6 N90728 im Aviation Safety Network (englisch), abgerufen am 21. August 2023.
- ↑ Flugunfalldaten und -bericht C-46 N1679M im Aviation Safety Network (englisch), abgerufen am 6. Dezember 2023.
- ↑ Flugunfalldaten und -bericht DC-7 N5900 im Aviation Safety Network (englisch), abgerufen am 24. Mai 2021.
- ↑ Flugunfalldaten und -bericht DC-7 N5905 im Aviation Safety Network (englisch), abgerufen am 24. Mai 2021.



_location_map.svg.png)