Kastell Boiodurum
| Kastell Passau-Innstadt/Rosenau | |
|---|---|
| Alternativname | Boiodurum, Boiodoro, Bolodurum, Boioduru |
| Limes | Limes Noricus |
| Abschnitt | Strecke 4 |
| Datierung (Belegung) | domitianisch, Ende 1. Jahrhundert n. Chr. bis Mitte 3. Jahrhundert n. Chr. |
| Typ | Reiter- und Kohortenkastell ? |
| Einheit | * Alae ?, * Numerus Boiodurensium ?, * Cohors V Breucorum cR eq ? |
| Größe | ca. 1,3 ha |
| Bauweise | Holz-Erde, Stein |
| Erhaltungszustand | rechteckige Anlage mit abgerundeten Ecken, Toren und Zwischentürmen, Nordseite vom Inn abgetragen, oberirdisch nicht sichtbar, teilweise mit modernen Aufbauten bedeckt, teilweise folgen die modernen Strukturen dem alten Mauerverlauf, archäologische Strukturen unter der Oberbfläche erhalten. |
| Ort | Passau-Innstadt |
| Geographische Lage | 48° 34′ 16,5″ N, 13° 28′ 33,1″ O |
| Höhe | 312 m ü. NHN |
| Vorhergehend | Kastell Boiotro (westlich) |
| Anschließend | Burgus Passau-Haibach (östlich) |
| Vorgelagert | Kastell Batavis (nördlich, Passau-Altstadt) |


.png)

.png)
| Modell des Kastells Boiodurum um 200 n. Chr. |
|---|
| Passau Römermuseum |
|
[gallery111993ef47/20/ Link zum Bild] |
Das Kastell Boiodurum war Bestandteil des Limes in der römischen Provinz Noricum auf dem Gebiet der kreisfreien Stadt Passau, Regierungsbezirk Niederbayern, Ostbayern, Deutschland. Kastell und Lagerdorf (vicus) wurden zur Verteidigung und Kontrolle der Donaugrenze und eines Innübergangs angelegt. Es folgte einem spätkeltischen Oppidum nach, dessen Zentrum auf der Halbinsel zwischen Donau (Danuvius) und Inn (Aenus) lag. Nahe der Mündung des Inn in die Donau entstand um 60 n. Chr. auf dem Gebiet der Provinz Noricum ein Kastell. Das Holz-Erde Lager wurde im 2. Jh. durch ein Steinkastell ersetzt, zusätzlich gesichert mit drei Gräben. Wie das Kastell war auch sein Vicus zweiphasig. Nach der gewaltsamen Zerstörung des Lagers durch einen Germaneneinfall in der zweiten Hälfte des 3. Jahrhunderts übernahm ab der Spätantike das etwas weiter flussaufwärts gelegene Kastell Boiotro die Sicherung dieses Abschnittes der Donaugrenze.[1] Das Bodendenkmal ist seit 2021 Bestandteil des zum UNESCO-Weltkulturerbe erhobenen Donaulimes.
Name
Der Ortsname ist mit einer an Sicherheit grenzenden Wahrscheinlichkeit keltischen Ursprungs und bedeutet „Festung des Boious“ oder „Stadt der Boier“. Er wird vom griechischen Geographen Claudius Ptolemäus Mitte des 2. Jahrhunderts n. Chr. erstmals als Boioduron erwähnt.[2] Weitere Nennungen sind aus dem Itinerarium Antonini, wo das Kastell als an der Fernstraße von Taurunum (Zemun) nach Vetera (Xanten) gelegen bezeichnet wird, und der Tabula Peutingeriana bekannt.[3][4] Auf letzterer ist der Ort fälschlicherweise auf der linken Donauseite eingezeichnet. Weiters existieren zwei Inschriften, in deren Text Boiodurum ebenfalls aufscheint: eine Weihinschrift für Mithras aus Atrans/Trojane und die Nennung auf einem (heute verschollenen) Meilenstein der Donaustraße bei Engelhartszell.[5] Die vor Ort geborgenen Ziegelstempel mit dem Aufdruck NVMB (Numerus Boiodurensium?) stützen zusätzlich die Theorie, dass die Römer die Benennung des keltischen Oppidums auf das Kastell und seine Zivilsiedlung übertragen haben.[6]
Der spätantike Name des Ortes, Boiotro, eine verschliffene Form von Boiodurum, wird durch die Notitia dignitatum und die Lebensbeschreibung des Severin von Noricum überliefert. Bis um die Zeit um 1900 war das Kastellareal bei der einheimischen Bevölkerung als „Biburg“ bekannt.[7]
Topographie und Lage
Die Region um Passau gehört geologisch zu einem Ausläufer des Bayerischen Waldes, der besonders durch die schiffbaren Flüsse Donau und Inn geprägt wird. Die von Norden in die Donau mündende Ilz ergänzt dieses Flusssystem und eröffnet gleichzeitig eine Route nach Böhmen. Die von West nach Ost fließende Donau und die Nord-Süd-Achsen von Inn und Ilz bildeten schon seit vorgeschichtlicher Zeit einen bedeutenden Knotenpunkt für Verkehr und Handel und begünstigten die Anlage von größeren Siedlungen. Ob hier auch in römischer Zeit eine Brücke existierte, ist nicht bekannt. Die Flüsse schützten vor allem die Halbinsel des sogenannten Dreiflüsseecks auf natürliche Weise. Der Zugang von der Landseite ließ sich dadurch ohne großen Aufwand blockieren. Wie in den Jahrtausenden zuvor spielte auch für die Kelten der Spätlatènezeit die günstige topographische und wirtschaftsgeographische Lage der Flussinsel eine entscheidende Rolle für die Anlage eines größeren Oppidums, obwohl gutes Ackerland nicht in unmittelbarer Nähe zu finden war.
Das römische Kastell liegt auf einer vor Hochwasser geschützten Schwemmterrasse in der Rosenau, am östlichen Ende von Passau-Innstadt, am Ostufer des Inns, direkt am Zusammenfluss von Donau und Inn gegenüber der Mündung der Ilz. Es umschloss im Wesentlichen den Standort der ehemaligen St.-Egidius-Kirche (Nach der Säkularisation profaniert, heute „Kapuzinerstraße 61“ in Rosenau). Der Ostteil des Lagerareals befindet sich auf dem Gelände einer Baufirma in der „Kapuzinerstraße 55“. Die SO-Ecke liegt unter dem Haus „Kapuzinerstraße 67“. Unter der Kirche sind auch die Reste des Osttores zu finden, auf Höhe eines Parkplatzes das Südtor. Bei Boiodurum traf eine den Inn am Westufer begleitende Straße auf eine der wichtigsten Fernverkehrsrouten in den Süden und Osten des Reiches, die entlang der Donau verlief, die via iuxta Danuvium, ihr Ausbau erfolgte erst am Beginn des 3. Jahrhunderts, als die strategische Lage eine rasche Verbindung zwischen den Truppen an Rhein und Donau notwendig machte. Der Abschnitt ab Boiodurum führte über Stanacum (Oberranna), Ioviacum (Gstöttenau zwischen Aschach an der Donau und Eferding) und Ad Mauros (Eferding) nach Ovilavis (Wels).[8]
Funktion
Das Kastell war Bestandteil des norischen Limes. Zu den Aufgaben der Besatzung zählte wohl die Sicherung der Flussgrenze (ripa) bzw. des Innüberganges von der römischen Provinz Raetia (Rätien) nach Noricum (Norikum), die Eintreibung von Zöllen, die Nachrichtenübermittlung entlang des Limes sowie die Überwachung und Kontrolle der Straßenverbindung Ovilavis–Reginum und des Schiffsverkehrs auf beiden Flüssen. Das Kastell war Standort einer Zollstation des publicum portorii Illyrici, des Illyrischen Zollbezirks. Bei der Einfuhr von Gütern in den gallischen Zollsprengel wurde die quadragesima Galliarum, ein Zoll in Höhe von 2,5 % des Warenwerts eingehoben. Nach den Funden dürfte die Station ebenfalls auf der norischen Seite gelegen haben.[9] In Wernstein am Inn, rund sieben Kilometer vom Kastell entfernt, am Innübergang der Limesstraße, ist durch die Inschrift (230 n. Chr.) des M. Rustius Iunianis, eines beneficiarius consularis der legio II Italica, auch die Existenz eines Straßenwachpostens gesichert.[10]
Forschungsgeschichte, Fundspektrum
Die ersten römischen Funde aus der Rosenau, Fragmente eines Mosaiks und eine Straßenpflasterung, sind seit 1840 bekannt. Alexander Erhard (1864) und Friedrich Ohlenschlager (1884) vermuteten erstmals das Kastell in der Rosenau. Bei der St.-Egidius-Kirche beobachtete Erhard römische Münzen und die Reste einer Straßenpflasterung. 1869 wurden erneut antike Funde in diesem Bereich gemacht. Von 1904 bis 1911 entdeckte der Gymnasialprofessor Franz Joseph Engel bei seinen Grabungen das Kastell und legte Teile der Wehrmauer und den östlichen Flankenturm des Südtores frei. 1955 untersuchte das Bayerische Landesamt für Denkmalpflege unter der Leitung von Hans Schönberger mittels Suchschnitten das Areal, wobei der Verlauf des Westwalls festgestellt, der davorliegende Graben und ein Teil der Südmauer mit Zwischenturm entdeckt werden konnte. Bis 1970 fanden nur wenige Ausgrabungskampagnen statt. Ab 1986 wurden im Rahmen einer Notgrabung unter Walter Wandling und Jörg Peter Niemeier wieder das Kastell (Südtor) und auch der Vicusbereich erforscht. Ein beträchtlicher Teil des Kastellareals wurde 1993 unter Schutz gestellt. 1995 wurden weitere Wehrgräben entdeckt.[11]
In unmittelbarer Nachbarschaft zum „Archäotop Boiodurum“ befindet sich ein knapp 2400 Quadratmeter großes Grundstück, das den südwestlichen Bereich des ehemaligen Kastellinnenbereiches bedeckt. Hier wurden im Herbst 1997 und im Sommer 1998 einige wichtige Rettungsgrabungen durchgeführt. Die hier zu erwartende südliche Wehrmauer konnte dabei aber nicht erfasst werden, weil sie offenbar außerhalb des Grundstückes lag. Das Gelände hatte hier unmittelbar hinter der Wehrmauer einen natürlichen Geländeabfall. Es gelang aber, die Holzpfostenlöcher einer langrechteckigen Kaserne zu dokumentieren.[12]
In der Kapuzinerstraße wurden Anfang 2013 beim Bau eines Studentenwohnheimes Ausschachtungsarbeiten ohne die Begleitung durch Stadtarchäologen durchgeführt. Dabei wurden Befunde der Zivilsiedlung aus dem 2. und 3. Jahrhundert unwiederbringlich zerstört.[13]
Bei den Untersuchungen konnten auch zahlreiche Gegenstände geborgen werden, vor allem Metallfunde. Sie belegen die militärische Funktion dieser Anlage. So fanden sich unter anderem Waffenfragmente, ein Pionierspaten und ein Bruchstück eines bronzenen Bügels, der ursprünglich am Hinterhaupthelm einer Paradeausrüstung befestigt gewesen war. Unter den bedeutendsten Funden befindet sich eine germanische Goldblechfibel mit blauer Glaspasteneinlage. Sie stammt aus der Planierschicht des frühen 3. Jahrhunderts. Im Vicus konnte wiederum ein goldener Fingerring mit einer roten Steineinlage in Form einer Amphore geborgen werden. Er stammt aus der Wende vom späten 2. auf das 3. Jahrhundert n. Chr. und dürfte in der Antike von großem Wert gewesen sein. Wahrscheinlich wurde er absichtlich vergraben.[14]
Entwicklung
Die Besiedlung der Passauer Halbinsel zwischen Donau und Inn setzte schon vor 6000 Jahren ein. In vorrömischer Zeit hatten sich hier zahlreiche Kelten vom Stamm der Boier niedergelassen. Ihr Siedlungszentrum lag auf der Halbinsel zwischen Inn und Donau. Das Oppidum wurde vermutlich um 450 v. Chr. gegründet. Aus dem 20 Kilometer entfernten Kropfmühl verhandelte man beispielsweise Graphit und Graphitton, das zur Herstellung feuerfesten und wärmeleitenden Kochgeschirrs verwendet wurde. Weiters hatte man über Inn und Salzach direkten Zugang zu den reichen Salzlagerstätten in den Ostalpen. Das Oppidum wurde vermutlich nicht durch die Römer zerstört, da seine Bewohner es schon lange vor deren Ankunft, in der Zeit um 50/40 v. Chr., wieder aufgegeben hatten.
Das Kastell in der Rosenau entwickelte sich vermutlich ähnlich wie die benachbarten Kastelle von Straubing und Künzing.[15] Im Zuge des Limesausbaus, während der Regierungszeit des Kaisers Domitian (81–96), errichtete die römische Armee am Ende des 1. Jahrhunderts n. Chr. (80–100) zunächst wohl ein kleines Holz-Erde-Kastell. In späterer Zeit (150–160 n. Chr.?) wurden die Befestigungen und die wichtigsten Innenbauten in Stein neu aufgebaut. Nach Ansicht Tilman Becherts wurde das Osttor erst im Zuge des Feldzuges Caracallas in das Barbaricum um 213 n. Chr. ausgebaut. Der dazugehörige Vicus entstand möglicherweise erst in der zweiten Hälfte des 2. Jahrhunderts. Während die Donau das Römische Reich vom freien Germanien (Germania magna) trennte, markierte der Inn nicht nur die Grenze zwischen den Provinzen Raetia (Passau-Altstadt) und Noricum (Passau-Innstadt), sondern auch die zwischen dem gallischen und illyrischen Zollbezirk.
Kastell und Lagerdorf wurden wohl aufgrund von Alamanneneinfällen und Bürgerkriegen, die von der Mitte bis ins späte 3. Jahrhundert stattfanden, zerstört und aufgegeben. Eine Nutzung des Areals in der Spätantike konnte nicht nachgewiesen werden. Nach 300 n. Chr. errichtete man als Ersatz unter Valentinian I. – etwa einen Kilometer innaufwärts – ein wesentlich kleineres Brückenkopfkastell, Boiotro, das bis ins frühe 5. Jahrhundert belegt war.[16]
Kastell
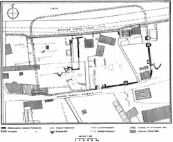
Die mehrphasige Befestigungsanlage hatte einen unregelmäßigen quadratischen Grundriss mit abgerundeten Ecken (Spielkartenform) und bedeckte eine Fläche von ca. 1,3 bis 1,5 Hektar. Ihre Ost-West-Erstreckung belief sich auf ungefähr 142–143 Meter, die Nord-Süd-Achse vermutlich 90–95 Meter. Vor der Beseitigung der Felsklippen beim Innstein und Scheibling wurde die Strömung auf das rechte Innufer gelenkt, was im Laufe der Zeit die Abschwemmung eines Abschnittes des Lagerareals mit sich brachte.[17] Ein weiterer Teil wurde im frühen 20. Jahrhundert beim Bau einer Eisenbahntrasse von Passau-Voglau nach Hauzenberg abgetragen. Der Rest ist heute größtenteils überbaut und ebenfalls nicht mehr sichtbar.
Die anfangs noch in Holz-Erde-Technik errichtete Lagermauer, Toranlagen und die innen angesetzten Zwischentürme wurden im Laufe des 2. Jahrhunderts n. Chr. in Stein umgebaut. Das Holz-Erde-Lager konnte archäologisch nicht nachgewiesen werden. Am Süd- und Ostwall konnten jeweils die Flankentürme der beiden Tore und ein Zwischenturm beobachtet werden. Die ausgegrabene Mauer im Ostsektor war noch bis auf eine Höhe von 80 Zentimeter erhalten. Sie bestand aus vermörteltem Gneis und wies eine Stärke von 1,20 bis 1,50 Meter auf, die Südmauer hatte eine Gesamtbreite von 1,70 Meter. Die Mauer des Zwischenturmes war 1,30 Meter breit. Die Westmauer ist noch nicht erforscht, die Südostecke konnte unter dem Haus „Kapuzinerstraße 67“ lokalisiert werden.
Von den angenommenen vier Toren wurden bis dato das Süd- und das Osttor lokalisiert und nur letzteres auch näher untersucht. Das Nordtor ebenso wie der Nordwall wurden durch Unterspülung des Inns restlos zerstört. Das mit zwei Durchfahrten ausgestattete Osttor wies eine Breite von 4,50 Metern auf. Sein nördlicher Torturm hatte eine halbrunde Front und sprang etwas vor die Kastellmauer vor. Das Südtor war von zwei innen angesetzten, quadratischen Flankentürmen gesichert. Der östliche besaß eine Mauerstärke von 1,15 bis 1,30 Meter, vom westlichen Exemplar waren nur mehr 1,20 Meter breite Westmauer und ein drei Meter langer Teil der Nordmauer erhalten geblieben. Die Durchfahrt war ebenfalls vier Meter breit.[18][19]
Als Annäherungshindernis wurden drei Spitzgräben ausgehoben. Der schon 1955 entdeckte Graben war zwei Meter tief und 6,70 Meter breit. Ein größerer Abschnitt des zweiten und dritten Kastellgrabens konnte auf dem Grundstück Nr. 259 genauer untersucht werden. Diese Gräben hatten die Stadtarchäologen zwar schon früher entdeckt, jedoch machte eine Planänderung eine erneute Untersuchung nötig. Man erwartete hier das Umbiegen der Wehrgräben, jedoch scheint die Kurve nicht so exakt verlaufen zu sein wie man ursprünglich vermutete.
Innenbebauung
Im Inneren konnten im Westen eine Hypokaustenanlage und die Überreste eines im Zentrum gelegenen, größeren langrechteckigen Gebäudes (principia ?) beobachtet werden. Die in den 1990er Jahren untersuchte Mannschaftsbaracke (contubernia) bestand aus Holz. Ihre Stützpfostensetzung lief wohl parallel zur südlichen Kastellmauer. Das Gebäude war unter anderem mit verglasten Fenstern ausgestattet, wie die Funde von zahlreichen Glasbruchstücken und eisernen Fensterangeln belegten.[20]
Garnison
Über die im Kastell stationierten Einheiten ist nur wenig bekannt. Bislang wurden keine Inschriften geborgen, die Aufschluss über die Besatzungstruppen von Boiodurum geben könnten. Es könnte aufgrund seiner Größe eine aus 500 Mann bestehende Kohorte (cohors quinquenaria) beherbergt haben.
| Zeitstellung | Truppenname | Bemerkung | Abbildung |
|---|---|---|---|
| 1. bis 3. Jahrhundert n. Chr. | a) Alae (Reiterschwadron), b) Numerus Batavinis oder c) Numerus Boiodurensium[21] (eine Schar Bataver bzw. Boiodurienser) |
Bei den Ausgrabungen konnten nur einige Ziegelstempel (NVMB) einer Hilfstruppeneinheit (Auxilia) aus Batavis oder Boiodurum und einer bis dato unbekannten Reitereinheit (ALAE) geborgen werden. Die richtige Zuordnung dieser Stempel ist bis heute nicht gesichert, nach Ansicht Rudolf Eggers stammen sie aus der Spätantike. Auch muss der Fund solcher Ziegel nicht bedeuten, dass diese Einheiten tatsächlich hier stationiert waren. Vielleicht wurden sie auch aus einem anderen Lager hierher geliefert. | ![]() ![]() |
| 1. bis 4. Jahrhundert n. Chr. | Cohors Quinta Breucorum Equitata Civium Romanorum (die fünfte teilberittene Kohorte der Breuker mit römischen Bürgerrecht) |
Als Besatzung käme auch eine Breukerkohorte vom Niederrhein in Frage, die ab der Regierungszeit Kaiser Domitians einige Zeit in Noricum stationiert war. Diese Annahme beruht auf dem Fund von zwei – in Andiesen/Holzleithen (bei Schärding) – 1961 entdeckten Ziegelöfen, die allerdings aus der Spätantike stammen. Die Zuordnung der dort gefundenen Ziegelstempel ([C]OH V BR) ist in der Fachwelt noch umstritten.[22] Ein Ziegel dieser Einheit wurde auch im Lagerdorf gefunden. Ziegelstempel dieser Truppe fanden sich häufig entlang des norischen Limes (Schlögen, Wallsee, Zwentendorf und Zeiselmauer). Diese Einheit war wohl an der Errichtung dieser Lager im 1. und 2. Jahrhundert n. Chr. beteiligt. Vermutlich betrieb sie mehrere Ziegeleien. Denkbar wäre auch, dass zur gleichen Zeit Vexillationen als Besatzungen für diese Kastelle abgestellt wurden (siehe auch Kastell Zwentendorf).[23] | ![]() |
Vicus

Der zugehörige Vicus umgab das Kastell im Süden, Westen und Osten bzw. verlief entlang der heutigen Nibelungenstraße (Passau-Linz), ca. 100 Meter südlich des Lagers bis zum Hammerberg. Schon 200 Meter östlich des Lagers dünnte die Verbauung merklich aus. Der Kern der Siedlung befand sich vermutlich im Westen. Seine Reste befinden sich heute unter einem Wohn- und Gewerbegebiet.[24] Die Bauweise des Lagerdorfs folgte der üblichen Anordnung in unterkellerten Streifenhäusern. Vom östlich des Kastells gelegenen Teil des Lagerdorfs (Areal um das Jesuitenschlößl) sind die Grundrisse einiger hölzernen Wohnbauten, zwei mittelalterliche Brennöfen mit unklarer Funktion und der Verlauf einer Kiesstraße bekannt, die offenbar zu den Kastelltoren und dann weiter auf die Limesstraße Richtung Linz (Kastell Lentia) führte. Eines der Gebäude war mit einer Fußbodenheizung ausgestattet. Materialreste deuten auf eine Glasbläserei in diesem Haus hin. Möglich wäre, dass die zivile Besiedlung erst einige Jahrzehnte nach Fertigstellung des Kastells einsetzte.[25]
Wirtschaftlich waren für die Siedlung vor allem eisenverarbeitende Werkstätten sowie die Erzeugung von Töpfer- und Glaswaren von einiger Bedeutung. Aus der Lehmgruppe einer Töpferei konnte ein Reibschalenfragment geborgen werden, auf dem seine Handelsbezeichnung (mortarium) und sein Marktpreis (2 Denare) eingeritzt waren. Inschriften zeigten, dass hier vor allem die Götter Jupiter, Victoria und Herkules verehrt wurden. Die Funde aus dem ergrabenen Teil des Vicus stammen ausnahmslos aus dem späten 2. Jahrhundert n. Chr. Durch den Fund von Inschriften sind auch die Namen zweier Bewohner der Zivilsiedlungen bekanntgeworden, der Zöllner Faustinianus und ein Weinhändler namens Publius Tenatius Essimnus (Datierung: 2. Jahrhundert n. Chr., Fundort: Passau, Flussbett des Inn),[26] die hier ihre letzte Ruhestätte fanden.
Therme

Die Lage des Kastellbades ist seit 1998 bekannt. In diesem Jahr legte man im Flurstück Nr. 256 die Reste eines 21 × 7 Meter großen Gebäudes frei, dessen Mauern sich vermutlich noch über den Grabungsbereich hinaus in westliche Richtung fortsetzten. Es befand sich unmittelbar südlich vor der porta principalis sinistra (Südtor), nur knapp 75 Meter von der Kastellmauer und ca. 40 Meter vom äußersten dritten Wehrgraben entfernt. Seine Lage verrät, dass es in enger Verbindung zum Kastell gestanden haben muss.
Das langrechteckige Gebäude (Reihentypus) war in mindestens vier Räume unterteilt, drei von ihnen konnten fast vollständig ergraben werden. Der dritte Raum im Westen verfügte über eine halbrunde Apsis. Die noch erhaltenen Teile der Grundmauern bestanden aus Gneis- und Granitbruchstücken sowie Kieseln. Der übrige Mauerverlauf konnte lediglich nach den Ausrissgräben, die durch den Steinraub entstanden, nachverfolgt werden. Die Keramikfunde deuten darauf hin, dass das Gebäude erst im 2. Jahrhundert n. Chr. errichtet worden ist. Vergleiche mit einem ähnlichen Bau im benachbarten Kleinkastell Schlögen bewiesen, dass es sich bei diesem Gebäude ebenfalls um eine Thermenanlage des Reihentypus gehandelt haben muss. Sie dürfte mit dem Kastell bei den Alamanneneinfällen zwischen 240 und 250 n. Chr. vernichtet worden sein. Ihre Reste wurden schon gegen Ende des 3. Jahrhunderts abgetragen und das Steinmaterial wohl für Neubauten wiederverwendet.[27]
Gräberfelder
Westlich der heutigen Brücke über den Inn (Kastell Boiotro/Jahnstraße) konnten einige mittelkaiserzeitliche Brandbestattungen nachgewiesen werden.[28]
Denkmalschutz
Das Kastellareal ist als eingetragenes Bodendenkmale im Sinne des Bayerischen Denkmalschutzgesetzes geschützt. Nachforschungen und gezieltes Sammeln von Funden sind genehmigungspflichtig, Zufallsfunde sind den Denkmalbehörden anzuzeigen.
Hinweise und Fundverbleib
Das Kastellgelände befindet sich rund zwei Kilometer vom Stadtzentrum entfernt in Fahrtrichtung Linz (linke Straßenseite) am rechten Ufer des Inns bei einer Tankstelle. Rechts vom Parkplatz Supermarkt Kapuzinerstraße kann man unter einem roten Schutzdach die Reste der St. Egidi Kirche sehen. Unweit von ihr stand das Osttor des Kastells. Hinter dem Jesuitenschlößl (Areal des Vicus) befinden sich die Überreste des Hypokaustums der Glaswerkstätte. Die Funde aus den Grabungen werden heute teils im Römermuseum Kastell Boiotro, im Depot der Passauer Stadtarchäologie und in der Archäologischen Staatssammlung in München aufbewahrt.[29]
Siehe auch
Literatur
- Alexander Erhard: Geschichte und Topographie der Umgebung von Passau II: rechtes Donauufer und Inn.
- Helmut Bender: Passau. In: Reallexikon der Germanischen Altertumskunde (RGA). 2. Auflage. Band 22, Walter de Gruyter, Berlin/New York 2003, ISBN 3-11-017351-4, S. 496–499.
- Mario Bloier: Blick über den Inn. Die Verteidigungsbauten des norischen Kastells Boiodurum. In: Römische Wehrbauten. Befund und Rekonstruktion. (= Schriftenreihe des Bayerischen Landesamtes für Denkmalpflege 7), München 2013, S. 70–81.
- Mario Bloier: Boiodurum. Forschungsgeschichte – Befunde – Rekonstruktion. In: Passauer Jahrbuch 55, 2013, S. 25–63.
- Ulrich Brandl: Passau-Boiodurum, Kastell-Vicus. In: Herwig Friesinger, Fritz Krinzinger (Hrsg.): Der römische Limes in Österreich. Führer zu den archäologischen Denkmälern. Wien 1997, S. 150–153.
- Thomas Fischer: Noricum (= Orbis Provinciarum. Zaberns Bildbände zur Archäologie). Zabern, Mainz 2002, ISBN 3-8053-2829-X, S. 31–32.
- Thomas Fischer, Erika Riedmeier-Fischer: Der römische Limes in Bayern. Verlag Friedrich Pustet, Regensburg 2008, ISBN 978-3-7917-2120-0, S. 193.
- Kurt Genser: Der österreichische Donaulimes in der Römerzeit. Ein Forschungsbericht. (= Der Römische Limes in Österreich. Nr. 33) Wien 1986, S. 13–34.
- Günther Moosbauer: Passau - Boiodurum. Kastell - vicus. In: Verena Gassner/Andreas Pülz (Hrsg.): Der römische Limes in Österreich. Führer zu den archäologischen Denkmälern, Verlag der Österreichischen Akademie der Wissenschaften, Wien 2015, ISBN 978-3-7001-7787-6, S. 130–133.
- Jörg-Peter Niemeier: Das erste archäologische Reservat in einer bayerischen Stadt: das mittelkaiserliche Kastell Boiodurum zu Passau-Innstadt, Stadt Passau, Niederbayern. In: Das archäologische Jahr in Bayern 1994, S. 122.
- Jörg-Peter Niemeier: Boiodurum, neue Ausgrabungen in Kastell und Zivilsiedlung. In: Vorträge des Niederbayerischen Archäologentages 18, 2000, S. 59–73.
- Jörg-Peter Niemeier (Hrsg.): Passau - Teil des Römischen Reiches. Führer durch das Römermuseum Kastell Boiotro, Passau 2014, ISBN 978-3-929350-91-3.
- Herbert Schindler: Passau. Führer zu den Kunstdenkmälern der Dreiflüssestadt. Passavia, Passau 1990, ISBN 3-8761-6143-6. S. 13–21.
- Wolfgang M. Schmid: Illustrierte Geschichte der Stadt Passau. Ablaßmayer & Peninger, Passau 1927, S. 5–20 (Digitalisat UB Heidelberg).
- Hannsjörg Ubl: Das norische Provinzheer der Prinzipatszeit im Spiegel neuer Diplom- und Inschriftenfunde. In: Zsolt Visy (Hrsg.): Limes XIX, Proceedings of the XIXth International Congress of Roman frontier Studies held in Pécs, Hungary, September 2003. University of Pécs, 2005, S. 107–118.
- Walter Wandling: Ausgrabungen im mittelkaiserzeitlichen Kastellvicus Boiodurum, Passau-Innstadt. In: Das archäologische Jahr in Bayern 1988, S. 126–127.
Weblinks
- Lage des Kastells auf Vici.org
- Animationsfilm: Boiodurum-Batavis-Boiotro auf YouTube
- Satellitenfotos Archäologische Stätten
- Kastellmodell und Audiobeschreibung auf museum.de
- Thermenmodell und Audiobeschreibung auf museum.de
- Vicusmodell und Audiobeschreibung auf museum.de
Einzelnachweise und Anmerkungen
- ↑ Fischer: 2002, S. 31.
- ↑ Ptolemäus 2, 12, 5: Βοιόδουρον.
- ↑ Segmentum III, 4, castellum Bolodurum (vermutlich ein Abschreibfehler)
- ↑ 249, 5, Boiodoro
- ↑ CIL 3, 5121, servus contrascriptor stationis Boiodurensis und CIL 3, 5755, aus den Jahren 239–241 n. Chr., Boioduru.
- ↑ Fischer: 2002, S. 31 f.
- ↑ Notitia Dignitatum occ. XXXIV 44, tribunus cohortis Boiodoro, Vita Sancti Severini 22, 36, Boitro, Boiotro und ähnlich, Gassner/Pülz 2015, S. 131–132.
- ↑ Gassner/Pülz 2015, S. 31
- ↑ Fischer: 2002, S. 32.
- ↑ Kurt Genser: 1986, S. 31.
- ↑ Kurt Genser: 1986, S. 16 f, Gassner/Pülz 2015, S. 131.
- ↑ Brandl: 1997, S. 151.
- ↑ Martin Reitmeier: Riesenärger um Innstadt-Bauprojekt. Passauer Studi-Wohnungen zerstören römisches Stadterbe. Bericht aus dem Wochenblatt vom 9. Januar 2013 Passau (Archivierter Artikel mit Baustellenbild ( vom 12. April 2013 im Webarchiv archive.today)).
- ↑ Fischer: 2002, S. 32.
- ↑ Kurt Genser: 1986, S. 27.
- ↑ Fischer: 2002, S. 26, Gassner/Pülz 2015, S. 132.
- ↑ Wolfgang M. Schmid 1927, S. 8.
- ↑ Herbert Schindler: 1990, S. 16.
- ↑ Kurt Genser: 1986, S. 19–20.
- ↑ Fischer: 2002, S. 26.
- ↑ Paul Reinecke
- ↑ Brandl: 1997, S. 152.
- ↑ Ubl: 2005, S. 115.
- ↑ Brandl: 1997, S. 150.
- ↑ Brandl: 1997, S. 152, Gassner/Pülz 2015, S. 132–133.
- ↑ AE 1984, 707.
- ↑ Gassner/Pülz 2015, S. 133.
- ↑ Gassner Pülz 2015, S. 133.
- ↑ Gassner/Pülz 2015, S. 133.

.jpg)
